| 
        
        Núm. 57  A revision of the genus Pseudoprotapion Ehret, 1990 in the  Iberian Peninsula, with description of a new species M. I.  Russell & A. J. Velazquez de Castro 1-18
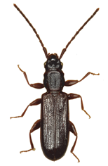
Abstract: The Iberian species of Pseudoprotapion are revised. Three species were found. P. alonsochrysomimus n.  sp. is a new species from East and Southeast Spain. P. dumeei (Hoffmann, 1957) stat. prom. is a good species, not a subspecies of P.  astragali (Paykull, 1800). It was described from Morocco and is a new  record for Iberia. P. tricarinatum (Waltl, 1835) stat. rev. is a good  species previously under synonymy of P. elegantulum (Germar, 1818). The  two species that had been recorded until now in the catalogues for Spain, P.  astragali astragali and P. elegantulum were not found in this study  and are doubtful records for the Iberian Peninsula. They could be present, but  only in northern areas. Finally, the preimaginal states and the biological  cycle of P. alonsochrysomimus are reported. The larva develops in buds  of Ononis tridentata subsp. angustifolia  in xerothermic sites. Trichomalus sp. is recorded as a pupal  parasitoid of this insect.Key words: Apionidae, Pseudoprotapion,  new species, biology, parasitoid, Pteromalidae, Trichomalus, Spain, Ononis  tridentata, gypsum soils.
 Revisión del género Pseudoprotapion Ehret, 1990 en la Península Ibérica y descripción de una nueva especie.Resumen: Se revisan las especies ibéricas de Pseudoprotapion. Se  encontraron tres especies. P.  alonsochrysomimus n. sp. es una nueva especie del este  y el sureste de España. P. dumeei (Hoffmann, 1957) stat. prom. es una buena  especie, no una subespecie de P. astragali (Paykull, 1800). Fue descrita  de Marruecos y es un nuevo registro para Iberia. P. tricarinatum (Waltl,  1835) stat. rev. es una buena especie, previamente en sinonimia de P.  elegantulum (Germar, 1818). Las dos especies que habían sido registradas  hasta ahora en los catálogos de España, P. astragali astragali y P.  elegantulum no se encontraron en este estudio y son registros dudosos para  la Península Ibérica. Podrían estar presentes, pero sólo en las zonas  septentrionales. Por último, se presentan los estados preimaginales y el ciclo  biológico de P. alonsochrysomimus. La larva se desarrolla en capullos de Ononis tridentata subsp. angustifolia en sitios xerotérmicos. Trichomalus se registra  como un parasitoide de la pupa de este insecto.
 Palabras clave: Apionidae, Pseudoprotapion,  especie nueva, biología, parasitoide, Pteromalidae, Trichomalus, España, Ononis tridentata, suelos yesíferos.
 Taxonomy: Pseudoprotapion  alonsochrysomimus new species from East and South Spain. 
 
  Revisión del género Leptoderis Billberg, 1820 y  comentarios sobre el origen, composición, anatomía y necrofagia de la tribu  Elenophorini (Coleoptera, Tenebrionidae) Julio Ferrer
 19-38
 Resumen: Se discuten la  taxonomía, caracteres, composición, necrofagia y posible origen de Leptoderis (Billberg, 1820), género típico de la tribu Elenophorini Solier, 1836. Se  discute la posición en la tribu de los géneros Megelenophorus Gebien,  1910 y Psammetichus Latreille, 1829. Se crean la subtribu Elenephorina subtribus  nova, cuyo género típico es Tenebrio collaris Linné, 1767, y la  subtribu neotrópica Megalenophorina subtribus nova, cuyo género típico  es Megelenophorus Gebien, 1910. El género Leptoderis Billberg,  1820, considerado como monotípico, se compone de siete especies: Leptoderis  collaris (Linné, 1767), de Argelia y Marruecos; Leptoderis solieri n.  sp., de España y Francia; Leptoderis leporinus n. sp., de  Granada, España; Leptoderis balearicus n. sp., endémica de las  Baleares; Leptoderis italicus n. sp., de Italia; Leptoderis  aliquorum n. sp., de Sicilia y Malta; y Leptoderis zelmerloewae n.  sp., de las Islas Eolias, Italia. "Croacia" debe suprimirse del  área del género Leptoderis. La población de Cerdeña pertenece a la nueva  especie Leptoderis solieri, y la de Malta a la nueva especie siciliana Leptoderis  aliquorum. Se discute la adaptación morfológica a la necrofagia de los  Elenophorini. Palabras clave: Coleoptera,  Tenebrionidae, Elenophorini, Elenophorina subtribus nova, Megalenophorina subtribus nova, Leptoderis,  Argelia, Marruecos, especies nuevas, España, Baleares, Italia, Islas Eolias,  Sicilia.
 Revision of the genus Leptoderis Billberg, 1820  with comments about the origin, composition, anatomy and necrophagy of the  tribu Elenophorini (Coleoptera, Tenebrionidae)Abstract: The taxonomy,  characters, composition, necrophagy and possible origin of Leptoderis (Billberg,  1820), type genus of the tribe Elenophorini Solier, 1836 is discussed. The  position of the genera Megelenophorus Gebien, 1910 and Psammetichus Latreille,  1829 in the tribe Elenophorini is discussed. The subtribe Elenephorina subtribus  nova, with Leptoderis Billberg as its type genus, and the  neotropical subtribe Megalenophorina subtribus nova, with Megelenophorus Gebien, 1910 as its type genus, are established. The genus Leptoderis Billberg,  1820, hitherto considered as monotypic, is composed of seven species: Leptoderis  collaris (Linné, 1767), inhabiting Algeria and Morocco; Leptoderis  solieri n. sp., from Spain and France; Leptoderis leporinus n.  sp., from Granada, Spain; Leptoderis balearicus n. sp., from  the Balearic Islands; Leptoderis italicus n. sp., from Italy; Leptoderis  aliquorum n. sp., from Sicily and Malta; and Leptoderis  zelmerloewae n. sp., from the Eolian Islands, Italy.  "Croatia" must be excluded from the range of the genus Leptoderis.  The Sardinia population belongs to the new species Leptoderis solieri,  and that of Malta to the new Sicilian species Leptoderis aliquorum. The  morphological adaptation to necrophagy of the members of Elenophorini is  discussed.
 Key words: Coleoptera,  Tenebrionidae, Elenophorini, Elenophorina subtribus nova,  Megalenophorina subtribus nova, Leptoderis, Algeria, Morocco, new  species, Spain, Balearic Islands, Italy, Eolian Islands, Sicily.
 Taxonomía / Taxonomy: Elenophorina subtribus n.,  Megalenophorinasubtribus n., Leptoderis  solieri n. sp., Leptoderis  leporinus n. sp., Leptoderis balearicus n. sp., Leptoderis  italicus n. sp., Leptoderis  aliquorum n. sp. y Leptoderis zelmerloewae n. sp. 
 
    Andricus maesi n. sp., primera especie de cinípido gallícola  para Nicaragua (Hymenoptera, Cynipidae) Juli Pujade-Villar
 39-44
 Resumen: Se describe  una nueva especie del género Andricus, A. maesi Pujade-Villar n. sp.,  a partir de material obtenido de agallas rosadas aterciopeladas colectadas en  ramas de Quercus segoviensis en el Cerro  Tisey de Nicaragua. Se ilustran los caracteres diagnósticos más importantes de  la nueva especie y se mencionan las diferencias con las especies más próximas.  Se comenta la posibilidad de que, por las peculiaridades morfológicas que  presenta, A. maesi Pujade-Villar n.  sp., junto con A. nievesaldreyi Pujade-Villar y A. georgei Pujade-Villar pudieran configurar un género  distinto. Palabras clave: Hymenoptera,  Cynipidae, Cynipini, Andricus maesi n.  sp., Q. segoviensis, Nicaragua.
 Andricus maesi n.sp., first gall wasp species from Nicaragua  (Hymenoptera, Cynipidae)Abstract:  A new species of the genus Andricus, A. maesi Pujade-Villar n. sp., is described based on  material obtained from pink woolly galls collected on branches of Quercus segoviensis in Cerro Tisey  (Nicaragua). The most important diagnostic characters of the new species are  illustrated and the differences with closely related species are mentioned. The  possibility that, because of its characteristic morphological peculiarities, A. maesi Pujade-Villar n. sp., together  with A. nievesaldreyi Pujade-Villar  and A. georgei Pujade-Villar might constitute a distinct genus is  commented upon.
 Key  words: Hymenoptera, Cynipidae, Cynipini, Andricus maesi n. sp., Q. segoviensis, Nicaragua.
 Taxonomía  / Taxonomy: Andricus  maesi n. sp. 
 
  Eleven new click beetles and records from the Canary Islands,  Greece, Egypt, Turkey and Iran (Coleoptera, Elateridae) Giuseppe Platia & George Kakiopoulos
 45–52
 Abstract: Eleven species are described in the genera Peripontius Gurjeva,1979 (Greece), Cardiophorus Eschscholtz, 1829 (Greece, Turkey),  Coptostethus Wollaston, 1854 (Canary Islands),  Dicronychus Brullé, 1832 (Egypt, Greece, Turkey, Iran),and a new record for Cardiophorus schneppati Platia, 2013  from Greece is given. Key words: Coleoptera Elateridae, Peripontius, Coptostethus, Cardiophorus,  Dicronychus, new records, new species, Palearctic Region.
 Once nuevos elatéridos, y citas de las Islas Canarias, Grecia, Egipto,  Turquía e Irán (Coleoptera, Elateridae)Resumen: Se describen once  especies de los géneros Peripontius Gurjeva, 1979 (Grecia), Cardiophorus Eschscholtz, 1829 (Grecia, Turquía), Coptostethus Wollaston, 1854  (Canarias) and Dicronychus Brullé, 1832 (Egipto, Grecia, Turquía, Irán),  y se aporta una nueva cita de Cardiophorus schneppati Platia, 2013 de  Grecia.
 Palabras clave: Coleoptera  Elateridae, Peripontius, Coptostethus, Cardiophorus, Dicronychus,  citas nuevas, especies nuevas, Región Paleártica.
 Taxonomy / Taxonomía: Peripontius icari Platia &  Kakiopoulosn.sp., Cardiophorus  mylonasi Platia & Kakiopoulos n.sp., Cardiophorus armathiaensis Platia & Kakiopoulosn.sp., Cardiophorus kasiensis Platia n.sp., Coptostethus salvatoi Platia n.sp., Dicronychus aegyptiacus Platia n.sp., Dicronychus meschniggi Platia &  Kakiopulos n.sp., Dicronychus ruzzantei Platia & Kakiopoulos n.sp., Dicronychus thirasiaensis Platia & Kakiopoulos n.sp., Dicronychus anatolicus Platia n.sp., Dicronychus novaki Platia n.sp.  La tribu Phaneropterini y adiciones a las subtribus Anaulacomerina  y Pelecynotina n. subtr. (Orthoptera: Tettigoniidae: Phaneropterinae): Séptimo  aporte a la organización supragenérica de los Faneropterinos neotropicales Oscar J. Cadena-Castañeda
 53–70.
 Resumen: Se delimitan las  subtribus y géneros neotropicales de Phaneropterini. De igual manera se  proporciona una clave actua-lizada para los géneros de los Phaneropterini  neotropicales y grupos de especies de Anaulacomera. Se describen una  subtribu nueva: Pelecynotina n. subtr. y cinco especies nuevas: A.  euceraiaformis n. sp., A. wilsoni n. sp., A.  marquezi n. sp., A. hebardi n. sp. and A.  rehni n. sp., y se proponen tres combinaciones nuevas: A.  pellucida (Giglio-Tos, 1898) n. comb., A .parvula Giglio-Tos,  1898 n. comb., A. rosea (Giglio-Tos, 1898) n. comb. y dos sinónimos nuevos: A. quadricercata Piza, 1952 n. syn. y A.  chirivii Cadena-Castañeda, 2012 n. syn. Se incluye dentro de  Anaulacomerina a Mendesius y Phaneropteroides,géneros sin  ninguna agrupación tribal previa; Bolivariola es tratado como subgénero  de Viadana. Palabras clave: Orhoptera,  Tettigoniidae, esperanzas, Viadana, Anaulacomera, Grammadera,Neotrópico.
 The tribe Phaneropterini and additions to the subtribes  Anaulacomerina and Pelecynotina n. subtr. (Orthoptera: Tettigo-niidae:  Phaneropterinae): seventh contribution to the suprageneric organization of the  Neotropical phaneropterinesAbstract: The Neotropical  subtribes and genera of Phaneropterini are delimited. Likewise an updated key  to the neotropical genera and the species groups of Anaulacomera are  provided. A new subtribe and five new species are described: Pelecynotina n.  subtr., A. euceraiaformis n. sp., A. wilsoni n. sp., A. marquezi n. sp., A. hebardi n. sp. and A. rehni n. sp.; three new combinations are proposed: A.  pellucida (Giglio-Tos, 1898) n. comb. A .parvula Giglio-Tos,  1898 n. comb. and A. rosea (Giglio-Tos, 1898) n. comb.;  also, two new synonyms are established: A. quadricercata Piza, 1952 n.  syn. and A. chirivii Cadena-Castañeda, 2012 n. syn. The  genera Mendesius and Phaneropteroides, previously without any  tribal affiliations,are included within Anaulacomerina; Bolivariola is  treated as a subgenus of Viadana.
 Key words: Orhoptera,  Tettigoniidae, katydids, Viadana, Anaulacomera, Grammadera, Neotropics.
 Taxonomía  / Taxonomy: Pelecynotina n. subtr., Anaulacomera  euceraiaformis n. sp., Anaulacomera wilsoni n. sp., Anaulacomera marquezi n.  sp., Anaulacomera hebardi n. sp., Anaulacomera rehni n. sp., Anaulacomera pellucida (Giglio-Tos,  1898) n. comb., Anaulacomera parvula Giglio-Tos, 1898 n. comb., Anaulacomera  rosea (Giglio-Tos, 1898) n. comb., Anaulacomera quadricercata Piza, 1952 n.  syn., Anaulacomera chirivii Cadena-Castañeda, 2012 n.  syn. Viadana (Bolivariola) n. stat.  Contribución al conocimiento de la tribu Asidini  (Coleoptera, Tenebrionidae) en la región Paleártica. Las Alphasida Escalera, 1905 del subgénero Betasida Reitter, 1917 Francisco Pérez-Vera, José Miguel  Ávila Sánchez-Jofré & Juan Carlos Martínez Fernández
 71–82.
 Resumen: Se revisa el  subgénero Betasida Reitter, 1917 y se describen los machos de Alphasida  espanoli Cobos, 1962 y Alphasida ferreri Cobos, 1988, desconocidos  hasta la fecha.Palabras clave: Coleoptera, Tenebrionidae,  Asidini, Alphasida, Betasida, descripción del macho, región  Paleártica.
 Contribution to the knowledge of the Asidini (Coleoptera,  Tenebrionidae) of the Palaearctic Region. Alphasida Escalera, 1905,  subgenus Betasida Reitter, 1917Abstract: A review of the subgenus Betasida Reitter,  1917 is done, and the males of Alphasida espanoli Cobos, 1962 and Alphasida  ferreri Cobos, 1988, unknown to date, are described.
 Key words: Coleoptera,  Tenebrionidae, Asidini, Alphasida, Betasida, description of the  male, Palaearctic Region.
 Taxonomía  / taxonomy: Descripción ♂ Alphasida espanoli Cobos, 1962 y Alphasida ferreri Cobos,  1988.  Description of a new species of Archilestris Loew from Mexico (Diptera: Asilidae) Alejandro Estrada
 83–86.
 Abstract: Archilestris  chamelensis sp.  nov. from Chamela, Jalisco, Mexico is described and  illustrated. The number of species of Archilestris in Mexico is raised to two, and to six for the Americas. A tentative key to the  species of North and Central America is given.Key  words: Diptera, Asilidae, Archilestris, new species, Mexico, Chamela.
 Descripción  de una especie nueva de Archilestris Loew de México (Diptera: Asilidae)Resumen: Se describe e ilustra Archilestris chamelensis sp. nov. de la región de Chamela, Jalisco, México; con ella se  eleva a dos el número de especies de Archilestris de México, y a seis las especies de América. Se proporciona una clave para las  especies del género de Norte y Centroamérica.
 Palabras  clave: Diptera, Asilidae, Archilestris,  especie nueva, México, Chamela.
 Taxonomy  / taxonomía: Archilestris chamelensis sp. n.  Evergestis nicolasi Morente, Gastón & Ylla, sp. n., especie nueva de crámbido de la Península  Ibérica (Lepidoptera: Crambidae, Evergestinae) F.J. Morente, F.J. Gastón &  J. Ylla
 87–92.
 Resumen: Se describe una especie nueva de crámbido de la  localidad de Torres (Jaén, España): Evergestis  nicolasi Morente, Gastón & Ylla, sp. n. Se presentan  ilustraciones de la morfología externa de los imagos y de la genitalia  masculina y femenina, comparando la primera con la de Evergestis nomadalis (Lederer 1871), especie de similar morfología.Palabras clave: Lepidoptera, Crambidae, Evergestinae, especie  nueva, Sierra Mágina, Torres, Jaén, España.
 Evergestis nicolasi Morente, Gastón & Ylla, sp. n., a new crambid  species from the Iberian Peninsula (Lepidoptera: Crambidae, Evergestinae)Abstract: A new crambid species is described from the locality  of Torres (Jaén, Spain): Evergestis  nicolasi Morente, Gastón & Ylla, sp. n. The external appearance of the moth and the male and  female genitalia of this new species are illustrated, comparing the male  genitalia with that of Evergestis nomadalis (Lederer 1871), a species with similar morphology.
 Key  words: Lepidoptera, Crambidae, Evergestinae, new species, Sierra Mágina,  Torres, Jaén, Spain.
 Taxonomía / Taxonomy: Evergestis nicolasi sp. n.  Revisión  de los antiguos Lichenophagus (= Laparocerus) de la Macaronesia  (Coleoptera, Curculionidae, Entiminae) Antonio Machado
 93–141.
 Resumen: Las especies antiguamente atribuidas al género Lichenophagus Wollaston 1854, pertenecen a tres subgéneros de Laparocerus Schoenherr, 1834repartidos por  Madeira (Lichenophagus) y las  Canarias occidentales (subgéneros Mateuius Roudier 1957 y Fernandezius Roudier, 1957). Basado en el estudio de 5.284 ejemplares, se revisan y  redescriben las especies estableci-das por T.V. Wollaston en 1864 y 1865; se  designa un neotipo para Lichenophagus  auctus amplificatus Wollaston, 1864y  lectoti-pos para las demás especies, y Lichenophagus  subnodosus palmensis Roudier, 1957. Se dan a conocer cinco nuevos taxones  de Mateuius: L. notatus n. sp., L. dilutus n. sp., L. teselinde n. sp., L. merigensis n. sp., y L. quadratus n. sp., más  otros cinco de Fernandezius: L. macilentus n. sp., L. anagae n. sp., L. tenicola n. sp., L. sonchiphagus n. sp., y L. campestris n. sp. Se comentan varios casos  teratológicos en Fernandezius,  destacando una mutación aparentemente consolidada que afecta a las patas en L. impressicollis, y que podría  representar el inicio de una especiación en simpatría. Laparocerus subnodosus intermedius (Roudier, 1957) es considerado un híbrido (subnodosus × tesserula), y se da cuenta de otro posible híbrido en  la misma isla de Tenerife: anagae × sonchiphagus.  El resultado final es de dos especies de Lichenophagus, ocho de Mateuius y diez (más una  subespecie) de Fernandezius, pero ha  de considerarse provisional. El esquema filogenético mitocondrial disponible  requiere profundizar más para resolver las discrepancias entre los datos  genéticos mitocondriales y los morfológicos, y poder discernir entre especies y  subespecies con mejor criterio. Se acompaña el trabajo con claves, fotografías  de los tipos de los nuevos taxones y láminas con detalles morfológicos y las  genitalias de ambos sexos. Palabras  clave: Curculionidae, Entiminae, Laparocerus, Lichenophagus,  Mateuius, Fernandezius, taxonomía, filogenia, especies nuevas, híbridos,  teratología, malformaciones, aberración, claves dicotómicas, Canarias, Madeira.
 Revision  of the former Lichenophagus ( = Laparocerus) from Macaronesia  (Coleoptera, Curculionidae, Entiminae)Abstract: Species attributed in the past to the genus Lichenophagus Wollaston, 1854,belong to three separate subgenera of Laparocerus Schoenherr, 1834, distributed in  Madeira (Lichenophagus) and the  Western Canary Islands (subgenera Mateuius Roudier, 1957,and Fernandezius Roudier, 1957). Based on  the study of 5,284 specimens, the taxa established by T. V. Wollaston in 1864  and 1865 are revised and redescribed; a neotype for Lichenophagus auctus amplificatus Wollaston, 1864,is designated, as well as lectotypes  for all his other taxa and Lichenophagus  subnodosus palmensis (Roudier, 1957);five new Mateuius: L. notatus n. sp., L. dilutus n. sp., L. teselinde n. sp., L. merigensis n. sp., and L. quadratus n. sp. are described, plus another five Fernandezius: L. macilentus n. sp., L. anagae n. sp., L. tenicola n. sp., L. sonchiphagus n. sp., and L. campestris n. sp.  Several cases of teratology are recorded in Fernandezius, and especially one apparently established mutation affecting the legs of L. impressicollis, which may be a case  of initial speciation in sympatry. Laparocerus  subnodosus intermedius Roudier,  1957, is recognized as a hybrid (subnodosus×  tesserula), as well as another case of potential hybridization within the  same island of Tenerife: anagae ×  sonchiphagus. The final totals of taxa are two species of Lichenophagus, eight species of Mateuius and ten species and one  subspecies of Fernandezius. The  mitochondrial-based phylogeny presented is preliminary and there is a need to  expand the molecular studies for clarifying the discrepancies among  morphological and genetical data in order to discriminate between species and  subspecies with better criteria. Identification keys, photographs of the types  of the new species, and plates with morphological details and genitalia of both  sexes, are provided.
 Key  words: Curculionidae, Entiminae, Laparocerus, Lichenophagus,  Mateuius, Fernandezius, taxonomy, phylogeny, new species, hybrids,  teratology, aberrations, malformations, identification keys, Canary Islands,  Madeira.
 Taxonomía/  Taxonomy: Laparocerus notatus n. sp., Laparocerus dilutus n. sp., Laparocerus teselinde n. sp., Laparocerus merigensis n. sp., y Laparocerus quadratus n. sp., Laparocerus macilentus n. sp., Laparocerus anagae n. sp., Laparocerus tenicola n. sp., Laparocerus sonchiphagus n. sp., Laparocerus campestris n. sp., Laparocerus amplificatus (Wollaston, 1865) stat. prom., Laparocerus persimilis (Wollaston,  1864), stat. prom., Laparocerus subcalvus (Wollaston, 1864) stat. prom., Laparocerus seriesetosus stat. prom., Laparocerus subnodosus intermedius (Roudier, 1957) nom. hybr. = L. subnodosus × L. tesserula.  
 
 Especies  nuevas y nuevos registros de coccinélidos (Coleoptera: Coccinellidae) de  EcuadorGuillermo González F.
 143–163.
 Resumen: Se describen las  siguientes especies nuevas de Coccinellidae sobre material de Ecuador: Dilatitibialis  marini n. sp., Zagreus constantini n. sp., Zagreus  modestus n. sp., Siola atra n. sp., Eupalea  reticularis n. sp., Mulsantina mirifica n. sp., Diomus  tetricus n. sp., Epilachna flavocirculus n. sp., Epilachna  napoensis n. sp., Damatula biremis n. sp., Hyperaspis  pentaseparata n. sp. y Tenuisvalvae comma n. sp. Se  citan por primera vez para Ecuador: Mimoscymnus praeclarus Gordon, 2002, Anatis lebasi (Mulsant, 1850), Psyllobora confluens (Fabricius,  1801), Psyllobora dissimilis Mulsant, 1850 y Toxotoma guerini Gordon,  1975. Se ilustran sus habitus y aparatos genitales y se discuten las relaciones  con las especies previamente descritas.Palabras clave: Coleoptera,  Coccinellidae, descripción, nuevos registros, taxonomía, aparato genital,  América del Sur.
 New species and new records of ladybird beetles  (Coleoptera: Coccinellidae) from EcuadorAbstract: The following new  species of ladybird beetles are described based on material from Ecuador: Dilatitibialis  marini n. sp., Zagreus constantini n. sp., Zagreus  modestus n. sp., Siola atra n. sp., Eupalea  reticularis n. sp., Mulsantina mirifica n. sp., Diomus  tetricus n. sp., Epilachna flavocirculus n. sp., Epilachna  napoensis n. sp., Damatula biremis n. sp., Hyperaspis  pentaseparata n. sp. and Tenuisvalvae comma n. sp. The  following species are recorded for the first time from Ecuador: Mimoscymnus  praeclarus Gordon, 2002, Anatis lebasi (Mulsant, 1850), Psyllobora  confluens (Fabricius, 1801), Psyllobora dissimilis Mulsant, 1850 and Toxotoma guerini Gordon, 1975. Their habitus and genitalia are  illustrated and relations with the previously described species are analyzed.
 Key words: Coleoptera,  Coccinellidae, description, new records, taxonomy, genitalia, South America.
 Taxonomía  / Taxonomy: Damatula biremis n. sp., Dilatitibialis marini n. sp., Diomus tetricus n. sp., Epilachna flavocirculus n.  sp., Epilachna napoensis n. sp., Eupalea reticularis n. sp., Hyperaspis pentaseparata n. sp., Mulsantina mirifica n.sp., Siola atra n. sp., Tenuisvalvae comma n. sp., Zagreus constantini n.sp., Zagreus modestus n.sp. 
 
    Descripción de una especie nueva del género Pimelia Fabricius, 1775 (Coleoptera, Tenebrionidae) de la Península Ibérica Fernando Caro Pintos
 165–174.
 Resumen: Se describe una  especie nueva del género Pimelia Fabricius, 1775, Pimelia ferreri n.  sp., procedente de la provincia de Sevilla (España), haciéndose una  diagnosis comparativa con las especies cercanas, tanto a nivel geográfico como  morfológico. Se discute la importancia del edeago y del ovipositor como  caracteres discriminatorios y el desgaste de los gonocoxitos durante la  oviposición.Palabras clave: Coleoptera,  Tenebrionidae, Pimeliini, Pimelia ferreri n. sp., edeago,  ovipositor, desgaste gonocoxitos, Península Ibérica, Sevilla.
 Description of a new species of the genus Pimelia Fabricius,  1775 (Coleoptera, Tenebrionidae) from the Iberian PeninsulaAbstract: A new species of Pimelia Fabricius, 1775, Pimelia ferreri n. sp., is described from  Seville province (Spain); a differential diagnosis is provided by means of a  comparison with the closest species based on their geographical distribution  and morphologicals characters. The value of the aedeagus and ovipositor as  discriminatory characters and the wear of the gonocoxites during oviposition  are discussed.
 Key words: Coleoptera,  Tenebrionidae, Pimeliini, Pimelia ferreri n. sp., aedegus,  ovipositor, gonocoxite wear, Iberian Peninsula, Seville.
 Taxonomía / Taxonomy: Pimelia ferreri n.sp.   Primer registro cubano de Symploce  morsei Hebard (Blattaria: Ectobiidae: Blattellinae) y dos especies nuevas  del género en Cuba
 Esteban  Gutiérrez
 175–181.
 Resumen: Se registra por primera vez para la fauna de cucarachas  de Cuba (Antillas) Symploce morsei,  previamente conocida de Bahamas, Haití,  República Dominicana y Estados Unidos (Florida). Además, se describen dos  especies nuevas de este género para el archipiélago cubano. Se brindan  diagnosis diferenciales, ilustraciones y comentarios para los tres taxones.Palabras  clave: Dictyoptera, Blattaria, Blattellidae, Ectobiidae, Symploce, cucarachas, nuevo registro de  distribución, especie nueva, Cuba.
 First Cuban  record of Symploce morsei Hebard  (Blattaria: Ectobiidae: Blattellinae) and two new species of the genus from  CubaAbstract. Symploce morsei, a species previously known from the Bahamas, Haiti, Dominican Republic, and the United  States (Florida),is recorded  for the cockroach fauna of Cuba (West Indies) for the first time. Two new  species of this genus are also described from the Cuban archipelago.  Differential diagnoses, illustrations and comments are given for the three  taxa.
 Keywords: Dictyoptera, Blattaria, Blattellidae, Ectobiidae, Symploce,cockroaches, new distribution record, new species, Cuba.
 Taxonomía  / taxonomy: Symploce  diazbeltrani sp. n., Symploce  hatibonico sp. n. 
 
  Contribution to the knowledge of the click beetles  of the Maldives (Coleoptera: Elateridae) Giuseppe Platia
 182–184.
 Abstract: Three species of  click beetles, Dicronychus stolatus (Erichson, 1860), Phorocardius  maldivianus n. sp. and Ryukyucardiophorus insularis n. sp.,  are recorded for the first time from the Maldives Republic.Key words: Coleoptera,  Elateridae, Ryukyucardiophorus, Phorocardius, Dicronychus,  new species, new records, Maldives Repu-blic.
 Contribución al conocimiento de los elatéridos de las  Maldivas (Coleoptera: Elateridae)Resumen: Se citan de las  Maldivas por primera vez las especies Dicronychus stolatus (Erichson,  1860), Phorocardius maldivianus n. sp. y Ryukyucardiophorus  insularis n. sp.
 Palabras clave: Coleoptera,  Elateridae, Ryukyucardiophorus, Phorocardius, Dicronychus,  especies nuevas, citas nuevas, República de Maldivas.
 Taxonomy / Taxonomía: Ryukyucardiophorus insularis n.sp., Phorocardius maldivianus n.sp.  Una  especie nueva de Catomus Allard, 1876  de España: Catomus lopezi n. sp.  (Coleoptera, Tenebrionidae) Alejandro Castro Tovar
 185–188.
 Resumen: Se describe una  especie nueva de Catomus Allard, 1876 de la provincia de Granada  (España). El trabajo se complementa con nuevos datos de distribución, una clave  de identificación y una sinopsis de las especies ibéricas. Catomus  liliputanus (Reitter, 1906) se cita por primera vez del interior de la  península Ibérica en la provincia de Jaén.Palabras clave: Coleoptera,  Tenebrionidae, Catomus lopezi n. sp., Catomus liliputanus,sinopsis, claves, distribución, España.
 A new species of Catomus Allard, 1876 from Spain: Catomus  lopezi n. sp. (Coleoptera, Tenebrionidae)Astract: A new species of the  genus Catomus Allard, 1876, is described from Granada province (Spain).  An identification key to the Iberian species and an overview of these are  provided, with new distribution data for Catomus liliputanus (Reitter,  1906).
 Key words: Coleoptera,  Tenebrionidae, Catomus lopezi n. sp., Catomus liliputanus,checklist, keys, new records, Spain.
 Taxonomía / Taxaonomy: Catomus lopezi sp. n.  Descripción de un sorprendente dipluro nuevo (Diplura:  Campodeidae) de las cavidades de la Cordillera Ibérica (Aragón, España) Alberto Sendra Mocholí, Mª Dolores Beltrán Barat &  José Manuel Sánchez Sanz
 189–199.
 Resumen: La casual visión de una fotografía en el portal “Biodiversidad virtual”  ha permitido el descubrimiento de una especie nueva de dipluro de vida  subterránea: Campodea (Dicampa) melici n. sp., uno de los pocos  representantes troglobios, a nivel mundial, del grupo monofilético campoide. C. melici n. sp. es descrito de cuatro cavidades de la Península Ibérica  distribuidas a lo largo de la rama aragonesa de la Cordillera Ibérica (España).  También se examina la distribución de los distintos grupos, géneros y especies  de campodeidos troglobios en la Península Ibérica, se resalta su importancia  biogeográfica y se aportan algunas notas sobre sus adaptaciones al ecosistema  subterráneo. Palabras  clave: Diplura, Campodeidae, Campodea, Dicampa, taxonomía, especie nueva, fauna subterránea,  España, Aragón.
 Description of a new, striking dipluran (Diplura:  Campodeidae) from caves in the Cordillera Ibérica mountains (Aragon, Spain) Abstract: The accidental sight of a photograph on the  “Biodiversidad virtual” website has made it possible to discover a new species  of subterranean dipluran: Campodea  (Dicampa) melici n. sp., one of the few existing members around  the world of the troglobitic campodeid monophyletic group. C. melici n. sp. is  described based on material from four caves in the Aragonese branch of the  Cordillera Ibérica mountains (Spain). Additionally, the distribution of the  various groups, genera and species of troglobitic cam-podeids of the Iberian  peninsula is reviewed, their biogeographical importance is highlighted and some  notes about their adaptations to the subterranean ecosystem are provided.
 Key  words: Diplura, Campodeidae, Campodea, Dicampa,  taxonomy, new species, subterranean fauna, Spain, Aragon.
 Taxonomía  / Taxonomy: Campodea (Dicampa) melici n. sp.  Una especie nueva de Pazius Navás, 1908 (Mecoptera:  Bittacidae) de Colombia Alexander García-García &  Oscar J. Cadena-Castañeda
 200–204.
 Resumen: Una especie nueva  de moscas colgantes del género Pazius (Mecoptera: Bittacidae) se  describe e ilustra, en base a dos machos colectados en un bosque primario en el  municipio de Tobia (Colombia, Cundinamarca), en los Andes Colombianos. La  especie nueva, que fue ubicada en el grupo furcatus, se caracteriza por  la forma del edeago, que presenta una proyección ventral bifurcada cerca de la  base, lóbulo epiandrial curvado mesalmente, con el extremo distal globoso y con  una proyección ventral sub-cónica en la superficie interna del mismo,  terminando en dos espinas cortas y fuertes de color negro, además de tres  espinas de menor tamaño en la superficie posterodorsal del mismo lóbulo.Palabras clave: Mecoptera,  Bittacidae, moscas colgantes, especie nueva, lóbulo epiandrial, grupo furcatus,  Andes, Colombia.
 A new species of Pazius Navás, 1908 (Mecoptera:  Bittacidae) from ColombiaAbstract: A new species of Pazius (Mecoptera: Bittacidae) is described and illustrated, based on two males  collected in primary forest near Nimaima (Colombia, Cundinamarca), in the  Colombian Andes. The new species, which we have placed in the furcatus group,  is characterized by the shape of the aedeagus, which has a ventral bifurcated  projection close to the base, a mesally curved epiandrial lobe, with the distal  portion globose and with a ventral subconic projection on its inner surface,  ending in two black short, strong spines, as well as three smaller spines on  the postero-dorsal surface of the lobe.
 Key words: Mecoptera,  Bittacidae, hanging flies, new species, epiandrial lobe, furcatus group,  Andes, Colombia.
 Taxonomía / Taxonomy: Pazius  convolutus n. sp.  
 
  New  data on the distribution of Polistes  bischoffi Weyrauch,  1937 and Polistes helveticus Neumeyer, 2014, a  synonym of Polistes albellus Giordani  Soika, 1976 n. stat. (Hymenoptera: Vespidae) Rainer Neumeyer, Bruno Gereys & Leopoldo Castro
 205–216.
 Abstract: Polistes helveticus Neumeyer, 2014 is  synonymised with Polistes albellus Giordani Soika, 1976 n. stat., n. syn. Additionally, Polistes bischoffi Weyrauch, 1937 is  recorded from the Iberian Peninsula for the first time. New records and world  distribution maps are provided for both species. The available data suggest  that P. albellus and P. bischoffi are vicariant taxa.Key words: Hymenoptera,  Vespidae, Polistinae, nomenclature, taxonomy, distribution, Belgium, France,  Germany, Gibraltar, Italy, Kazakhstan, Mongolia, Russia, Spain, Switzerland.
 Données nouvelles sur la  distribution de Polistes bischoffi Weyrauch,  1937 et Polistes helveticus Neumeyer,  2014, ce dernier étant synonyme de Polistes  albellus Giordani Soika, 1976 n. stat. (Hymenoptera: Vespidae) Résumé: Polistes helveticus Neumeyer,  2014 est mis en synonymie avec Polistes  albellus Giordani Soika, 1976 n. stat., n. syn. De plus, P. bischoffi Weyrauch, 1937 est cité  pour la première fois de la Péninsule Ibérique. Des citations nouvelles et des  cartes de distribution mondiale sont fournies pour les deux espèces. Les  données disponibles laissent suggérer que P.  albellus et P. bischoffi sont des  taxons vicariants.
 Mots clés: Hymenoptera,  Vespidae, Polistinae, nomenclature, taxonomie, distribution, Allemagne,  Belgique, Espagne, France, Gibraltar, Italie, Kazakhstan, Mongolie, Russie,  Suisse.
 Neue Verbreitungsdaten  von Polistes bischoffi Weyrauch, 1937  und Polistes helveticus Neumeyer,  2014, einem Synonym von Polistes albellus Giordani Soika, 1976 n. stat. (Hymenoptera: Vespidae)Zusammenfassung: Polistes helveticus Neumeyer,  2014 wird zum Synonym von Polistes  albellus Giordani Soika, 1976 n.  stat. erklärt. Des weiteren wird Polistes  bischoffi Weyrauch, 1937 zum ersten Mal auf der Iberischen Halbinsel  nachgewiesen. Gemäss der weltweiten Verbreitungskarte mit neuen Fundorten für  beide Arten scheinen diese zu vikariieren.
 Schlüsselwörter: Hymenoptera,  Vespidae, Polistinae, Nomenklatur, Taxonomie, Verbreitung, Belgien,  Deutschland, Frankreich, Gibraltar, Italien, Kasachstan, Mongolei, Russland,  Schweiz, Spanien.
 Nuevos datos sobre la  distribución de Polistes bischoffi Weyrauch,  1937 y Polistes helveticus Neumeyer,  2014, que se sinonimiza con Polistes  albellus Giordani Soika, 1976 n. stat. (Hymenoptera: Vespidae)Resumen: Se  sinonimiza Polistes helveticus Neumeyer,  2014 con Polistes albellus Giordani  Soika, 1976 n. stat., n. syn. Por  otra parte, se cita a P. bischoffi Weyrauch,  1937 por primera vez de la Península Ibérica. Se incluyen citas nuevas y mapas  con la distribución mundial de ambas especies, que según todos los indicios  constituyen taxones vicariantes.
 Palabras clave: Hymenoptera,  Vespidae, Polistinae, nomenclatura, taxonomía, distribución, Alemania, Bélgica,  España, Francia, Gibraltar, Italia, Kazajistán, Mongolia, Rusia, Suiza.
  Las  tribus Phyllopterini n. stat. y Plagiopleurini n. stat. & n. sensu (Orthoptera: Tettigoniidae: Phaneropterinae):  Octavo aporte a la organización supragenérica de los faneropterinos  neotropicales Oscar  J. Cadena-Castañeda
 217–261.
 Resumen: Se propone a Phyllopterini n. stat. y Plagiopleurini n.  stat & n. sensu como tribus nuevas de Phaneropterinae. Se describen dos  nuevas subtribus (Uberabina n. subtr. y  Phyllopterina n. subtr.), cinco  géneros: Cephalophylloptera n. gen., Hyperphorina n. gen., Julchiella n. gen., Resecabimus n. gen. y Raggeiella n. gen.; doce  nuevas especies: Phylloptera inmaculata n. sp., P. servilli n. sp., Arota parafestae n. sp., A. parabinotata n. sp., Itarissa guatemalensis n.  sp., I. brimmed n. sp., Phrixa guatemalensis n. sp., P. mexicanensis n. sp., Hyperphrona forcips n. sp., H. brunneri n. sp., H. stali n. sp. y Parableta maculosa n. sp. Dos géneros y 24 especies son  propuestos como sinónimos: Godmanella n. syn., Symmetropleura n. syn., S. boliviana n. syn., S. laevicauda n. syn., S. fausta n. syn., Prosagoga opaca n. syn., Itarissa crassa n. syn., Phylloptera erosifolia n. syn., P. lenkoi n. syn., P. simpla n. syn., P. laevigatus n. syn., P. proxima n. syn., P. neotenella n. syn., P. alliedea n. syn., P. incognita n. syn., P. modesta n. syn., P. breviramulosa n. syn., Parableta zenirae n. syn., Arota rosaura n. syn., Ctenophlebia  granulosa n. syn., Phrixa hoegei n. syn., P. schumanni n. syn., P. sima n. syn., P. bidentata n. syn., Khaoyaiana nitens n. syn. y Plagiopleura arbustorum n.  syn. 32 nuevas combinaciones son propuestas: Arota binotata n. comb., A. festae n. comb., A. lineamentis n. comb., A. nitidula n. comb., A. panamae n. comb., A. pisifolia n. comb., Cephalophylloptera brevifolia n. comb., C. gracilipes n. comb., C. peruviana n. comb., C. spinulosa n. comb., Hyperphorina  abnormis n. comb., Itarissa laevis n. comb., I. tarda n. comb., Julchiella chelata n. comb., J. aberrans n. comb., Metaprosagoga strigipennis n. comb., M. biornata n. comb., Phylloptera abreviata n.  comb., P. affinis n. comb., P. bariana n. comb., P. nitidula n. comb., P. vaginalis n. comb., P. difficilis n. comb., P. dubitata n. comb., P. riparia n. comb., P. insularis n. comb., P. tenellus n. comb., Resecabimus arata n. comb., Hyperphrona digramma n. comb., Anaulacomera contracta n.  comb., Parapyrrhicia madagassus n. comb., y Khaoyaiana ambigua n. comb. Se proporcionan claves de  géneros para cada tribu aquí estudiada, claves para grupos de especies de Phylloptera y Metaprosagoga y para las especies de Phrixa. Adicionalmente  se estudia el género Symmetropleura y  se resuelve el estatus de las especies americanas y africanas, todas  transferidas o sinonimizadas; el género Symmetropleura,  pasa a ser un sinónimo formal de Diplophyllus n. stat. También se discute acerca  de los actos taxonómicos realizados en esta contribución. Finalmente se listan  los géneros y especies incluidas en cada tribu, indicando sus respectivos  cambios nomenclaturales, aportando además comentarios sobre el estatus y  perspectivas de algunos taxones.Palabras  clave: Scuderiini, Symmetropleura,  nuevos géneros, nuevas especies, esperanzas, Neotrópico, África.
 The tribes Phyllopterini  n. stat. and Plagiopleurini n. stat. & n. sensu (Orthoptera: Tettigoniidae:  Phaneropterinae): Eighth contribution to the suprageneric organization of the  Neotropical phaneropterinesAbstract: Phyllopterini n. stat. y Plagiopleurini n. stat & n. sensu are proposed as  new tribes of Phaneropterinae. Two new subtribes (Uberabina n. subtr. and Phyllopterina n. subtr.), five genera: Cephalophylloptera n. gen., Hyperphorina n. gen., Julchiella n. gen., Resecabimus n. gen. and Raggeiella n. gen.; and twelve species are  described: Phylloptera inmaculata n. sp., P. servilli n. sp., Arota parafestae n. sp., A. parabinotata n. sp., Itarissa guatemalensis n.  sp., I. brimmed n. sp., Phrixa guatemalensis n. sp., P. mexicanensis n. sp., Hyperphrona forcips n. sp., H. brunneri n. sp., H. stali n. sp. and Parableta maculosa n. sp. Two genera and 24 species are  synonymized: Godmanella n. syn., Symmetropleura n. syn., S. boliviana n. syn., S. laevicauda n. syn., S. fausta n. syn., Prosagoga opaca n. syn., Itarissa crassa n. syn., Phylloptera erosifolia n. syn., P. lenkoi n. syn., P. simpla n. syn., P. laevigatus n. syn., P. proxima n. syn., P. neotenella n. syn., P. alliedea n. syn., P. incognita n. syn., P. modesta n. syn., P. breviramulosa n. syn., Parableta zenirae n. syn., Arota rosaura n. syn., Ctenophlebia  granulosa n. syn., Phrixa hoegei n. syn., P.. schumanni n. syn., P. sima n. syn., P. bidentata n. syn., Khaoyaiana nitens n. syn. and Plagiopleura arbustorum n. syn. 32 new combinations are  proposed: Arota binotata n. comb., A. festae n. comb., A. lineamentis n. comb., A. nitidula n. comb., A. panamae n. comb., A. pisifolia n. comb., Cephalophylloptera brevifolia n. comb., C. gracilipes n. comb., C. peruviana n. comb., C. spinulosa n. comb., Hyperphorina abnormis n. comb., Itarissa laevis n. comb., I. tarda n. comb., Julchiella chelata n. comb., J. aberrans n. comb., Metaprosagoga strigipennis n. comb., M. biornata n. comb., Phylloptera  abreviata n. comb., P. affinis n. comb., P. bariana n. comb., P. nitidula n. comb., P. vaginalis n. comb., P. difficilis n. comb., P. dubitata n. comb., P. riparia n. comb., P. insularis n. comb., P. tenellus n. comb., Resecabimus arata n. comb., Hyperphrona digramma n. comb.,  Anaulacomera  contracta n. comb., Parapyrrhicia madagassus n. comb., and Khaoyaiana ambigua n. comb. Keys to the genera of the  tribes here proposed, key to the Phylloptera and Metaprosagoga species group and  to the Phrixa species are given.  Additionally the genus Symmetropleura is studied and the status of the American and African species is resolved, all  transferred or synonymized. The genus Symmetropleura,  becomes a Diplophyllus n. stat. formal synonymous. In addition  the taxonomic acts proposed in this contribution are discussed. Finally, the  genera and species in each tribe are listed, with their respective  nomenclatural changes and comments on the status and pers-pectives of some  taxa.
 Key words: Scuderiini, Symmetropleura, new genera, new species,  katydids, Neotropics, Africa.
 Taxonomía/Taxonomy: Phyllopterini n. stat., Plagiopleurini n. stat. & n. sensu, Uberabina n. subtr., Phyllopterina n. subtr., Phyllopterae n. sensu, Phrixae n. sensu, Cephalophylloptera n. gen., Hyperphorina n. gen., Julchiella n. gen., Resecabimus n. gen., Raggeiella n. gen., Diplophyllus n. stat., Insignis n. group., Biornata n. group., Socia n. group., Quinquemaculata n. group., Ancilla n. group., Famula n. group., Fosteri n. group., Picta n. group.n., Gracilis n. group., Punctulata n. group., Phylloptera  inmaculata n. sp., P. servilli n. sp., Arota parafestae n. sp., A. parabinotata n. sp., Itarissa guatemalensis n. sp., I. brimmed n. sp., Phrixa guatemalensis n. sp., P. mexicanensis n. sp., Hyperphrona forcips n. sp., H. brunneri n. sp., H. stali n. sp., Parableta  maculosa n. sp., Godmanella n. syn., Symmetropleura n. syn., S. boliviana n. syn., S. laevicauda n. syn., S. fausta n. syn.,  Prosagoga opaca n. syn., Itarissa crassa n. syn., Phylloptera erosifolia n.  syn., P. lenkoi n. syn., P. simpla n. syn., P. laevigatus n. syn., P. proxima n. syn., P. neotenella n. syn., P. alliedea n. syn., P. incognita n. syn., P. modesta n. syn., P. breviramulosa n. syn., Parableta zenirae n. syn., Arota rosaura n. syn., Ctenophlebia granulosa n. syn., Phrixa hoegei n. syn., P.. schumanni n. syn., P. sima n. syn., P. bidentata n. syn., Khaoyaiana nitens n. syn., Plagiopleura arbustorum n. syn., Arota binotata n. comb., A. festae n. comb., A. lineamentis n. comb., A. nitidula n. comb., A. panamae n. comb., A. pisifolia n. comb., Cephalophylloptera brevifolia n. comb., C. gracilipes n. comb., C. peruviana n. comb., C. spinulosa n. comb., Hyperphorina  abnormis n. comb., Itarissa laevis n. comb., I. tarda n. comb., Julchiella chelata n. comb., J. aberrans n. comb., Metaprosagoga strigipennis n. comb., M. biornata n. comb., Phylloptera abreviata n.  comb., P. affinis n. comb., P. bariana n. comb., P. nitidula n. comb., P. vaginalis n. comb., P. difficilis n. comb., P. dubitata n. comb., P. riparia n. comb., P. insularis n. comb., P. tenellus n. comb., Resecabimus arata n. comb., Hyperphrona digramma n. comb., Anaulacomera contracta n.  comb., Parapyrrhicia madagassus n. comb., Khaoyaiana ambigua n. comb. 
 
 Catálogo provisional y  comentado de los brúquidos de la Comunidad Valenciana (España) (Coleoptera:  Bruchidae) Rafael Yus Ramos & Antonio  Pérez Onteniente
 262–268.
 Resumen: Se presenta un  catálogo provisional y comentado de los escarabajos de las semillas  (Coleoptera: Bruchidae) de las tres provincias de la Comunidad Autónoma  Valenciana (Castellón, Valencia y Alicante) (España), a partir de registros  históricos y actuales. Se registran un total de 48 especies (3 del género Spermophagus,  27 de Bruchidius, una de Serratobruchidius y 14 de Bruchus), además de un representante de cada uno de los géneros exóticos y  naturalizados Acanthoscelides, Mimosestes y Pseudopachymerina. De esta  lista 17 especies son nuevos registros para este territorio, sumándose a las 31  especies registradas anteriormente por diversos autores, de las cuales se  confirman 24 especies.Palabras clave: Coleoptera, Bruchidae, brúquidos, Comunidad Autónoma Valenciana, España.
 A  preliminary annotated catalogue of the seed beetles of the Comunidad Valenciana  region (Spain) (Coleoptera: Bruchidae)Abstract: A preliminary,  annotated list of the seed beetles (Coleoptera: Bruchidae) of the three  provinces of the Comunidad Valenciana administrative region (Castellon,  Valencia and Alicante) (Spain) is presented, based on historical and recent  records. A total of 48 species (3 belonging to the genus Spermophagus,  27 to Bruchidius, 1 to Serratobruchidius and 14 to Bruchus),  are recorded, plus a representative of each of the exotic naturalized genera Acanthoscelides,  Mimosestes and Pseudopachymerina. Of these, 17 species are new  records for this region, to be added to the 31 species previously recorded by  various authors, of which 24 species are confirmed.
 Key words: Coleoptera,  Bruchidae, seed beetles, Comunidad Valenciana administrative region, Spain.
 
          
 
 Estudio faunístico de los Papilionoidea (Insecta: Lepidoptera) del oeste  del Montseny (Aiguafreda, Península Ibérica)Albert Masó
 269–282.
 Resumen: Con el fin de  confeccionar el catálogo de los papilionoideos del oeste del macizo del  Montseny (Aiguafreda, Vallès Oriental, Barcelona), efectuamos 124 prospecciones  estacionales entre 1975 y 1992. Capturamos un total de 3.596 ejemplares, entre  los que identificamos 91 especies. Se describe la taxocenosis de mariposas  indicando los porcentajes de cada especie, el número de ejemplares capturados  cada mes, el número de generaciones y la fase de hibernación. Hay 12 especies  muy abundantes que, en número de individuos registrados, representan el 50% de  la taxocenosis. En primavera y verano hay 85 especies presentes. Los meses con  mayor número de especies y máxima diversidad son junio y julio (con 85  especies), seguidos de mayo y agosto. La abundancia (número de individuos) es  máxima en junio, seguido de mayo y julio. La taxocenosis está dominada por  Nymphalidae-Lycaenidae (80% de los individuos capturados), por especies  univoltinas (más de la mitad de las halladas) y por las que hibernan en fase de  oruga (60 % de las halladas). Se ha detectado una relación entre las  especies  filogenéticamente más próximas  y su hibernación y voltinismo. La diversidad (H=5,62; d=11) y la uniformidad  (J=0,86) son elevadas. El tamaño del muestreo, la cantidad de prospecciones y  la duración en el tiempo son mayores que los habituales, y la curva de  acumulación indica que el catálogo de especies es exhaustivo, lo cual confiere  a los resultados un gran interés para futuras comparaciones y para detectar así  tendencias a largo plazo.Palabras clave: Lepidoptera,  Papilionoidea, taxocenosis, faunística, fenología, Península Ibérica, Cataluña,  Barcelona, Montseny, Aiguafreda.
 Estudi faunístic dels Papilionoidea (Insecta:  Lepidoptera) de l’oest del Montseny (Aiguafreda, Península Ibèrica)Resum: Per tal de confeccionar el  catàleg dels papilionoideus de l'oest del massís del Montseny (Aiguafreda,  Vallès Oriental, Barcelona), realitzem 124 prospeccions estacionals entre 1975  i 1992. Capturem un total 3.596 exemplars, entre els quals identifiquem 91  espècies. Es descriu la comunitat de papallones indicant els percentatges de  cada espècie, el nombre d'exemplars capturats cada mes, el nombre de  generacions i la fase d'hibernació. Hi ha 12 espècies molt abundants que, en  nombre d’individus registrats, representen el 50% de la comunitat. Hi ha 85  espècies presents a la primavera i estiu. Els mesos amb més nombre d'espècies i  màxima diversitat són juny i juliol (amb 85 espècies), seguit de maig i agost.  L'abundància (nombre d'individus) és màxima al juny, seguit de maig i juliol.  La taxocenosis està dominada per Nymphalidae-Lycaenidae (80 dels individus  capturats), per espècies d'univoltines (més de la meitat de trobades) i per les  que hibernen en fase d'eruga (60% de les trobades). S’ha detectat una relació  entre les espècies filogenèticament més properes i llur hibernació i  voltinisme. La diversitat (H=5,62; d=11) i la uniformitat (J=0,86) són  elevades. La mida de la mostra, la quantitat de prospeccions i la durada en el  temps són superiors a les habituals, i la corba d’acumulació indica que el  catàleg d’espècies és exhaustiu, el que dóna als resultats un gran interès per  a futures comparacions i així poder detectar tendències a llarg termini.
 Paraules clau: Lepidoptera,  Papilionoidea, taxocenosi, faunística, fenologia, Península Ibèrica, Catalunya,  Barcelona, Montseny, Aiguafreda.
 A  faunistic study of the Papilionoidea (Insecta: Lepidoptera) of the western  Montseny (Aiguafreda, Iberian Peninsula)Abstract: In order to compile  the catalogue of the Papilionoidea of the western area of the Montseny massif  (Aiguafreda, Vallès Oriental, Barcelona), we conducted 124 seasonal  prospections between 1975 and 1992. We captured a total of 3,596 specimens,  among which we identified 91 species. We describe the butterfly taxocenosis  indicating the percentages of each species, the number of specimens captured  each month, the number of generations and the hibernation stage. There are 12  very abundant species that represent 50% of the community by number of reported  individuals. There are 85 species present in spring and summer. The months with  the largest number of species and maximum diversity are June and July (with 85  species), followed by May and August. June is the month with the highest abundance  (number of individuals), followed by May and July. The taxocenosis is  domina-ted by Nymphalidae-Lycaenidae (80% of the captured individuals), by  univoltine species (more than half of those captured) and by those that  hibernate at the caterpillar stage (60% of the captured individuals). A  connection has been detected between phylogene-tically related species and  their hibernation and voltinism. Diversity (H=5,62; d=11) and uniformity  (J=0,86) are high. The size of the sample, the number of prospections and the  time interval are greater than usual, and the accumulation curve indicates that  the catalogue of species is exhaustive, which renders the results highly  interesting for future comparisons and therefore for the detection of long-term  trends.
 Key  words: Lepidoptera, Papilionoidea, taxocoenosis, faunistics,  phenology, Iberian Peninsula, Catalonia, Barcelona, Montseny, Aiguafreda.
 
          
 
  Primera  cita para Europa de Acmaeoderella (Liogastria) sefrensis (pic, 1895) (Coleoptera: Buprestidae) Miguel  Sánchez Sobrino & Luis Tolosa Sánchez
 283–285.
 Resumen: Se cita por primera  vez para España y Europa Acmaeoderella sefrensis (Pic 1895) (Coleoptera:  Buprestidae). Se incluyen ilustraciones y descripción.Palabras clave: Coleoptera, Buprestidae, Acmaeoderella sefrensis, primera cita,  Península Ibérica, Europa.
 First European record of Acmaeoderella (Liogastria)  sefrensis (Pic, 1895) (Coleoptera: Buprestidae)Abstract: Acmaeoderella  sefrensis (Pic  1895) is recorded for the first time from Spain and Europe (Coleoptera: Buprestidae).  A description and illustrations are included.
 Key words: Coleoptera,  Buprestidae, Acmaeoderella sefrensis, first record, Spain, Europe.
  Survival  and emergence of adult seed beetles (Coleoptera: Chrysomelidae: Bruchinae) from  legume seeds egested by vertebrates
 Osvaldo R. Di Iorio
 286–292.
 Abstract: Adults of Amblycerus, Scutobruchus, Rhipibruchus, Pseudopachymerina, and Stator (Coleoptera: Chrysomelidae: Bru-chinae) emerged from seeds of their  respective host plants deposited with fecal matter of the grey fox (Lycalopex  griseus), cattle (Bos taurus), and ñandú (Rhea americana) in  arid areas of western-central Argentina. Thus, these vertebrates may help in  the dispersal of the seed beetles. This goes against the general statement that  passage of seeds through the vertebrate gut kills the bruchid larvae contained  inside the seeds as an effect of stomach acids. The droppings with seeds need  to be stored for some time, because the seed beetles emerge several months  later, particularly when they hibernate inside the seeds. Pre- and  post-dispersal predation of legume seeds are discussed in the light of the  proposed guilds of oviposition preferences in seed beetles.Key words: Coleoptera,  Chrysomelidae, seed beetles, vertebrates, interactions, Argentina.
 Supervivencia  y emergencia de brúquidos adultos (Coleoptera: Chrysomelidae: Bruchinae) en  semillas de leguminosas excretadas por vertebradosResumen: Adultos de Amblycerus, Scutobruchus, Rhipibruchus, Pseudopachymerina y de Stator (Coleoptera: Chrysomelidae: Bruchinae) emergieron de las semillas de sus  respectivas plantas hospedadoras depositadas en la material fecal del zorro  gris (Lycalopex griseus), ganado bovino (Bos taurus), y ñandú (Rhea  americana) en areas áridas del oeste y centro de la Argentina. En  consecuencia, estos vertebrados podrían ayudar en la dispersión de los  escarabajos de las semillas. Esto es opuesto a la afirmación de que el pasaje  de las semillas a través del tubo digestivo de los vertebrados mata a las larvas  de estos escarabajos por la acción de los ácidos estomacales. Las deposiciones  con semillas necesitan ser guardadas por un tiempo, ya que los brúquidos  emergen varios meses después, particularmente cuando hibernan dentro de las  semillas. Se discute acerca de la predación antes y después de la dispersión de  las semillas a la luz de los gremios de preferencias en la oviposición de los  escarabajos de las semi-llas.
 Palabras clave: Coleoptera,  Chrysomelidae, escarabajos de las semillas, vertebrados, interacciones,  Argentina.
 
          
 
 Ensamblaje de los cangrejos  montanos (Decapoda: Pseudothelphusidae) en un bosque nublado en tolima,  ColombiaJulian Yessid Arias-Pineda,  Alexander García García & Martha Rocha Campos
 293–303.
 Resumen: Se analiza la  diversidad, abundancia y asociación de los cangrejos montanos en diferentes  masas de agua de Icononzo, Tolima, Colombia, basado en el material colectado,  manualmente y con trampas, en 110 estaciones durante los meses de Junio y Julio  en 2009 y 2010. Cinco especies de cangrejos de la familia Pseudothelphusidae se  detectaron en la zona: Hypolobocera bouvieri (Rathbun, 1898), Strengeriana  cajaensis Campos & Rodríguez, 1993, Neostrengeria lindigiana (Rathbun,  1897), Neostrengeria binderi Campos, 2000 y Phallangothelphusa dispar (Zimmer, 1912). Se realizó una curva de acumulación de especies, diversos  análisis de diversidad, análisis fisicoquímicos del agua y análisis de  componentes principales ACM. Los análisis muestran que en la zona la abundancia  de cangrejos es alta y la riqueza baja. La especie con mayor abundancia y  dominancia fue Phallangothelphusa dispar, con un 60% del total de los  especímenes recogidos. Neostrengeria binderi y Neostrengeria  lindigiana solo se encontraron en una localidad. Todas las especies están  asociadas a aguas blandas, con un pH ligeramente ácido, un nivel alto de  oxígeno, niveles bajos de carbonatos y de compuestos del nitrógeno y  temperaturas que oscilan entre 19ºC y 22 °C.Palabras clave: Decapoda,  Pseudothelphusidae, cangrejos montanos, diversidad, quebradas, Colombia.
 Taxocoenosis of the montane crabs (Decapoda: Pseudothelphusidae) of a  cloudforest in Tolima, ColombiaAbstract: Montane crab diversity,  abundance and association in various water bodies of Icononzo, Tolima, Colombia  are analyzed, based on material collected, both by hand and with traps, at 110  sites during the months of June and July in 2009 and 2010. Five crab species of  the family Pseudothelphusidae were detected in the area: Hypolobocera bouvieri (Rathbun, 1898), Strengeriana  cajaensis Campos & Rodríguez, 1993, Neostrengeria lindigiana (Rathbun,  1897), Neostrengeria binderi Campos, 2000 and Phallangothelphusa  dispar (Zimmer, 1912). A species accumulation curve, various diversity  analyses, physico-chemical analyses of the water and an analysis of the main  ACM components were carried out. Our data show that in the area the abundance  of crabs is high but species richness is low. The species with the highest  abundance and dominance was Phallangothelphusa dispar, at 60% of the  collected specimens. Neostrengeria bindeni and Neostrengeria  lindigiana were found at only one site. All the species are  associated with soft waters with a slightly  acid pH, a high level of oxygen, low levels of carbonates and nitrogen  compounds and temperatures ranging from 19ºC to 22ºC.
 Key words: Decapoda,  Pseudothelphusidae, montane crabs, diversity, quebradas, Colombia.
 
 
  The giant butterfly moths (Lepidoptera, Castniidae) of Reserva Natural Laguna  Blanca, Departamento San Pedro, Paraguay, with a new country record P. Smith, S.D. Ríos, O. Petko & K.  Atkinson
 304–306
 Abstract: Five species of  Castniidae are reported from Reserva Natural Laguna Blanca, Departamento San  Pedro, Paraguay at the interface of the Cerrado and Atlantic Forest zones.  These include a new country record Eupalamides geron (Kollar, 1839), a  species formerly considered endemic to Brazil. The locality is thus one of the  most biodiverse for the family in Paraguay and may be consi-dered of vital  importance for its conservation.Key words: Lepidoptera,  Castniidae, Castnia invaria, Ceretes marcelserres, Eupalamides geron, Gazera  heliconioides, Geyeria uruguayana,distribution, Reserva Natural  Laguna Blanca, Paraguay.
 Los castniidos (Lepidoptera, Castniidae) de la Reserva  Natural Laguna Blanca, Departamento San Pedro, Paraguay, con un nuevo registro  nacionalResumen: Se reportan cinco  especies de Castniidae de la Reserva Natural Laguna Blanca, Departamento San  Pedro, Paraguay, una zona de transición entre el Cerrado y Bosque Atlántico. Se  incluye un nuevo registro nacional, Eupalamides geron (Kollar, 1839), una  especie anteriormente considerada endémica del Brasil. La localidad se califica  como una de las la de mayor biodiversidad para la familia en el país, y en  consecuencia podría ser considerada de importancia crítica vital para su  conservación.
 Key words: Lepidoptera,  Castniidae, Castnia invaria, Ceretes marcelserres, Eupalamides  geron, Gazera heliconioides, Geyeria uruguayana,distribución,  Reserva Natural Laguna Blanca, Paraguay.
 
          
 
   Ciclo  de vida y aspectos de la historia natural de Chioides marmorosa, con notas sobre otros hespéridos simpátricos de  Cuba (Lepidoptera: Hesperiidae)
 Luis F. de Armas & Rayner Núñez Águila
 307–314
 Resumen: El ciclo de vida completo de Chioides  marmorosa (Herrich-Schaffer, 1865), entre febrero y septiembre, fue de  49-85 días (huevo 3-5; fase larval 31-68, pupa 13-18); la oviposición ocurrió  desde febrero hasta noviembre. Se caracteriza cada uno de los estadios inmaduros y, además, se aportan otros datos sobre  su historia natural (parasitoides, depredadores, refugio larval y proporción  sexual). Se ofrece una clave dicotómica para la identificación de cada estadio  larval, así como datos sobre algunas de las 20 especies de Hesperiidae  simpátricas, incluido el registro de Lasiacis divaricata (L.) Hitch.  (Poaceae) como nueva planta nutricia de Cymaenes tripunctus (Herrich-Schaffer 1865).Palabras clave: Lepidoptera,  Hesperiidae, Eudaminae, Hebestigma cubense, huevo, larvas,  pupa, Antillas, Cuba.
 Life history and some aspects of the natural history of Chioides  marmorosa, with notes on other sympatric Cuban skippers (Lepidoptera:  Hesperiidae) Abstract: The whole life cycle of Chioides marmorosa (Herrich-Schaffer,  1865), between February and September, was 49-85 days long (egg 3-5; larval phase 31-68, pupa 13-18);  oviposition took place from February to November. Each of the immature stages  is characterized and other data on its natural history (parasitoids, predators,  larval shelter and sex ratio) are also given. A dichotomic key for the identification of the larval stages and  data on some of the 20 sympatric Hesperiidae are also given, including the  first record of Lasiacis divaricata (L.)  Hitch. (Poaceae) as host-plant of Cymaenes tripunctus (Herrich-Schaffer  1865).
 Key words: Lepidoptera, Hesperiidae,  Eudaminae, Hebestigma cubense, egg, larvae, pupae, West lndies, Cuba.
 
          
 
  First record of Andricus trotteri Kieffer from Romania (Hymenoptera,  Cynipidae) Juli Pujade-Villar, Marcos  Roca-Cusachs & Ion Schiopu
 315–320
 Abstract: So far Andricus  trotteri, a gall-forming  Cynipidae, has been reliably recorded only from Italy. The species, which has  not been reported since its description in 1898, has been collected recently in  Romania. The original description is short and does not include some important  characters. In this study, the species is re-described and figured. It is also  is differentiated from closely related species, and a key is provided.Key words: Hymenoptera, Cynipoidea, Cynipini, Andricus trotteri, redescription,  Romania.
 Primera cita de Andricus  trotteri Kieffer para Rumania (Hym., Cynipidae)Resumen: Andricus trotteri es  una especie de Cynipidae gallícola con citas fiables únicamente de Italia. Esta  especie, colectada recientemente en Rumania, no ha sido mencionada desde su  descripción en 1898. La descripción original es corta y no incluye algunos  caracteres importantes. En este estudio se redescribe e ilustra la especie.  También se diferencia de especies estrechamente relacionadas y se proporciona  una clave.
 
          Palabras clave: Hymenoptera, Cynipoidea, Cynipini, Andricus trotteri, redescripción,  Rumania.  
 
 Catálogo actualizado de los  macroheteróceros de la provincia de Palencia (España) (Insecta: Lepidoptera)Fernando Jubete
 321–334
 Resumen: Los trabajos de campo  realizados en el marco del atlas de macroheteróceros de la provincia de  Palencia han permitido la detección de 563 especies, de las cuales 201 son de  nueva cita para la provincia. La revisión de citas bibliográficas recientes y  de citas publicadas en Internet aportan otras 12 nuevas especies. El listado  total de macroheteróceros en la provincia de Palencia hasta el año 2014 es de  754 especies, lo que supone el 45,3% del total de taxones presentes en la  Península Ibérica.
 El número  de familias detectadas ha sido de 17 de las 21 presentes en la Península  Ibérica, siendo las familias Noctuidae (319 especies), Geometridae (234  especies) y Erebidae (87 especies) las que cuentan con mayor número de  representantes.
 Una  especie, Eriogaster catax, está  presente en los Anexos II y IV de la Directiva Hábitat (92/43/CEE), mientras que Proserpinus  proserpina está incluida solamente en el Anexo IV. Cinco especies están  incluidas en el Atlas y Libro Rojo de los invertebrados amenazados de España: E. catax, Arctia festiva, Hyphoraia  dejeani, P. proserpina y Zygaena nevadensis.
 Palabras clave: Insecta, Lepidoptera,  macroheteróceros, catálogo, distribución geográfica, España, Castilla y León,  Palencia.
 An updated catalogue of the Macroheterocera of Palencia  province (Spain) (Insecta: Lepidoptera)Abstract: The field work carried out within the framework of the atlas of the  Macroheterocera (macro-moths) of Palencia province (Spain) has produced a  staggering number of species, 563, of which 201 are newly recorded from for the  province. The data gleaned from recent publications and various websites have  added a further 12 species to the list of newly recorded taxa.
 The total list of  Macroheterocera known from Palencia province by 2014 was 754 species, representing  45.3% of all the taxa occurring in the Iberian Peninsula.
 17 of the 21 families found in  the Iberian Peninsula are represented, with the Noctuidae (319 species),  Geometridae (234 species) and Erebidae (87 species) as the most speciose.
 One species, Eriogaster catax, is included in Annexes  II and IV of the Habitats Directive (92/43/EEC), while Proserpinus proserpina is in Annex IV only. Five species are  included in both the Atlas and The Red Book of Threatened Spanish  Invertebrates: E. catax, Arctia festiva, Hyphoraia dejeani, P.  proserpina and Zygaena nevadensis.
 Key words: Insecta, Lepidoptera,  Macroheterocera, catalogue, geographic distribution, Spain, Castilla y León,  Palencia.
 
          
 
  Descripción de los estados inmaduros de Polyphylla conspersa Burmeister (Coleoptera: Melolonthidae: Melolonthinae),  con observaciones sobre su biología Miguel Ángel Morón & Guillermo Nogueira
 335–342.
 Resumen: A partir de parejas  colectadas cerca de Guadalajara, Jalisco, México, al cabo de dos años fue  posible completar en cautiverio el ciclo vital de Polyphylla conspersa Burmeister.  Se describen la larva de tercer estadio y la pupa, indicando las principales  diferencias morfológicas de las larvas del primer y segundo estadios. Numerosas  observaciones en el campo permitieron comprobar que los machos no se alimentan  y durante el crepúsculo vuelan cerca del suelo en busca de las hembras, que  permanecen casi enterradas emitiendo un atrayente sexual. El acoplamiento es  breve y la hembra excava para ocultarse y copular con otros machos en los  siguientes crepúsculos, antes de iniciar la ovipostura. La población estudiada  muestra una proporción sexual de 5 machos por hembra y un ligero gradiente de  variación en su patrón cromático. Se incluyen nuevos registros para la distribución  de P. conspersa en México.Palabras clave: Coleoptera, Melolonthidae, escarabajos de junio, larva, pupa, morfología, taxonomía, reproducción,  México.
 Description of the immature stages of Polyphylla  conspersa Burmeister (Coleoptera: Melolonthidae: Melolonthinae), with  observations on its biologyAbstract: With males and  females collected near Guadalajara, Jalisco, Mexico, the complete two-year life  cycle of Polyphylla conspersa Burmeister was monitored under conditions  of captivity. The third instar larva and the pupa are described, including data  on the morphological differences of first and second instar larvae. Numerous  field observations help to confirm that males do not feed and fly near the  ground during dusk searching for females, which remain partially buried  producing some sex attractant. Mating is brief and the female quickly digs into  the soil to hide again and attract other males during the following dusks  before egg laying. The studied population shows a sex ratio of 5 males per  female, and slight gradual variation in its colour pattern. New Mexican records  of P. conspersa in Mexico are included.
 Key words: Coleoptera,  Melolonthidae, June beetles, larva, pupa, morphology, taxonomy, reproduction,  Mexico.
 
          
 
 Nuevas citas de Geometridae y Noctuoidea del Parque  Natural de la Serranía de Cuenca (Península Ibérica) (Insecta: Lepidoptera)Manuel Garre, Juan José  Guerrero, Rosa María Rubio & Antonio S. Ortiz
 343–346.
 Resumen: Se aportan datos nuevos de 56 especies de lepidópteros  pertenecientes a la familia Geometridae (20) y a la superfamilia Noctuoidea  (36) al catálogo lepidopterológico del Parque Natural de la Serranía de Cuenca,  incrementando el número de especies de estos dos taxones hasta 190 geométridos  y 306 noctuoideos (16 Notodontidae, 9 Nolidae, 63 Erebidae y 218 Noctuidae).  Entre los nuevos registros destacan los geométridos endémicos Idaea  albarracina (Reisser, 1934) y Comibaena pseudoneriaria Wehrli, 1926. Palabras  clave: Lepidoptera, Geometridae, Erebidae, Noctuidae, Nolidae,  Notodontidae, Península Ibérica, parque natural de la Serranía de Cuenca.
 New Geometridae and Noctuoidea records from the  Serranía de Cuenca Natural Park (Iberian Peninsula) (Insecta: Lepidoptera)Abstract: Fifty-six new moth records belonging to family Geometridae (20) and  superfamily Noctuoidea (36) are added to the Lepidopteran checklist of the  Natural Park of Serrania of Cuenca increasing the number of both taxa up to 190  geometrid species and 306 noctuoid species (16 Notodontidae, 9 Nolidae, 63  Erebidae and 218 Noctuidae). Worthy of note among all the species listed are  the Iberian endemics Idaea albarracina (Reisser, 1934) and Comibaena  pseudoneriaria Wehrli, 1926.
 Key  words: Lepidoptera, Geometridae, Erebidae, Noctuidae, Nolidae,  Notodontidae, Iberian Peninsula, Serranía de Cuenca Natural Park.
 Los  Alleculinae Laporte, 1840 (Coleoptera, Tenebrionidae) de La Sierra de Tudía  (Badajoz, España)José  Sáez Bolaño, José Manuel Blanco Villero, Pablo Bahillo de la Puebla & José  Ignacio López-Colón
 347–350.
 Resumen: Se estudian los  coleópteros de la subfamilia Alleculinae (Coleoptera, Tenebrionidae) presentes  en la Sierra de Tudía (Badajoz, España). Para cada especie tratada se aportan  citas y se hace referencia a su distribución mundial y peninsular. En total se  han localizado siete especies en el área de estudio.Palabras clave: Coleoptera,  Tenebrionidae, Alleculinae, faunística, Sierra de Tudía, Badajoz, Extremadura,  España, península ibérica.
 The Alleculinae  (Coleoptera, Tenebrionidae) of Sierra de Tudía (Badajoz, Spain)Abstract: The beetle fauna of  the subfamily Alleculinae (Coleoptera, Tenebrionidae) of Sierra de Tudía  (Badajoz, Extremadura, south-western Spain) is analysed. The records given for  each species are accompanied by information on its Iberian and world  distribution. A total of 7 species have been recorded from this area.
 Key words: Coleoptera,  Tenebrionidae, Alleculinae, faunistics, Sierra de Tudía, Badajoz, Extremadura,  Spain, Iberian Peninsula.
  Phorom: Foro SEA especies exóticas e invasoras Dos  especies exóticas del género Phenolia Erichson, 1843 (Coleoptera, Nitidulidae) en la Península Ibérica
 Sergio Montagud & Miguel Ángel Ibáñez  Orrico
 351–357.
 Resumen: En este  trabajo se cita, por primera vez para Europa, la especie exótica de nitidúlido Phenolia (Lasiodites)  picta (MacLeay, 1825). Se aportan nuevos registros de Phenolia (Lasiodites) tibialis (Boheman,  1851) para la Península Ibérica y se dan a conocer algunos aspectos de la  biología de ambas especies en las nuevas localidades donde han sido halladas. Palabras clave: Coleoptera,  Nitidulidae, Phenolia, especies  exóticas, España, Península Ibérica.
 Two exotic species of  the genus Phenolia Erichson, 1843  (Coleoptera, Nitidulidae) in the Iberian Peninsula.Abstract: In this  paper we cite, for the first time in Europe, the exotic species Phenolia (Lasiodites) picta (MacLeay,  1825). We also provided new records of Phenolia  (Lasiodites) tibialis (Boheman, 1851) in the Iberian Peninsula and some  aspects of the biology of both species in the new localities that they have  been found.
 Key words: Coleoptera,  Nitidulidae, Phenolia, exotic  species, Spain, Iberian Peninsula.
   First record of the  intake of lichenized fungi by diplopods (Myriapoda) in eastern subregion of  Sumapaz, Colombia
 Cristhian  C. Castillo-Avila, Camilo Prado Sepulveda & Alexander García García
 358–360.
 Abstract: At Icononzo-Tolima,  in the Colombian Andes, in a population of spirostreptid millipedes of  the genus Orthoporus Silvestri, 1897  (Diplopoda: Spirostreptida) a feeding behaviour which includes lichens  belonging to the family Parmeliaceae was disco-vered. The digestive tracts of  three specimens were examined, and fragments of lichen thallus were found in  each one. This paper presents the first record of lichen consumption by  arthropods of the class Diplopoda.Key words: Diplopoda,  Spirostreptidae, Orthoporus, Parmeliaceae, feeding behaviour, Colombia.
 Primer  registro de la ingesta de hongos liquenizados en diplópodos (Myriapoda) en la  subregión oriental del Sumapaz, ColombiaResumen: En una población de  milpiés espirostréptidos del género Orthoporus Silvestri 1897  (Diplopoda: Spirostreptida) proce-dente de Icononzo-Tolima, en los Andes  colombianos, se descubrió un comportamiento alimenticio que incluye líquenes  pertenecientes a la familia Parmeliaceae. Los tractos digestivos de tres  especímenes fueron examinados, y se encontraron en su interior fragmentos de  talo de liquen. En este trabajo se da a conocer el primer registro de la  ingesta de líquenes en miriapodos de la Clase Diplopoda.
 Palabras clave: Diplopoda,  Spirostreptidae, Orthoporus, Parmeliaceae, comportamiento alimenticio,  Colombia.
 
          
 
  Presentación de MeSEA, vol 7 Interés de conservación de los humedales Ramsar de España  peninsular a través de sus comunidades de coleópteros acuáticos
 Simone Guareschi, Josefa Velasco,  David Sánchez-Fernández, Félix Picazo,José Antonio Carbonell, Daniel Bruno,  Pedro Abellán & Andrés Millán
 361–364.
 Resumen: Se  han estudiado las comunidades de coleópteros acuáticos de los 71 humedales  designados como “Humedales Ramsar” de España peninsular. Además, se ha diseñado  y aplicado el índice ICC (Interés de Conservación basado en Coleópteros) que  utiliza criterios de riqueza, grado de endemicidad, vulnerabilidad y el valor  indicador de las especies para evaluar el interés de conservación de estos  humedales. Se han registrado un total de 305 especies de coleópteros acuáticos,  lo que supone cerca del 62% del total de especies peninsulares. Los humedales  Ramsar con mayor interés de conservación son: Doñana, la Laguna de Gallocanta,  el Parque Nacional de Aigüestortes i Estany de SantMaurici, los Humedales del  Macizo de Peñalara y la Laguna de Pitillas. Los resultados completos de este  estudio están disponibles como Monografía electrónica  S.E.A. Para cada humedal Ramsar, se presenta  una ficha donde además del listado de coleópteros acuáticos, aparece la  información biológica y ambiental más relevante, material fotográfico, un  listado de las principales presiones antrópicas y los resultados del índice  ICC. Palabras clave: coleópteros,  Humedales Ramsar, estado de conservación, áreas protegidas, España.
 Conservation  interest of Ramsar wetlands in peninsular Spain according to their water beetle  communitiesAbstract: We studied the aquatic Coleoptera communities of 71  wetlands designated as "Ramsar Wetlands" in peninsular Spain. It has  been designed and applied the index ICC (Index of Conservation interest based  on Coleoptera). This index uses criteria of richness, rarity, vulnerability and  indicator value of species to assess the conservation interest of these  wetlands. A total of 305 species of water beetles was detected, representing  ca. 62% of the total Iberian species pool. The Ramsar wetlands with the highest  conservation interest are: “Doñana”, “Laguna de Gallocanta”, “Parque Nacional  de Aigüestortes i Estany de Sant Maurici”, “Humedales del Macizo de Peñalara”  and “Laguna de Pitillas”. Detailed results are available in a specific  monograph of the S.E.A. For each Ramsar wetland it is provided the inventory of  water beetles, environmental and biological information, photographic material,  the main human pressures and the results of ICC.
 Keywords: water beetles, Ramsar wetlands, conservation status,  protected areas, Spain.
 
          
 
  Primera  cita de Onychogomphus forcipatus  forcipatus (Linnaeus, 1758) (Odonata: Gomphidae) para la Península Ibérica Iñaki  Mezquita-Aranburu & Antonio Torralba-Burrial
 365–366.
 Resumen: Se proporcionan  fotografías de un macho adulto de la subespecie Onychogomphus forcipatus  forcipatus de la provincia de Guipúzcoa (País Vasco, España), siendo que  hasta la fecha sólo se sabía de la presencia en la Península Ibérica de la  subespecie Onychogomphus forcipatus unguiculatus. No existían citas de  esta especie para Guipúzcoa desde principios del siglo XX.Palabras clave: Odonata,  Gomphidae, Onychogomphus forcipatus, España, Guipúzcoa.
 First records of Onychogomphus forcipatus forcipatus (Linnaeus,  1758) (Odonata: Gomphidae) from the Iberian PeninsulaAbstract: Photographs of the  dragonfly Onychogomphus forcipatus forcipatus from Gipuzkoa province  (Basque Country, Spain) are provided. Up until now, the species was known to be  represented in the Iberian Peninsula only by the subspecies Onychgomphus  forcipatus unguiculatus. Just one previous record of this species from this  province is available, dating from the early part of the 20th century.
 Key words: Odonata, Gomphidae, Onychogomphus  forcipatus, Spain, Gipuzkoa.
 Estudio  biogeográfico de los brúquidos (Coleoptera: Bruchidae) de las sierras de Tejeda  y Almijara (Málaga y Granada, España)Rafael Yus Ramos
 367–373.
 Resumen: Se presenta un  estudio faunístico y biogeográfico sobre los escarabajos de las semillas  (Coleoptera: Bruchidae) de las Sierras de Tejeda y Almijara y sus estribaciones  meridionales en los Acantilados de Maro (Málaga-Granada, España). Se obtuvieron  58 especies (19 del género Bruchus, 35 de Bruchidius y 3 de Spermophagus),  utilizando el método de incubación de semillas de potenciales fitohospedadores,  muestreadas en un área de unos 43.000 ha, desde 2010 a 2015. La mayor  biodiversidad de estos insectos se encontró en la falda de orientación sur y en  el piso termomediterráneo, predominando las especies vinculadas a formaciones  de pastizales y siendo más escasas las vinculadas a matorrales.Palabras clave: Coleoptera, Bruchidae, biogeografía, Sierra de Tejeda, Sierra de Almijara,  Málaga, Granada, España.
 A  biogeographic study of the seed beetles (Coleoptera: Bruchidae) of the Tejeda  and Almijara mountains (Málaga and Granada, Spain)Abstract: A faunal and  biogeographic study on the seed beetles (Coleoptera: Bruchidae) of the Tejeda  and Almijara mountains and the southern foothills at the Maro cliffs  (Málaga-Granada, Spain) is presented. A total of 58 species were obtained (19  of the genus Bruchus, 35 of Bruchidius, and 3 of Spermophagus)  using the method of incubation of seeds of potential host plants; an area of  about 43,000 hectares was sampled, over the 2010-2015 period. The greatest  biodiversity was on the south facing slopes in the thermomediterranean zone;  the bruchids associated with grassland were the most abundant species, and  those linked to shrubbery were the least abundant.
 Key words: Coleoptera,  Bruchidae, biogeography, Tejeda mountains, Almijara mountains, Málaga, Granada,  Spain.
 
          
 
  Nuevas citas de Dendrophagus crenatus (Paykull,  1799) para España (Coleoptera: Silvanidae) Miguel Prieto, Jordi Agulló, Glòria Masó, Eduard Vives  & Josep Muñoz
 374–376.
 Resumen: Se aportan nuevos registros de Dendrophagus crenatus (Paykull, 1799) para España, ampliando su distribución conocida, circunscrita  al Pirineo y Prepirineo de la provincia de Lérida (Cataluña). Se recopilan  datos sobre la biología y ecología de este coleóptero estrictamente saproxílico  y se discute su estado de amenaza en el ámbito europeo.Palabras  clave: Coleoptera, Silvanidae, Dendrophagus crenatus, saproxílico, conservación, nuevas citas,  España, Cataluña.
 New records of Dendrophagus crenatus (Paykull, 1799) from Spain  (Coleoptera: Silvanidae) Abstract: New records of Dendrophagus  crenatus (Paykull, 1799) from Spain are provided, extending its known distribution area, confined to the  Pyrenees and Pre-Pyrenees of the Lerida province (Catalonia). Data about  biology and ecology of this obligate saproxylic beetle are  compiled, and its threat status in the European territory is also discussed
 Key words: Coleoptera, Silvanidae, Dendrophagus crenatus, saproxylic, conservation, new records,  Spain, Catalonia.
   Reflectancia y  conspicuidad del cangrejo sabanero Neostrengeria  macropa (Milne-Edwards,  1853) (Decapoda: Pseudothelphusidae) en Colombia: un estudio colorimétrico de caso
 Julian Yessid Arias-Pineda & Emilio Realpe
 377–382.
 Resumen: Se presenta un estudio de caso sobre  la reflectancia y conspicuidad del cangrejo sabanero Neostrengeria macropa (Milne-Edwards,  1853) en la cuenca alta del río Tunjuelito y embalse de la Regadera, en Usme,  Bogotá, Colombia. Se analizaron los datos de reflectancia de 60 cangrejos,  tomados tanto en el dorso del caparazón como en la cara ventral y en las rocas  donde se encontraron. Se encontró que  existen dos tipos de reflectancia producida   por la cutícula de estos cangrejos: colores rojos  y amari-llos con longitudes de onda de 500 a 680 nm, y colores azules y rojos  con longitudes de onda de 350 a 380 y  650 hasta los 700 nm. Palabras clave: Decapoda,  Pseudothelphusidae, Neostrengeria macropa, colorimetría, espacio del  color, reflectancia, Colombia.
 Reflectance  and conspicuousness of the savannah crab Neostrengeria macropa (Milne-Edwards,  1853) (Decapoda: Pseudothelphusidae) in Colombia: a colorimetric case studyAbstract: A case study is presented on  the reflectance and conspicuousness of the savannah crab Neostrengeria  macropa (Milne-Edwards, 1853) in the higher reaches of the river Tunjuelito  and the Regadera reservoir, at Usme, Bogotá, Colombia. An analysis was made of  the reflectance of 60 specimens, as measured both on the carapace dorsum and  the ventral side and on the rocks where they were found. We conclude that there  are two types of reflectance caused by these crabs’ cuticle: red and yellow  colours with wavelengths of 500-680 nm, and blue and red colours with  wavelengths of 350-380 and 650-700 nm.
 Key words: Decapoda,  Pseudothelphusidae, Neostrengeria macropa, colorimetry, colour space,  reflectance, Colombia.
 
          
 
  Nota sobre las teratologías  antenales en cerambicoideos, con descripción de nuevos casos (Coleoptera, Cerambycoidea) Filippo Ceccolini & Emanuele Paggetti
 383–389.
 Resumen: Se esbozan  brevemente los principales tipos de teratologías antenales en Cerambycoidea, a  partir de casos descritos en literatura entomológica. Se describen también  nuevos casos teratológicos en ejemplares de Vesperus luridus (Rossi,  1794), Pachytodes cerambyciformis (Schrank, 1781) y Agapanthia  villosoviridescens (De Geer, 1775).Palabras clave: Coleoptera,  Vesperidae, Cerambycidae, teratologías antenales.
 A note on antennal teratologies in longhorn beetles, with  description of new cases (Coleoptera, Cerambycoidea)Abstract: The main kinds of  antennal teratology in Cerambycoidea are briefly analysed, with an overview of  the examples found in the literature. Additionally new teratological records in  specimens of Vesperus luridus (Rossi, 1794), Pachytodes cerambyciformis (Schrank, 1781), and Agapanthia villosoviridescens (De Geer, 1775)  are described.
 Key words: Coleoptera,  Vesperidae, Cerambycidae, antennal teratology.
  Descripción  de Cinco Teratologías Elitrales en Byrrhodes (Coleoptera: Ptinidae) de Chile Alfredo Lüer
 390–392.
 Resumen: Se describen cinco  casos teratológicos en dos especies del género Byrrhodes (Coleoptera:  Ptinidae) procedentes de Chile, correspondientes a malformaciones en los  élitros: dos cistelitrías unilaterales y una trematolitría unilateral en Byrrhodes  bimaculatus (Philippi & Philippi, 1864), y dos hemibraqueilitrías en Byrrhodes  nigricolor (Pic, 1912), una combinada con asimetría cromática y otra con  una cistelitría.Palabras clave: Coleoptera, Ptinidae, Dorcatominae, Byrrhodes, élitros, teratología,  Chile.
 Description of five elytral teratologies in Byrrhodes (Coleoptera:  Ptinidae) from ChileAbstract: Five teratological  cases involving two species of the genus Byrrhodes (Coleoptera:  Ptinidae) from Chile are described. These anomalies correspond to elytral  malformations: two unilateral cistelytries and a unilateral trematolytry in Byrrhodes  bimaculatus (Philippi & Philippi, 1864), and two hemibrachelytries in Byrrhodes  nigricolor (Pic, 1912), one combined with chromatic asymmetry and another  one with cistelytry.
 Key words: Coleoptera,  Ptinidae, Dorcatominae, Byrrhodes, elytra, teratology, Chile.
   Dorynota  cornigera (Boheman,  1854) and Paranota ensifera (Boheman,  1854) (Coleoptera: Chrysomelidae:  Cassidinae) arrived in the Buenos Aires and Entre Ríos provinces (Argentina) in  the second half of 20th century; with a critical revision, corrections and new  records of the host plants of the Dorynotini
 Paola Turienzo & Osvaldo Di Iorio
 393–399
 Abstract: Two leaf beetles, Dorynota  cornigera (Boheman, 1854) and Paranota ensifera (Boheman, 1854)  (Coleoptera: Chrysomelidae: Cassidinae: Dorynotini), which occurred only in  northern Argentina before the middle of the 20th century, are here recorded as  recently arrived in the provinces of Buenos Aires (2011) and Entre Ríos (1978).  The causes of these range extensions are given and discussed. New locality and  host records in the new colonized areas are presented, together with a revision  of the host plants of the Dorynotini, with corrections of erroneous  bibliographical records.Key words: Coleoptera,  Chrysomelidae, Cassidinae, distribution, host plants, climatic change, South  America.
 Dorynota  cornigera (Boheman,  1854) y Paranota ensifera (Boheman, 1854) (Coleoptera: Chrysomelidae:  Cassidinae) llegaron a las provincias de Buenos Aires y Entre Ríos (Argentina)  en la segunda mitad del siglo XX; con una revisión crítica, correcciones y  nuevas citas de plantas hospedadoras de los DorynotiniResumen: Dos crisomélidos, Dorynota cornigera (Boheman,  1854) y Paranota ensifera (Boheman, 1854) (Coleoptera: Chrysomelidae:  Cassidinae: Dorynotini), presentes sólo en el norte de Argentina en la primera  mitad del siglo XX, se citan como incorporaciones recientes a la fauna de las  provincias de Buenos Aires (2011) y Entre Ríos (1978). Se aportan y discuten  las causas de esta extensión de sus áreas de distribución originales y se  presentan nuevas citas geográficas y nuevas plantas hospedadoras en las zonas  de colonización reciente, junto con una revisión de las plantas hospedadoras de  los Dorynotini, con correcciones a las citas bibliográficas erróneas.
 Palabras  clave: Coleoptera, Chrysomelidae,  Cassidinae, distribución, plantas hospedadoras, cambio climático, Sudamérica.
 
          
 
 400 Nuevo taxa  Contribución  al conocimiento de la odonatofauna (Insecta: Odonata) del  Rincón de Ademuz (Valencia, este de España) Jesús M. Evangelio Pinach,  Jesús Monedero Ramos & Cecilia Díaz Martínez
 401–411
 Resumen: Se aporta  información sobre la odonatofauna (Insecta: Odonata) del Rincón de Ademuz  (Valencia, España), presentando datos de distribución y biología para 39  especies de libélulas; dos de ellas (Libellula quadrimaculata y Lestes  sponsa) son citadas por primera vez recientemente de la provincia de  Valencia y otras siete para la zona estudiada, entre ellas Coenagrion puella y Coenagrion scitulum, especies muy localizadas y escasas en la  Comunidad Valenciana.Palabras clave: Odonata,  Anisoptera, Zygoptera, Península Ibérica, Valencia, Rincón de Ademuz, parque  natural de la Puebla de San Miguel.
 Contribution to the knowledge of the dragonflies  (Insecta: Odonata) of the Rincón de Ademuz enclave (Valencia, eastern Spain)Abstract: Information is  presented on the distribution and biology of 39 dragonfly species occurring in  the Rincón de Ademuz area (Valencia, Spain); two of them (Libellula  quadrimaculata and Lestes sponsa) were recorded for the first time  from Valencia province only recently, and a further seven are new records for  the study area, among them Coenagrion puella and Coenagrion scitulum,  which are very local and rare in the Valencia administrative region.
 Key words: Odonata, Anisoptera, Zygoptera, Iberian  Peninsula, Valencia, Rincón de Ademuz, Puebla de San Miguel Natural Park.
 Nota científica:  Primer registro de Anthaxia (Anthaxia) midas oberthuri Schaefer,  1938 (Coleoptera, Buprestidae, Anthaxiini) en Andalucía (España) Marcos  A. López Vergara, Manuel Baena & Alejandro Castro Tovar
 412.
 Resumen: Se aporta la primera  cita de Anthaxia midas oberthuri Schaefer, 1938 de la provincia de Jaén  (Andalucía), siendo la más meridional de esta subespecie en la Península  Ibérica. Los ejemplares se han encontrado sobre un nuevo hospedador para la  especie, Acer opalus granatense (Boiss.) Font Quer & Rothm.Palabras clave: Coleoptera,  Buprestidae, Anthaxia midas oberthuri Schaefer, 1938, distribución,  Jaén, Andalucía, Península Ibérica.
 First record of Anthaxia (Anthaxia) midas oberthuri Schaefer,  1938 (Coleoptera, Buprestidae, Anthaxiini) from Andalusia (Spain)Abstract: Anthaxia  midas oberthuri Schaefer, 1938 is recorded for the  first time from Andalusia, from Jaén province, the southernmost record of the  subspecies from Spain. The specimens were found on a new host tree for the  species, Acer opalus granatense (Boiss.) Font Quer & Rothm.
 Key words: Coleoptera,  Buprestidae, Anthaxia midas oberthuri Schaefer, 1938, distribution,  Jaén, Andalusia, Iberian Peninsula.
  Nota  científica: Algunas citas interesantes de  mariposas diurnas de Asturias (España) (Lepidoptera: Papilionoidea)
 José González Fernández
 413–418.
 Resumen: Se dan a conocer  nuevos registros de una decena de especies de papilionoideos escasos en  Asturias (España), como Carcharodus flocciferus, Satyrium acaciae,  Scolitantides baton, Phengaris arion, Polyommatus escheri, Aricia morronensis,  Eumedonia eumedon y Satyrus actaea, y también se incluyen citas  interesantes de otras especies, como Carcharodus lavatherae, Lycaena  hippothoe, Cupido minimus, Polyommatus coridon o Plebejus idas, que  suponen una ampliación considerable de su área de distribución conocida hasta  el momento. Se aportan mapas en los casos más significativos.Palabras clave: Lepidoptera,  Papilionoidea, citas, Asturias, España.
 Some interesting records of diurnal butterflies from Asturias (Spain)  (Lepidoptera: Papilionoidea)Abstract: A number of new records are  presented of papilionoid species rare in Asturias (Spain), like Carcharodus flocciferus, Satyrium acaciae, Scolitantides baton,  Phengaris arion, Polyommatus escheri, Aricia morronensis, Eumedonia eumedon and Satyrus actaea, as well as interesting records of other  species, such as Carcharodus lavatherae, Lycaena hippothoe, Cupido minimus,  Polyommatus coridon or Plebejus idas, which constitute a  considerable extension of their known range. Maps are included in the case of  the most relevant species.
 Key  words: Lepidoptera, Papilionoidea, records, Asturias, Spain.
 
          
 
   Nota  científica: Primer  registro de Sympetrum vulgatum ibericum Ocharan, 1985 (Odonata, Libellulidae) en la provincia de Salamanca, España
 First record of Sympetrum vulgatum ibericum Ocharan,  1985 (Odonata, Libellulidae) in the province of Salamanca, Spain
 Francisco Campos, Patricia Casanueva, Tomás Santamaría  & Luis Fernando Sánchez
 419–420.
   
 
 Nota  científica:  La chinche asesina Zelus  renardii (Kolenati, 1856) (Heteroptera: Reduviidae) en Chile: Comentarios  después de 15 años de su llegada al país Eduardo I. Faúndez
 421–423.
 Resumen: Se comenta y discute la  presencia del redúvido Zelus renardii en Chile después de 15 años de su introducción.   Se proveen nuevos datos distribucionales que extienden el rango conocido  de esta especie en Chile a la región de Coquimbo en el norte y a la región del  Maule en el sur. Palabras  clave: Heteroptera, Reduviidae, Zelus renardii, nuevos registros, especie invasora, Chile.
 The  assassin bug Zelus renardii (Kolenati, 1856) (Heteroptera: Reduviidae) in Chile: comments after 15 years of  its arrival in the countryAbstract: The presence of the introduced reduviid Zelus renardii in Chile 15 years after  its arrival is discussed. New distributional records are provided which extend  the species’ known distribution in Chile to the Coquimbo region in the north  and the Maule region in the south.
 Key  words: Heteroptera, Reduviidae, Zelus renardii, new records, invasive species, Chile.
 
 
 Rhynchophorus ferrugineus (Olivier, 1791) was in  Western Sahara in 1960 (Coleoptera: Dryophthoridae)Miguel A. Alonso-Zarazaga 424.
 Nota  científica:  Primeras citas de Oxygastra  curtisii (Dale, 1834) (Odonata: Corduliidae) y de Aeshna juncea (Linnaeus, 1758) (Odonata: Aeshnidae) para la  provincia de Segovia en el Parque Nacional de la Sierra de Guadarrama (España) Víctor Salvador Vilariño, María Soledad Redondo Rodríguez  & Manuel Fabio Flechoso del Cueto
 425–428.
 Resumen: Se  presentan las primeras citas para la provincia de Segovia de los odonatos  amenazados Oxygastra curtisii (Dale,  1834) y Aeshna juncea (Linnaeus,  1758). Se confirma la reproducción de esta última especie en el Parque Nacional  de la Sierra de Guadarrama, tanto en la provincia de Segovia como en la de  Madrid.Palabras  clave: Odonata, Anisoptera, Oxygastra  curtisii, Aeshna juncea,  distribución, Península Ibérica, Segovia, Madrid, Parque Nacional Sierra de  Guadarrama.
 First  records of Oxygastra curtisii (Dale,  1834) (Odonata: Corduliidae) and Aeshna  juncea (Linnaeus, 1758) (Odonata: Aeshnidae) from Segovia province in the  Sierra de Guadarrama National Park (Spain)Abstract: We  present the first records from Segovia province of the threatened dragonflies Oxygastra curtisii (Dale, 1834) and Aeshna juncea (Linnaeus, 1758). Also, we  have confirmed the reproduction of A.  juncea in the Sierra de Guadarrama National Park in the provinces of  Segovia and Madrid.
 Key  words: Odonata, Anisoptera, Oxygastra  curtisii, Aeshna juncea,  distribution, Iberian Peninsula, Segovia, Madrid, Sierra de Guadarrama National  Park.
 Nota científica:  Primera cita de Laristania nevadensis (Rebel, 1910) para la provincia de Jaén  (España) (Lepidoptera, Pyralidae, Phycitinae) J. Gastón &  F.  J. Morente-Benítez
 429–430.
 Resumen: Se menciona por  primera vez la presencia de Laristania nevadensis (Rebel, 1010) en Jaén  (sur de España), fuera de la localidad de su descubrimiento en Sierra Nevada  (Granada); se ilustran el hábitus y la genitalia.Palabras clave: Lepidoptera, Pyralidae, Phycitinae, Laristania nevadensis, Sierra  Nevada, Jaén, Granada, España.
 First record of Laristania nevadensis(Rebel, 1910) from Jaén province (Spain) (Lepidoptera:  Pyralidae, Phycitinae)Abstract: The presence of Laristania  nevadensis (Rebel, 1010) is recorded for the first time from Jaén (southern  Spain), outside the place of its discovery in Sierra Nevada (Granada). The  habitus and genitalia are illustrated.
 Key words: Lepidoptera,  Pyralidae, Phycitinae, Laristania nevadensis, Sierra Nevada, Jaén,  Granada, Spain.
   
 
 Nota  científica:  Citas de las libélulas Paragomphus genei (Selys, 1841), Orthetrum chrysostigma (Burmeister, 1839) y Brachythemis impartita (Karsch, 1890) de Castilla y León, España  (Odonata) Patricia Casanueva, Francisco Campos & Tomás  Santamaría
 431–432.
 Resumen: Se proporciona la  primera cita de Orthetrum chrysostigma de Castilla y León (España), con  las primeras citas provinciales de Paragomphus genei (Ávila) y Brachythemis  impartita (Salamanca).Palabras clave: Odonata,  Gomphidae, Libellulidae, Península Ibérica, Castilla y León.
 Records of the dragonflies Paragomphus genei (Selys,  1841), Orthetrum chrysostigma (Burmeister, 1839) and Brachythemis  impartita (Karsch, 1890) from Castilla y León, Spain (Odonata)Abstract: The first record of Orthetrum chrysostigma from the Castilla y León administrative region  (Spain) is provided, with the first provincial records of Paragomphus genei from  Ávila, and Brachythemis impartita from Salamanca.
 Key words: Odonata, Gomphidae,  Libellulidae, Iberian Peninsula, Castilla y León.
 
 
 Nota  científica:  Lycaena helle (Denis &  Schiffermüller, 1775) nueva especie para Castilla y León (España)  (Lepidoptera: Lycaenidae) Miguel Ginés Muñoz Sariot
 433–434.
 Resumen: Se aporta el primer  registro del licénido Lycaena helle (Denis & Schiffermüller, 1775)  (Lepidoptera: Lycaenidae) en la Comunidad de Castilla y León, ampliándose su  distribución conocida en la Península Ibérica.Palabras clave: Lepidoptera, Lycaenidae, Lycaena, helle, Castilla y León, España.
 Lycaena helle (Denis & Schiffermüller, 1775) new to Castilla y León (Spain) (Lepidoptera:  Lycaenidae)Abstract: The first record of Lycaena helle (Denis & Schiffermüller, 1775) (Lepidoptera:  Lycaenidae) from the Castilla y León administrative region is presented,  thus extending the known distribution of this species in the Iberian Peninsula.
 Key words: Lepidoptera,  Lycaenidae, Lycaena, helle, Castilla y León, Spain.
 
 
  Nota  científica: Primeros datos de Anax ephippiger (Burmeister, 1839)  (Odonata: Aeshnidae) de la provincia de Cuenca (este de España) Cecilia  Díaz Martínez & Jesús M. Evangelio Pinach
 435–436.
 Resumen: Se ha registrado la  presencia de Anax ephippiger (Burmeister, 1839) en tres localidades de  la provincia de Cuenca (este de España).Palabras clave: Odonata, Aeshnidae, Anax ephippiger, península Ibérica, Castilla-La Mancha,  Cuenca.
 First record of Anax  ephippiger (Burmeister, 1839) (Odonata: Aeshnidae) from Cuenca province  (eastern Spain)Abstract: The presence of Anax ephippiger (Burmeister,  1839) in three localities in Cuenca province (eastern Spain) is reported.
 Key words: Odonata, Aeshnidae, Anax ephippiger, Iberian Peninsula, Castilla-La Mancha, Cuenca.
   A new records of Belostoma elegans (Mayr, 1871) (Hemiptera:  Heteroptera: Belostomatidae) from Chile
 Eduardo I. Faúndez & Juan F. Campodonico
 437–438.
 Abstract: A new Chilean record is provided for the water bug Belostoma elegans. The new specimens are  from the Los Ríos region and represent the southernmost record of this species  from the country.Key  words: Heteroptera, Belostomatidae, new record, Chile.
 Nota  científica: Nuevo  registro para Belostoma elegans (Mayr, 1871) (Hemiptera: Heteroptera: Belostomatidae) en ChileResumen: Se entrega un nuevo registro chileno para la chinche  acuática Belostoma elegans. Los  nuevos ejemplares provienen de la región de Los Ríos, y constituyen el registro  más meridional de esta especie en el país.
 Palabras  clave: Heteroptera, Belostomatidae, nuevo registro, Chile.
   
 
  Nota científica: Aeshna  juncea (Linnaeus, 1758) (Odonata: Aeshnidae) y Sympetrum vulgatum ibericum Ocharan, 1985 (Odonata: Libellulidae): primeras citas de  Castilla-La Mancha (centro-este de España) y actualización de su distribución  ibérica Cecilia Díaz Martínez & Jesús M. Evangelio Pinach
 439–444.
 Resumen: El hallazgo de los odonatos amenazados Aeshna juncea y Sympetrum vulgatum ibericum en la Serranía alta de Cuenca  constituye la primera cita de ambos taxones para la región de Castilla-La  Mancha (España). Se aportan once nuevas localidades en el Sistema Ibérico para A. juncea, ubicadas en el límite  meridional de la distribución europea de la especie, en seis de las cuales  cohabita con S. v. ibericum. Tras una  revisión bibliográfica, de datos inéditos y material de referencia, se  actualizan los mapas de distribución ibérica de ambas libélulas, descartándose  varias localidades para S.v. ibericum y citándose por primera vez esta subespecie de la provincia de Guadalajara.Palabras  clave: Odonata,  Aeshnidae, Libellulidae, Aeshna juncea, Sympetrum vulgatum ibericum, distribución, península  ibérica, Castilla-La Mancha, Cuenca, Guadalajara.
 Aeshna  juncea (Linnaeus, 1758) (Odonata: Aeshnidae) and Sympetrum vulgatum ibericum Ocharan, 1985 (Odonata: Libellulidae):  first records from the  Castilla-La Mancha region (central-eastern Spain), with an update on their  Iberian distributionAbstract: Abstract: The finding  of the threatened dragonflies Aeshna  juncea and Sympetrum vulgatum  ibericum in the pro-vince of Cuenca (Serranía alta) provides the first  record of both species in the Castilla-La Mancha administrative region (Spain).  Eleven new localities are given for Aeshna  juncea in the Sistema Ibérico mountain range, at the southern limit of the  species’ European distribution. In six of them it occurs together with Sympetrum vulgatum ibericum. The Iberian  distribution maps of both dragonflies are updated after a literature,  unpublished data and entomological collections review; as result several  localities for S.v. ibericum are  discarded and this subspecies is first recorded for the province of  Guadalajara.
 Key  words: Odonata, Aeshnidae, Libellulidae, Aeshna juncea, Sympetrum vulgatum ibericum,  distribution, Iberian Peninsula, Castilla-La Mancha, Cuenca, Guadalajara.
     
 Nota  científica:  Primeros  datos de mirmecofilia de Azanus jesous (Guérin, 1847) (Lepidoptera:  Lycaenidae) en el continente europeo Miguel Ginés Muñoz Sariot
 445.
 Resumen: Se aporta los  primeros datos de relaciones mirmecófilas de orugas de Azanus jesous (Guérin,  1847) con hormigas de Crematogaster laestrygon en el continente europeo.Palabras clave: Lepidoptera,  Lycaenidae, Azanus jesous, Crematogaster laestrygon, Cádiz, España.
 Myrmecophily in Azanus jesous (Guérin, 1847)  (Lepidoptera: Lycaenidae) on the European continentAbstract: Myrmecophilous  relations between the larvae of Azanus jesous (Guérin, 1847) and Crematogaster  laestrygon ants are reported from Europe for the first time.
 Key words: Lepidoptera,  Lycaenidae, Azanus jesous, Crematogaster laestrygon, Cádiz, Spain.
   Nota  científica: Primera cita de la  mariposa monarca Danaus plexippus (Linnaeus, 1758) de Asturias (norte de España) (Lepidoptera: Danaidae)
 Hugo Mortera &  Manuel Fernández Pajuelo
 446.
 Resumen: Se cita la mariposa  monarca (Danaus plexippus) por vez primera de la Comunidad de Asturias  (norte de España).Palabras clave: Lepidoptera,  Danaidae, Danaus plexippus, primera cita, España, Asturias.
 First record of the monarch butterfly Danaus plexippus (Linnaeus, 1758) from Asturias province (northern Spain)Abstract: The monarch  butterfly (Danaus plexippus) is recorded from the Asturias region  (northern Spain) for the first time.
 Key words: Lepidoptera,  Danaidae, Danaus plexippus, first record, Spain, Asturias.
 Nota  científica: Primer registro de Sphenoptera (Chilostetha) pilosula Jakowleff,  1887 (Coleoptera, Buprestidae, Sphenopterini) en Jaén y  más datos para la provincia de Córdoba (España) Marcos A. López Vergara, Manuel Baena &  Alejandro Castro Tovar
 447–448.
 Resumen: Se aportan nuevos  datos sobre la distribución de Sphenoptera pilosula Jakowleff, 1887 en  las provincias de Córdoba y Jaén (Andalucía, España). Estos registros amplían  hacia el interior de Andalucía el área de distribución conocida de esta  especie.Palabras clave: Coleoptera,  Buprestidae, Sphenoptera pilosula Jakowleff, 1887, distribución,  Córdoba, Jaén, Andalucía, España.
 First record of Sphenoptera (Chilostetha) pilosula Jakowleff,  1887 (Coleoptera, Buprestidae, Sphenopterini) from Jaén province, with  additional data from Córdoba province (Spain)Abstract: New data on the  distribution of Sphenoptera pilosula Jakowleff, 1887 in Córdoba and Jaén  provinces (Andalusia, Spain) are provided. These records considerably extend  the known Iberian range of this species towards the south-west.
 Key words: Coleoptera,  Buprestidae, Sphenoptera pilosula Jakowleff, 1887, distribution, Córdoba,  Jaén, Andalusia, Spain.
  Phoron  - Foro especies exóticas invasoras Nota  científica: Primeras  citas de Trithemis kirbyi Sélys, 1891  (Odonata: Libelullidae) de Madrid (España)
 Diego  G. Tapetado, Jose Mañani, Rodrigo Gimeno-Martínez & Francisco José Cabrero-Sañudo
 449–450.
 Resumen: Se informa de la observación de dos individuos de Trithemis kirbyi Sélys, 1891 en la ciudad de Madrid. Estas  libélulas, con afinidades biogeográficas etiópicas, han aumentado su área de  distribución, llegando recientemente desde el norte de África hasta el sur y  este de la Península Ibérica. Estas observaciones representan las citas más  continentales de esta libélula, demostrando también la presencia de ésta en el entorno  urbano de Madrid capital. First  records of Trithemis kirbyi Sélys,  1891 (Odonata: Libelullidae) from Madrid (Spain)Abstract: Two individuals of Trithemis  kirbyi Sélys, 1891 have been observed in Madrid city. These dragonflies  have extended their range, recently reaching the south and east of the Iberian  Peninsula from northern Africa. These observations represent the most  continental records of this dragonfly, and demonstrate the presence of this  species in the urban area of Madrid.
 Key  words: Odonata, Libellulidae, Trithemis  kirbyi, Spain, Madrid, urban area.
   Nota  científica: Primeros registros deBrenthis hecate ([Denis & Schiffermüller],  1775) en las provincias de Valladolid y Zamora (Castilla y León, España) (Lepidoptera: Nymphalidae)
 J. Carlos Vicente Arranz, J. Alfredo Hernández  Rodríguez & Beatriz Parra Arjona
 451–453.
 Resumen: Se presentan los  primeros registros de Brenthis hecate ([Denis & Schiffermüller],  1775) (Lepidoptera: Nymphalidae) en las provincias de Valladolid y Zamora  (Castilla y León, España). Se muestra información inédita de algunas  localidades, así como cuadrículas UTM de 100 km2 donde está presente  esta especie. Se aportan algunos datos relacionados con su distribución,  hábitat y conservación en dichas provincias.Palabras clave: Lepidoptera,  Papilionoidea, Brenthis hecate, Valladolid, Zamora, Castilla y León,  España.
 First records of Brenthis hecate ([Denis &  Schiffermüller], 1775) from the provinces of Valladolid and Zamora (Castilla y  León, Spain) (Lepidoptera: Papilionoidea)Abstract: We present the first  records of Brenthis hecate ([Denis & Schiffermüller], 1775)  (Lepidoptera: Papilionoidea) from the provinces of Valladolid and Zamora  (Castilla y León: Spain). We give previously unpublished data for some  localities, as well as the UTM 100 km2  squares where the species occurs. Some  information on its distribution, habitat and conservation is given in  connection with the above-mentioned provinces.
 Key words: Lepidoptera,  Papilionoidea, Brenthis hecate, Valladolid, Zamora, Castilla y León,  Spain.
 Nota  científica:  Ampliación de la  distribución conocida de Zygaena  (Zygaena) loti ([Denis &  Schiffermüller], 1775)  en Asturias (España) (Lepidoptera:  Zygaenidae) José González Fernández
 454.
 Resumen: Se dan a conocer  nuevas citas de Zygaena loti de Asturias (España), que amplían  considerablemente su área de distribución conocida en esa Comunidad Autónoma.Palabras clave: Lepidoptera,  Zygaenidae, Zygaena loti, Asturias, España.
 An  extension of the known distribution of Zygaena (Zygaena) loti ([Denis  & Schiffermüller], 1775) in Asturias (Spain) (Lepidoptera: Zygaenidae)Abstract: New records of Zygaena loti from  Asturias (Spain) are provided, considerably extending its known range in that  administrative region.
 Key  words: Lepidoptera, Zygaenidae, Zygaena loti, Asturias,  Spain.
   
 
   Nota  científica: Primeros  registros de Callophrys avis Chapman, 1909 y Charaxes jasius (Linnaeus,  1767) en la vertiente madrileña de la Sierra de   Guadarrama (Madrid, España) (Lepidoptera: Papilionoidea)
 Antonio García Carrillo, Kristian Leahy Brajnovic &  Juan Carlos Vicente Arranz
 455–457.
 Resumen: Damos  a conocer el primer registro del licénido Callophrys avis Chapman, 1909  para la Comunidad de Madrid. Mostramos datos de la presencia de esta especie y  de Charaxes jasius (Linnaeus,  1767) en la vertiente madrileña de la Sierra de Guadarrama. Palabras clave: Lepidoptera,  Papilionoidea, Callophrys avis, Charaxes jasius, primeros registros,  Madrid, España.
 First records of Callophrys avis Chapman, 1909 and Charaxes jasius (Linnaeus, 1767) from the Madrid sector of the Sierra de  Guadarrama (Madrid, Spain) (Lepidoptera: Papilionoidea)Abstract: We present the first  record of the lycaenid Callophrys avis Chapman, 1909 from the Madrid  administrative region. We provide evidence of the presence of this species and Charaxes  jasius (Linnaeus, 1767) in the Madrid sector of the Sierra de Guadarrama  mountains.
 
          Key  words: Lepidoptera, Papilionoidea, Callophrys avis, Charaxes  jasius, first records, Madrid, Spain.
 
 
 Nota científica: Primera cita de Pseudacrossus sharpi Harold, 1874  (Coleoptera: Scarabaeoidea: Aphodiidae) de la provincia de Jaén, Andalucía  (España)Antonio Hidalgo Fontiveros
 458.
 Resumen: Damos a conocer la  primera cita de Pseudacrossu sharpi Harold, 1874 de la provincia de  Jaén, Andalucía (España).Palabras clave: Coleoptera,  Aphodiidae, Pseudacrossus sharpi, nueva cita, Jaén, Andalucía, España.
 First record of Pseudacrossus sharpi Harold, 1874  (Coleoptera: Scarabaeoidea: Aphodiidae) from Jaén province, Andalusia, SpainAbstract: Pseudacrossus  sharpi Harold, 1874 is here recorded from Jaén province,  Andalusia (Spain) for the first time.
 Key words: Coleoptera,  Aphodiidae, Pseudacrossus sharpi, new record, Jaén, Andalusia, Spain.
  Estrategias  de defensa visual en los Neuropterida ibéricos (Megaloptera, Raphidioptera, Neuroptera) V.  J. Monserrat
 459–480.
 Resumen: El superorden Neuropterida (Megaloptera, Raphidioptera, Neuroptera) incluye los  insectos actuales con metamorfosis completa más primitivos y antiguos, siendo  considerados en muchos casos como auténticos “fósiles vivientes”. Su  largo historial paleontológico les ha permitido una enorme diversificación  morfológica, siendo unos de los grupos de insectos más heterogéneo y diverso en  su morfología, su comportamiento o su biología, tanto en sus fases juveniles  como en sus imagos.Con la  aparición de otros nuevos grupos de insectos holometábolos más evolucionados y  recientes, la evolución y la selección natural han inducido a los neuroptéridos  a sorprendentes especializaciones y adaptaciones para poder obtener aquellos  recursos que estén menos, poco o nada explotados, donde encuentren una menor  competencia frente a otros insectos más evolucionados.
 Tras una breve introducción a los Neuropterida, y anotar algunos  sorprendentes recursos y adaptaciones en su morfología, comportamiento y  biología, se exponen numerosas y sorprendentes estrategias de defensa visual,  tanto pasiva (coloración y estructuras morfológicas), como activas  (comportamentales) que encontramos en los imagos y en las fases juveniles de  los neuroptéridos, haciendo especial hincapié en los órdenes, familias y  especies de la fauna ibérica.
 Palabras clave: Megaloptera, Raphidioptera, Neuroptera,  defensa visual, cripsis, comportamiento, Península Ibérica.
 Visual defence strategies in the Iberian Neuropterida  (Megaloptera, Raphidioptera, Neuroptera)Abstract: The  superorder Neuropterida (Megaloptera, Raphidioptera, Neuroptera) includes the  most primitive and oldest extant insects with a complete metamorphosis, often  considered as genuine "living fossils". Their long paleontological  history has given them a huge level of morphological diversification, and they  constitute one of the most heterogeneous and diverse insects groups, by  morphology, behaviour and biology, both in their juvenile and adult stages.
 With the  emergence of new groups of more advanced and recent holometabolous insects,  evolution and natural selection have led Neuropteridae to some surprising  specializations and adaptations in order to use those resources that their more  evolved competitors are exploiting less, little or not at all.
 After a brief introduction to the  Neuropterida and comments on some amazing resources and adaptations in their  morphology, behaviour and biology, comes an account of the numerous and  striking strategies of visual defence, both passive (coloration and morphological  structures) and active (behavioral), found in the adults and juveniles of the  Neuropterida, with particular emphasis on the orders, families and species of  the Iberian fauna.
 Key words: Megaloptera, Raphidioptera, Neuroptera,  visual defence, crypsis, behaviour, Iberian Peninsula.
 
          
 
   Eric Mjöberg, un gran entomólogo sueco, incomprendido y  maldito
 Julio Ferrer
 481–493.
 Resumen: Eric Mjöberg (1882-1938)  fue un entomólogo, coleccionista y explorador sueco que organizó varias  expediciones científicas a Australia, Borneo, Sumatra, India y Java. Era Doctor  en Filosofía y Conservador de Entomología y trabajó en el Swedish Museum of  Natural History, Estocolmo, y en el Museum of Natural History de Sarawak,  Malaysia. Especialista en Mallophaga, Mjöberg relató sus aventuras en forma de libros etnográficos. Se rechazan las acusaciones de  racismo y se explican las razones por las que Mjöberg colectaba restos humanos  en Australia. Mjöberg defendió a los aborígenes en muchas ocasiones  frente a las autoridades coloniales británicas. Se resalta el gran número de  especies nuevas para la ciencia, descubiertas por él, que llevan el nombre mjoebergi o mjöbergi, en homenaje al intrépido y meticuloso colector. Se estudia  también el curioso relato que Mjöberg escribió, describiendo una serie de  sueños fantásticos y levitación, durante una seria intoxicación debida al uso  de atropina por prescripción médica. Mjöberg (1934) por consejo de sus médicos,  escribe en forma de novela las alucinaciones sufridas: es un libro surreal que  describe cómo fue ejecutado, falsamente acusado de un fraude científico. Los  extraños elementos que forman los sueños alucinatorios de Mjöberg son  interpretados como posibles metáforas caleidoscópicas de diversos episodios  reales de la vida y aventuras del paciente. Los sueños y alucinaciones son  discutidos con sujetos que han experimentado visiones semejantes tras el  consumo de drogas susceptibles de producir alucinaciones. Se consultan  fuentes autobiográficas pertinentes, buscando un posible sentido de los  elementos simbólicos que componen la asombrosa historia fantástica narrada por  Mjöberg (1934) en su último libro.
 Finalmente se discute una posible explicación clínica de  los síntomas sufridos por Eric Mjöberg, previamente considerados como probable  parkinsonismo, encefalitis letárgica o infecciones tropicales, como resultado  de una enfermedad contraída en Borneo, encefalitis espongiforme transmisible  (EET).
 Palabras clave: Eric  Mjöberg, antropología, entomología, expediciones, aborígenes, racismo,  atropina, EET, Australia, Borneo.
 Eric Mjöberg, a great Swedish entomologist, banned and  misinterpretedAbstract: Eric Mjöberg (1882-1938) was a Swedish entomologist, collector  and traveller who organized scientific expeditions to Australia, Borneo, Java  and other places. He was a Ph.D. and senior entomological curator, and worked  for the Swedish Museum of Natural History, Stockholm and in the Museum of  Natural History of Sarawak, Malaysia. Mjöberg was specially interested in the  Mallophaga and wrote his adventures in several ethnographic books.
 Here all current accusations of racism against the  Swedish naturalist are discussed and rejected, with an explanation of the  reason why Mjöberg collected human remains in Australia. Mjöberg defended the  Aborigines several times against the British colonial authorities. Emphasis is  placed on the great number of insects species new to science that he discovered  and carry the names mjöbergi or mjöbergi in homage to this  intrepid and meticulous collector. An analysis is made of the medical report  that Mjöberg wrote after a serious medical intoxication resulting from  prescribed atropine. The novel-like account, written at the request of his  doctors, narrates his hallucinatory visions as a surreal series of dreams  describing how the author was executed, as punishment for a scientific fraud of  which he had been falsely accused. The strange elements of the hallucinatory  dreams reported by Mjöberg are interpreted here as kaleidoscopic metaphors of  various real experiences of the patient’s own life and adventures. The dreams  are analyzed after discussion with drug addicts who had similar hallucinatory  visions after consuming various hallucinatory substances. Relevant  autobiographical sources have been consulted looking for explanations for the  symbolic elements present in the remarkable story told by Mjöberg (1934) in his  last book.
 A possible clinical explanation is suggested for the  symptoms suffered by Eric Mjöberg, previously attributed to possible  Parkinsonism, lethargic encephalitis or tropical infections, as resulting from  a disease contracted in Borneo, transmissible spongiform encephalopathy (TSE).
 Key words: Eric Mjöberg,  anthropology, entomology, expeditions, Aborigines, racism, atropine, TSE,  Australia, Borneo.
 
 
 Biblioteca Entomológica Reseña: Las  mariposas de la España peninsular. D. Grustán. 494
 
 
 Reseña: Guía de campo de los polinizadores  de España. L. Castro 495-496
 
  
 Reseña: Coleoptera  Coccinellidae. FAUNA IBÉRICA. A.  Melic 497 
 
 IDE@: Ibero Diversidad Entomológica @ccesible: 498–500 
 
 Normas publicación 501 
 
 Suscripción 502
 
 
       |