Núm. 59 
        
         1–6. UNA NUEVA ESPECIE DE CUZCODINELLA (ISOPODA: ONISCIDEA: DELATORREIDAE) DE LA PROVINCIA DE  HOLGUÍN, CUBA 
  Luis  F. de Armas & Tomás M. Rodríguez-Cabrera 
  Resumen: Se describen ambos sexos de una especie nueva del género Cuzcodinella Armas & Juarrero de Varona, 1999, recolectada en áreas cársticas del  municipio de Mayarí, sudeste de la provincia de Holguín, Cuba. Con este nuevo  taxón se elevan a dos los representantes del género, hasta ahora restringido a  la parte más oriental de la isla de Cuba. 
  Palabras clave: Isopoda, Oniscidea, Delatorreidae, Cuzcodinella,  taxonomía, Antillas, Cuba. 
        A new species of Cuzcodinella (Isopoda:  Oniscidea: Delatorreidae) from Holguin province, Cuba 
          Abstract: Both sexes of a new species of the genus Cuzcodinella Armas  & Juarrero de Varona, 1999 are described from karst áreas in Mayari  municipality, south-eastern Holguin province, Cuba. Now, this genus contains  two members, both found in the easternmost region of Cuba. 
          Key words: Isopoda, Oniscidea, Delatorreidae, Cuzcodinella,  taxonomy, West Indies, Cuba. 
        Taxonomía/  Taxonomy: Cuzcodinella alejandroi sp. n. 
        
           
            
 
                   7–22. ACTUALIZACIÓN DEL GÉNERO PARABYRSOPOLIS OHAUS  (COLEOPTERA: MELOLONTHIDAE: RUTELINAE) 
          Miguel  Ángel Morón & Guillermo Nogueira 
          Resumen: Se actualiza la información sobre las especies del género Parabyrsopolis Ohaus, 1915: se redescribe P. chihuahuae Bates stat.  rev., se revalidan P. fuscoanea Ohaus stat. rev. y P.  villadeallendensis Morón stat. rev., y se describe P. wixaritae n.  sp. Se incluyen: la diagnosis del género, las redescripciones de tres  especies y la descripción de una especie nueva, acompañadas de imágenes de  machos y hembras, variaciones de color, tibias y tarsos, estructuras genitales,  mapas y una clave para separar las especies de Parabyrsopolis. 
          Palabras clave: Coleoptera, Rutelinae, taxonomía, especie  nueva, nuevos registros, Arizona (Estados Unidos), México. 
        An update on the genus Parabyrsopolis Ohaus  (Coleoptera: Melolonthidae: Rutelinae) 
          Abstract: An updated is presented on the species included in the  genus Parabyrsopolis Ohaus: P. chihuahuae Bates stat. rev. is  redescribed; P. fuscoaenea Ohaus stat. rev. and P.  villadeallendensis Morón stat. rev. are revalidated, and Parabyrsopolis  wixaritae n. sp. is described. A diagnosis of the genus,  redescriptions of three species and the description of the new species, images  of males and females, colour variations, tibiae and tarsi, genital structures,  maps, and a key to the species of Parabyrsopolis are included. 
          Key words: Coleoptera, Rutelinae, taxonomy, new  species, new records, Arizona (U.S.A), Mexico. 
        Taxonomía/Taxonomy: Parabyrsopolis wixaritae n. sp.; P. chihuahuae Bates stat. rev.; P.  fuscoaenea Ohaus stat. rev.¸ P. villadeallendensis Morón stat.  rev. 
        
          
          23–28. NEW SPECIES AND NEW RECORDS OF CLICK BEETLES  FROM THE PALEARCTIC REGION (COLEOPTERA, ELATERIDAE) 
          Giuseppe Platia 
        Abstract: Six new species belonging to the genera Anostirus Thomson,  1859 (Greece and Armenia), Haterumelater Ohira, 1968 (Iran), Cardiophorus Eschscholtz, 1829 (Greece, Morocco) and Coptostethus Wollaston, 1854  (Canary Islands) are described. New distribution records are given for a  further three species belonging to the genera Conoderus Eschscholtz,  1829 and Ampedus Dejean, 1833. 
        Key words: Coleoptera, Elateridae, new species, new  records, Palearctic region. 
        Especies nuevas y nuevas citas de elatéridos  de la Región Paleártica (Coleoptera, Elateridae) 
          Resumen: Se describen seis especies nuevas pertenecientes a los  géneros Anostirus Thomson, 1859 (Grecia y Armenia), Haterumelater Ohira,  1968 (Irán), Cardiophorus Eschscholtz, 1829 (Grecia, Marruecos) y Coptostethus Wollaston, 1854 (Islas Canarias). Se aportan nuevas citas geográficas de  otras tres especies pertenecientes a los géneros Conoderus Eschscholtz,  1829 y Ampedus Dejean, 1833. 
          Palabras clave: Coleoptera, Elateridae, especies nuevas,  citas nuevas, Región Paleártica. 
        Taxonomy/Taxonomía. Anostirus lucbaueri n.sp.; Anostirus armeniacus n.sp.; Haterumelater kadleci n.sp.; Cardiophorus ruzzantei n.sp.; Cardiophorus fialai n.sp.; Coptostethus mantici n.sp. 
        
         29–42. TENEBRIÓNIDOS NUEVOS  E INTERESANTES DE MOZAMBIQUE Y NOTAS SOBRE LOS GÉNEROS CNEMEPLATIA COSTA  Y PHILHAMMUS FAIRMAIRE (COLEOPTERA: TENEBRIONIDAE) 
        Julio Ferrer 
        Resumen: Se presenta una lista comentada de especies colectadas  por el entomólogo sueco Stig Lundberg en Mozambique durante 2007 y 2009. Cuatro  especies nuevas se describen e ilustran: Sulcolagria merkli n. sp., Oplocheirus sarae n. sp., Achrostus lundbergiorum n. sp. y Erycastus larslundbergi n. sp. Se confirma la sinonimia de Philhammus  brincki Ferrer, 1995 and Philhammus triplehorni Medvedev, 2005. Se  estudian las especies indo-africanas del género Cnemeplatia Costa, 1847  y se presentan por vez primera fotografías de sus habitus respectivos. Cnemeplatia  calcuttensis Kaszab stat. nov. es elevada de subespecie a especie. 
        Palabras clave: Coleoptera, Tenebrionidae, Sulcolagria, Oplocheirus, Achrostus, Erycastus, especies nuevas, Mozambique. 
        New and interesting Tenebrionidae from  Mozambique, with notes on the genera Cnemeplatia Costa and Philhammus Fairmaire (Coleoptera) 
          Abstract: A check list of species collected by the Swedish  entomologist Stig Lundberg in Mozambique in 2007 and 2009 is given, and four  new species are described and illustrated: Sulcolagria merkli n. sp., Oplocheirus sarae n. sp., Achrostus lundbergiorum n.  sp. and Erycastus larslundbergi n. sp.. The synonymy of Philhammus  brincki Ferrer, 1995 and Philhammus triplehorni Medvedev, 2005 is  confiirmed. The Indo-Áfrican species of the genus Cnemeplatia Costa,  1847 are studied and fotogrraphs of their habitus presented for the first time. Cnemeplatia calcuttensis Kaszab stat. nov. is elevated from the  subspecific to the specific rank. 
        Key words: Coleoptera, Tenebrionidae, Sulcolagria, Oplocheirus, Achrostus, Erycastus, new species, Mozambique. 
        Taxonomía / Taxonomy: Sulcolagria merkli n. sp., Oplocheirus sarae n. sp., Achrostus  lundbergiorum n. sp., Erycastus larslundbergi n. sp. 
        
          
          43–45. ORBELLIA  INFLATA SP. N.: A NEW  HELEOMYZID SPECIES FROM SPAIN (DIPTERA, HELEOMYZIDAE) 
          Miguel Carles-Tolrá  & Daniel Ventura 
        Abstract: A new heleomyzid species, Orbellia inflata sp.  n., is described from Spain. It is characterised by its  extremely dilated mid femora. 
        Key words: Diptera, Heleomyzidae, Orbellia inflata,  new species, Spain. 
        Orbellia inflata sp. n.: especie nueva de heleomícido de  España (Diptera, Heleomyzidae) 
          Resumen: Se describe una especie nueva de heleomícido, Orbellia  inflata sp. n., de España. Se caracteriza por sus fémures medios  extremadamente dilatados. 
          Palabras clave: Diptera, Heleomyzidae, Orbellia inflata,  especie nueva, España 
        Taxonomy/Taxonomía: Orbellia inflata sp.n. 
        
          47–63. DESCRIPCIÓN DE 11  ESPECIES NUEVAS DEL GÉNERO DIOMUS MULSANT 
          (COLEOPTERA: COCCINELLIDAE: DIOMINI) DE  AMÉRICA DEL SUR Y 
          NUEVOS REGISTROS PARA BRASIL, COLOMBIA,  ECUADOR Y PERÚ 
        Guillermo González F. 
        Resumen: Se describen especies nuevas del género cosmopolita Diomus Mulsant sobre material de América del Sur: Diomus arcayae n. sp.,  D. argentinicus n. sp., D. barrigai n. sp., D.  bicolor n. sp., D. calcaneum n. sp., D. chabooae n.  sp., D. constantini n. sp., D. hirtus n. sp., D.  mordeo n. sp., D. ovalifulvus n. sp. y D. torresi n.  sp. Se citan por primera vez D. januarius Gordon, D. protus Gordon y D. roseicollis (Mulsant) para Perú, D. petronilla Gordon de  Brasil y D. tucumanus Weise para Colombia y Ecuador. Se ilustra el  aparato genital de los machos de las especies nuevas, las cuales son asignadas  a los grupos definidos por Gordon (1999), y su relación con otras especies del  género es analizada. 
        Palabras clave: Coleoptera, Coccinellidae, taxonomía,  aparato genital, grupos de especies, América del Sur. 
        Description of 11 new species of the genus Diomus Mulsant (Coleoptera: Coccinellidae: Diomini) from South America, with new  records from Brazil, Colombia, Ecuador and Peru 
          Abstract: New species of the cosmopolitan genus Diomus Mulsant  are described based on material from South America: Diomus arcayae n.  sp., D. argentinicus n. sp., D. barrigai n. sp., D. bicolor n. sp., D. calcaneum n. sp., D.  chabooae n. sp., D. constantini n. sp., D. hirtus n.  sp., D. mordeo n. sp., D. ovalifulvus n. sp. and D. torresi n. sp. The species D. januarius Gordon, D.  protus Gordon and D. roseicollis (Mulsant) are recorded for first  time from Perú, D. petronilla Gordon from Brazil and D. tucumanus Weise  from Colombia and Ecuador. The genitalia of the males of the new species are  illustrated. The new species are assigned to the groups defined by Gordon  (1999) and their relationship to other species of the genus are analysed. 
        Key words: Coleoptera, Coccinellidae, taxonomy,  genitalia, species groups, South America. 
        Taxonomía / Taxonomy: Diomus arcayae n. sp., Diomus. argentinicus n. sp., Diomus barrigai n. sp., Diomus bicolor n. sp., Diomus calcaneum n. sp., Diomus chabooae n.  sp., Diomus constantini n. sp., Diomus hirtus n.  sp., Diomus mordeo n. sp., Diomus ovalifulvus n.  sp., Diomus torresi n. sp. 
         
          
         65–83. ESPECIES NUEVAS Y  NUEVOS DATOS DEL GÉNERO COLON HERBST, 1797 DE LA REGIÓN NEOTROPICAL  (COLEOPTERA, LEIODIDAE, COLONINAE) 
José Mª Salgado Costas 
        Resumen: Se describen seis especies nuevas pertenecientes a los  subgéneros Chelicolon Szymczakowski, 1964 y Myloechus Latreille, 1807: Colon (Chelicolon) myrmeleonis n. sp., C. (C.) newtoni n. sp., C. (C.) fresnedai n. sp., C. (C.) lonquimayi n. sp., C. (C.) nicoperezi n. sp. y C. (Myloechus) infissionis n. sp.  Se aportan nuevas citas y notas sistemáticas en relación con otras tres  especies del subgénero Chelicolon: Colon (Chelicolon) valdivianum Szymczakowski, 1970, C. (C.) topali Szymczakowski,  1965 y C. (C.) sobrinum Szymczakowski, 1965. Además, se  incluyen una clave para las especies neotropicales del subgénero Chelicolon y  numerosos gráficos y fotos de todas aquellas estructuras que mejor pueden  definir las diferentes especies. 
        Palabras clave: Coleoptera, Leiodidae, Colon,  especies nuevas, claves, Neotrópico. 
        New species and new records of the genus Colon Herbst, 1797 from the Neotropical region (Coleoptera, Leiodidae, Coloninae) 
          Abstract: Six new species belonging to the subgenera Chelicolon Szymczakowski,  1964 and Myloechus Latreille, 1807 are described: Colon (Chelicolon) myrmeleonis n. sp., C. (C.) newtoni n. sp., C. (C.) fresnedai n. sp., C. (C.) lonquimayi n. sp., C. (C.) nicoperezi n. sp. and C.  (Myloechus) infissionis n. sp. New records and systematic  notes on other three species of the subgenus Chelicolon are provided: Colon (Chelicolon) valdivianum Szymczakowski, 1970, C. (C.) topali Szymczakowski, 1965 and C. (C.) sobrinum Szymczakowski,  1965. Also, a key to the Neotropical species of the subgenus Chelicolon and  numerous graphs and potos of all those structures that can best define the  different species are included. 
        Key words: Coleoptera, Leiodidae, Colon, new  species, keys, Neotropic. 
        Taxonomía/Taxonomy: Colon (Chelicolon) myrmeleonis n. sp., Colon (Chelicolon) newtoni n. sp., Colon (Chelicolon) fresnedai n. sp., Colon (Chelicolon) lonquimayi n. sp., Colon (Chelicolon) nicoperezi n. sp. y Colon (Myloechus) infissionis n. sp. 
        
         85–101. CONTRIBUCIÓN AL  CONOCIMIENTO DEL GÉNERO CHEIRODES GÉNÉ 1839, CON DESCRIPCIÓN DE NUEVAS  ESPECIES DE EUROPA Y ÁFRICA (COLEOPTERA, TENEBRIONIDAE) 
        Julio Ferrer 
        Resumen: Las especies mediterráneas y canarias del género Cheirodes Géné, 1839 son revisadas, estudiando por primera vez sus genitalias. De las  comparaciones efectuadas puede deducirse que lejos de ser una misma especie, de  vasta distribución geográfica, se trata en realidad de diversas especies  confundidas con la especie típica, propia de Cerdeña, Italia. Se presenta por  primera vez las genitalia de las especies confundidas y se da una clave con  pertinentes caracteres diagnósticos para separar de la especie típica las nueve  especies nuevas descritas: Cheirodes ahomanae n. sp. de la  Península Ibérica; Cheirodes africanus n. sp. de Marruecos,  Argelia, Túnez y de Libia; Cheirodes guanchorum n. sp. de las  Islas Canarias; Cheirodes otomanus n. sp. De Turquía, Bulgaria y  Grecia; Cheirodes anatolicus n. sp. de Turquía; Cheirode  linnmani n. sp. de Israel; Cheirodes arabicus n. sp. de  la Península Arábica; Cheirodes massauensis n. sp. de Etiopía y Cheirodes  ruthmuellerae n. sp. de Sudáfrica. Se presenta una clave dicotómica  para separar las especies. 
        Palabras claves: Cheirodes, nuevas especies. Península Ibérica, Islas Canarias,  Cabo Verde, Grecia, Bulgaria, Turquía, Israel, Sudán, Etiopía, Península  Arábica, Sudáfrica. 
        Contributions to the knowledge of the genus Cheirodes Géné, 1839, with description of new species from Europe and África  (Coleoptera, Tenebrionidae). 
          Abstract: The species of the genus Cheirodes Géné, 1839 are  revised, studing for the first time the genitalia. The comparative examen  clearly evidentiate that it is not a widely distributed species, but a species  groupe, consisting in diverse species hitherto confused with the species  typica, from Sardinia, Italy. Genital organs are figured for the first time. A  key is given to separate all taxa and pertinent diagnostic characters are  figured to separe from the type species, the nine new species described: Cheirodes  ahomanae n. sp. from the Iberian Peninsule; Cheirodes africanus n.  sp. from Morokko, Algeria, Tunisie and Libye; Cheirodes guanchorum n.  sp. from Canary Isles; Cheirodes otomanus n. sp. from Turkey,  Bulgary and Greece and Cheirodes anatolicus n. sp. from Turkey; Cheirode  linnmani n. sp. from Israel; Cheirodes massauensis n. sp. from  Ethiopia and Cheirodes ruthmuellerae n. sp. From South Afica. A  dichotomic key is provided to separe all species. 
        Key words: Cheirodes, new species, Iberian Peninsule, Canary Isles, Cap Vert,  Greece, Bulgary, Turkey, Israel, Sudán, Ethiopie, Arabian Peninsule and South  Africa. 
        Taxonomía / Taxonomy: Cheirodes ahomanae n. sp., Cheirodes africanus n. sp., Cheirodes  guanchorum n. sp., Cheirodes otomanus n. sp., Cheirodes  anatolicus n. sp., Cheirode linnmani n. sp., Cheirodes  arabicus n. sp., Cheirodes massauensis n. sp.,Cheirodes  ruthmuellerae n. sp. 
        
        102–108. CATÁLOGO COROLÓGICO DE LOS NITIDULIDAE  LATREILLE, 1802 (COLEOPTERA: CUCUJOIDEA) DE LA PROVINCIA DE HUELVA (SUDOESTE DE  ANDALUCÍA, ESPAÑA) 
  Juan José López-Pérez, José Manuel Pereira & José  Carlos Otero 
        Resumen: Se presenta el primer catálogo corológico de la familia  Nitidulidae Latreille, 1802 de la provincia de Huelva. Se lista un total de 18  especies pertenecientes a las subfamilias: Carpophilinae, Epuraeinae,  Meligethinae y Nitidulinae, con distribución y comentarios; de ellas 16 son  primera cita para la provincia de Huelva y cuatro primera cita para Andalucía.  El trabajo es, así pues, una contribución al conocimiento de la fauna de  coleópteros de Andalucía y de la Península Ibérica. 
        Palabras clave: Coleoptera, Nitidulidae, catálogo, nuevos  registros, España, Andalucía, Huelva. 
        A chorological catalogue of the Nitidulidae  (Coleoptera: Cucujoidea) of Huelva province (south-western Andalusia, Spain) 
          Abstract: This is the first chorological catalogue of the  Nitidulidae Latreille, 1802 of Huelva province (Spain). The list includes a  total of 18 species belonging to the subfamilies Carpophilinae, Epuraeinae,  Meligethinae and Nitidulinae, with their distribution and comments. Of these  species 16 are recorded for the first time from Huelva province and 4 from  Andalusia. The paper is thus a contribution to the knowledge of the beetle fauna  of Andalusia and that of the Iberian Peninsula. 
        Key words: Coleoptera, Nitidulidae, catalogue, new  records, Spain, Andalusia, Huelva. 
        
          
          109–116. CITAS NUEVAS DE BUPRÉSTIDOS (COLEOPTERA,  BUPRESTIDAE) PARA LA COMUNIDAD VALENCIANA (ESPAÑA) 
          Antonio Pérez Onteniente, Miguel Ángel Ibáñez Orrico &  Sergio Montagud Alario 
        Resumen: Se presentan nuevos registros de bupréstidos (Coleoptera,  Buprestidae) para la Comunidad Valenciana (este de España) basados en el  material recolectado por los autores. Seis especies tienen aquí sus primeras  citas para el área de estudio y veintinueve son novedad para alguna de las  provincias que la constituyen. 
        Palabras clave: Coleoptera, Buprestidae, nuevos registros,  Comunidad Valenciana, España. 
        New records of buprestids (Coleoptera,  Buprestidae) from the Valencia administrative region (Spain) 
          Abstract: New records of Buprestidae are presented for the Valencia  administrative region (eastern Spain) based on the material collected by the  authors. Six of the species are recorded from the area for the first time, and  twenty-nine are new to some of the provinces that constitute the region. 
        Key words: Coleoptera, Buprestidae, new records,  Valencia administrative region, Spain. 
        
          
          117–126. PREMIÈRES DONNÉES SUR LES COLÉOPTÈRES ET LES  HÉMIPTÈRES AQUATIQUES DE LA SEBKHA D’IMLILY (RÉGION DE DAKHLA-OUED ED DAHAB,  SUD-OUEST DU MAROC), AVEC LA PREMIÈRE CITATION DE BEROSUS GUILIELMI KNISCH,  1924 (COLEOPTERA, HYDROPHILIDAE) POUR LE DOMAINE PALÉARCTIQUE 
          Nard Bennas, Oumnia Himmi, Loubna Benamar, Ouassima  L’Mohdi, Mohammed Aziz El Agbani, Abdejebbar Qninba & Andrés Millán Sánchez 
        Résumé: On apporte les premières données sur la diversité des  coléoptères et des hémiptères aquatiques de la sebkha d’Imlily, une zone humide  saharienne relique faisant partie de la région de Dakhla-Oued Ed Dahab. Huit  espèces de coléoptères et deux espèces d’hémiptères ont été recensées. Parmi  les résultats faunistiques les plus importants est la découverte pour la  première fois, non seulement au Maroc mais pour l’ensemble du domaine  Paléarctique, de l’espèce afrotropicale Berosus guilielmi Knisch, 1924,  élargissant ainsi la limite septentrionale connue de son aire de distribution  jusqu’au sud du domaine Paléarctique. Le reste des espèces constituent toutes  des premières citations pour la région de Dakhla-Oued Ed Dahab, et sept le sont  pour la région saharienne. Une analyse faunistique et chorologique des espèces  trouvées, ainsi que de l’état de conservation de la zone humide est 
          réalisée. 
          Mots clés: Hemiptera, Coleoptera, insectes aquatiques,  zones humides, écosystèmes extrêmes, conservation, Maroc. 
        Primeros datos sobre los coleópteros y  hemípteros acuáticos de la Sebkha d’Imlily (región de Dakhla-Oued Ed Dahab, sureste  de Marruecos), y primera cita paleártica de Berosus guilielmi Knisch,  1924 (Coleoptera, Hydrophilidae) 
          Resumen: Se aportan los primeros datos sobre la diversidad de los  coleópteros y hemípteros acuáticos de la sebkha de Imlily, una zona húmeda  sahariana relicta perteneciente a la región de Dakhla-Oued Ed Dahab. Se han  recogido ocho especies de coleópteros y dos de hemípteros. Uno de los  resultados faunísticos más importantes es el descubrimiento, no solo para  Marruecos, sino también para el dominio paleártico, de la especie afrotropical Berosus  guilielmi Knisch, 1924, que amplía el limite septentrional conocido de su  área de distribución hasta el Paleártico meridional. El resto de las especies  constituyen primeras citas para la región de Dakhla-Oued Ed Dahab, y siete de  ellas lo son para la región del Sahara. Se ha realizado también un análisis  faunístico y corológico de las especies encontradas, así como del estado de  conservación de la zona húmeda. 
        Palabras clave: Hemiptera, Coleoptera, insectos acuáticos,  zonas húmedas, ecosistemas extremos, conservación, Marruecos. 
        First data on the water coleopterans and  hemipterans of the Sebkha d’Imlily (Dakhla-Oued Ed Dahab region, south-eastern Morocco),  with the first Palaearctic record of Berosus guilielmi Knisch, 1924  (Coleoptera, Hydrophilidae) 
          Abstract: The first data on the diversity of the aquatic Coleoptera  and Hemiptera of the Imlily sebkha are presented. Imlily is a relict Saharan  wetland belonging to the Dakhla-Oued Ed Dahab region. Eight species of  Coleoptera and two species of Hemiptera are reported. One of the most important  faunistic results is the discovery, not only for Morocco, but also for the  Palaearctic domain, of the Afrotropical species Berosus guilielmi Knisch,  1924, which extends the known northern boundary of its distribution range to  the southern Palaearctic. The rest of the species are all first records for the  Dakhla-Oued Ed Dahab region, and seven of them are also recorded for the first  time from the Sahara region. A faunistic and chorological analysis of the  species, as well as the conservation status of this wetland is included, too. 
        Key words: Hemiptera, Coleoptera, aquatic insects,  wetlands, extreme ecosystems, conservation, Morocco. 
         
          
        127–147. ANÁLISIS ESTADÍSTICO DE LAS RELACIONES ENTRE  LA TAXOCENOSIS DE PAPILIONOIDEA (LEPIDOPTERA) Y LA VEGETACIÓN EN UN ÁREA DEL MONTSENY  (NORESTE DE LA PENÍNSULA IBÉRICA) 
  Albert Masó & Javier Romero 
        Resumen: La hipótesis de que la vegetación condiciona el  poblamiento de lepidópteros está ampliamente aceptada. Ahora bien, existe una  cierta confusión sobre qué rasgos de la vegetación ejercen dicho  condicionamiento. El objetivo del estudio es examinar, mediante una  aproximación correlacional, si la composición y abundancia de la taxocenosis de  mariposas está influida por la composición y abundancia de la comunidad de  plantas. Para ello se delimitó un área en las faldas del macizo del Montseny  (noreste de la Península Ibérica), con cinco zonas altitudinales, entre 400 m y  800 m. de altitud. En cada una de las zonas se llevó a cabo un inventario  exhaustivo de plantas. Asimismo, se hicieron prospecciones las 53 semanas de un  año con un esfuerzo de captura de 4 horas cada prospección para el total de las  zonas. Se identificaron un total de 267 plantas y 82 especies de mariposas (a  partir de 2450 ejemplares de Papilionoidea). Los análisis numéricos de la  taxocenosis de plantas y de la de mariposas muestran una clara diferenciación  del fondo del valle respecto a la montaña. Por el contrario, las cuatro zonas  de montaña eran muy homogéneas entre sí. Asimismo, se evaluaron las afinidades  ecológicas de las especies de plantas y lepidópteros, observando que los grupos  resultantes de especies de mariposas no muestran coincidencia ni preferencia  con la familia o subfamilia de cada especie, ni con su voltinismo o fase de  hibernación. Tampoco hay paralelismo alguno entre las proporciones de los  grupos de afinidad ecológica que se formaron en ambas taxocenosis. Las especies  de lepidópteros muestran una amplia distribución por las cinco zonas, con pocas  especies características de cada hábitat. La diversidad de una y otra  taxocenosis no varía de la misma manera entre zonas; así, los valores máximos  de diversidad de lepidópteros estaban en las zonas de montaña, mientras que la  diversidad mínima de plantas se alcanzó en la zona de mayor altitud; y en el  río, donde la diversidad de las plantas era muy alta, la de mariposas era la  mínima, con diferencia. 
          Todos estos resultados parecen indicar que, con las  limitaciones del presente trabajo (un número de zonas reducido, una escala  espacial kilométrica y un área geográfica limitada), la taxocenosis de  mariposas no tiene una fuerte dependencia de la vegetación, descrita en  términos de la composición de sus especies y de su abundancia. 
          Palabras clave: Lepidoptera, Papilionoidea, ecología,  análisis estadístico, taxocenosis, diversidad, relaciones entre mariposas y  vegetación, Montseny, Cataluña, Península Ibérica. 
        Anàlisi estadística de les relacions entre  la taxocenosi de Papilionoidea (Lepidoptera) i la vegetació en una àrea del Montseny  (nord-est de la Península Ibèrica) 
          Resum: La hipòtesi de que la vegetació condiciona el poblament  dels lepidòpters està àmpliament acceptada. Ara bé, hi ha una certa confusió  sobre quins trets de la vegetació exerceixen aquest condicionament. L'objectiu  d’aquest treball és examinar, mitjançant una aproximació correlacional, si la  composició i abundància de la taxocenosi de papallones està influïda per la composició  i abundància de la comunitat de plantes. Per a això es delimita una àrea a la  falda del massís del Montseny (nordest de la Península Ibèrica), amb cinc zones  altitudinals, entre 400 m i 800 m d'altitud. En cadascuna de les zones es portà  a terme un inventari exhaustiu de plantes. Així mateix, es feren prospeccions  de papallones diürnes les 53 setmanes d'un any amb un esforç de captura de 4  hores cada prospecció per al total de les zones. S'identificà un total de 267  plantes i 82 espècies de papallones (a partir de 2450 exemplars de  papilionoideus). 
          Les anàlisis numèriques de la taxocenosi de plantes i la  de papallones mostren una clara diferenciació entre el fons de la vall i la  muntanya. Per contra, les quatre zones de muntanya eren molt homogènies entre  sí. Així mateix, es van avaluar les afinitats ecològiques de les espècies de  plantes i lepidòpters, observant que els grups d’espècies de papallones que es  formaren no mostren coincidència ni preferència amb la família o subfamília de  cada espècie, ni amb el seu voltinisme o fase d'hibernació. Tampoc hi ha cap  paral·lelisme entre les proporcions dels grups d’afinitat ecològica que es  formaren en les dues taxocenosis. Les espècies de lepidòpters mostren una  àmplia distribució per zones, amb poques espècies característiques de cada hàbitat.  La diversitat d'una i altra taxocenosi no varia de la mateixa manera entre  zones; així, els valors màxims de diversitat de lepidòpters s'assoliren a les  zones de muntanya, mentre que la diversitat mínima de plantes s'arribà a la  zona de major altitud; i al riu, on la diversitat de les plantes és molt alta,  la de les papallones era la mínima, amb diferència. Tots aquests resultats  semblen indicar que, amb les limitacions del present treball (un nombre de  zones reduït, una escala espacial quilomètrica i una àrea geogràfica limitada),  la taxocenosi de papallones no té una forta dependència de la vegetació,  descrita en termes de la composició de les seves espècies i de la seva  abundància. 
          Paraules clau: Lepidoptera, Papilionoidea, ecologia,  anàlisi estadística, taxocenosi, diversitat, relacions entre papallones i vegetació,  Montseny, Catalunya, Península Ibèrica. 
        A statistical analysis of the relationships  between the taxocenose of Papilionoidea (Lepidoptera) and the vegetation in an  area of the Montseny (north-eastern Iberian Peninsula) 
          Abstract: The hypothesis that vegetation determines the Lepidoptera  population is widely accepted. However, there is some confusion about which  features of the vegetation exert such conditioning. The aim of this study is to  examine, through a correlational approach, if the composition and abundance of  the taxocenosis of butterflies is influenced by the composition and abundance of  the plant community. An area was selected in the Montseny massif (north-eastern  Iberian Peninsula), with five altitudinal zones, from 400 m above sea level up  to 800 m. In each one of these zones an exhaustive inventory of plants was  carried out, as well as 53 prospections at a rate one each week for one year,  with an effort of 4 collecting hours for all the zones in every prospection. A  total of 267 plants and 82 species of butterflies (from 2450 specimens of  Papilionoidea) were identified. The numerical analyses of both the plant and  butterfly taxocenoses show a clear differentiation between the bottom of the  valley and the mountain. By contrast, the four mountain zones were very  homogeneous. Also, the ecological affinities of the plant and butterfly species  were evaluated, noting that the resulting butterfly species groups show no  coincidence or preference with the family or subfamily of each species, nor  with voltinism or hibernation phase. Nor is there any parallelism between the proportions  of the ecological affinity groups that were formed in both taxocenoses. The  butterfly species show a wide distribution in the five zones, with few species  characteristic of each habitat. The diversity of both taxocenoses does not vary  in the same way between zones; so, the maximum diversity values of Lepidoptera  were in the mountain areas, while the minimum diversity of plants was reached  in the highest zone; and in the river, where plant diversity was very high,  butterfly diversity was the lowest by far. These results seem to indicate that,  with the limitations of this study (a small number of areas, a milepost spatial  scale and a limited geographical area), the butterfly taxocenose has no strong  dependence on the vegetation, described in terms of the composition of species  and their abundance. 
        Key words: Lepidoptera,  Papilionoidea, ecology, statistical analysis, taxocenose, diversity, butterfly-vegetation  relationships, Montseny, Catalonia, Iberian Peninsula. 
          
         
          
        148-152. CONTRIBUCIÓN AL CONOCIMIENTO DE LA  DISTRIBUCIÓN DE LOS LEIODINAE (COLEOPTERA, LEIODIDAE) DE LA PENÍNSULA IBÉRICA 
  José A. Sáez Bolaño & José M. Blanco Villero 
        Resumen: Se aportan nuevos datos acerca de la distribución de la  subfamilia Leiodinae (Coleoptera, Leiodidae) en la Península Ibérica,  recogiéndose las citas previas. Los nuevos registros proceden de las  colecciones de entomología del Museo Nacional de Ciencias Naturales (Madrid) y  de la Universidad de Valladolid, además de colecciones particulares. Se han  obtenido datos de 34 especies, de las cuales once son primeras citas para  España. 
          Palabras clave: Coleoptera, Leiodidae, Leiodinae,  distribución, Península Ibérica. 
          A contribution to the knowledge of the  distribution of the Iberian Leiodinae (Coleoptera, Leiodidae) 
          Abstract: The results of a study on the Leiodinae (Coleoptera,  Leiodidae) of the Iberian Peninsula are presented, based both on previous  records and on material from Madrid’s Museo Nacional de Ciencias Naturales,  Valladolid University and private collections. 34 species are recorded from  this territory; of those, eleven are recorded for the first time from Spain. 
        Key words: Coleoptera, Leiodidae, Leiodinae, chorology,  Iberian Peninsula. 
        
           
            
 
         153–156. PARASITOIDES  CALCIDOIDEOS (HYMENOPTERA: CHALCIDOIDEA) ASOCIADOS 
            A ISOCOLUS MELIKAI PUJADE-VILLAR,  2014 (HYMENOPTERA: CYNIPIDAE) 
        Ana Cobo, Antoni Ribes(†) & Juli Pujade-Villar 
        Resumen: Se citan por primera vez las asociaciones entre los  parasitoides calcidoideos Eupelmus microzonus (Förster, 1860) (Hymenoptera:  Eupelmidae), Idiomacromerus papaveris (Förster, 1856) (Hymenoptera:  Torymidae), Ormyrus gratiosus (Förster, 1860) (Hymenoptera: Ormyridae), Pteromalus  ochrocerus (Thomson, 1878) (Hymenoptera: Pteromalidae) y el cinípido Isocolus  melikai Pujade-Villar, 2014 (Hymenoptera: Cynipidae: Aylacini). Las  muestras fueron recogidas en dos localidades de la Comunidad de Madrid mediante  el muestreo de la planta hospedadora Centaurea ornata Willd. a partir de  agallas de la primera generación de Isocolus melikai localizadas en los  aquenios. La mención de P. ochrocerus es además su primer  registro para la Península Ibérica. Se exponen algunos comentarios referentes a  la identificación de Idiomacromerus papaveris con respecto a Idiomacromerus  mayri (Wachtl, 1883) y a su biología. 
        Palabras clave: Hymenoptera, Chalcidoidea, Cynipidae, Eupelmus, Idiomacromerus, Ormyrus, Pteromalus, Isocolus, Centaurea,  Madrid, España. 
        Chalcidoid parasitoids (Hymenoptera:  Chalcidoidea) associated with Isocolus melikai Pujade-Villar, 2014  (Hymenoptera: Cynipidae) 
          Abstract: The associations between the chalcidoid parasitoids Eupelmus  microzonus (Förster, 1860) (Hymenoptera: Eupelmidae), Idiomacromerus  papaveris (Förster, 1856) (Hymenoptera: Torymidae), Ormyrus gratiosus (Förster,  1860) (Hymenoptera: Ormyridae), Pteromalus ochrocerus (Thomson, 1878)  (Hymenoptera: Pteromalidae) and the cynipid Isocolus melikai Pujade-Villar,  2014 (Hymenoptera: Cynipidae: Aylacini) are reported for the first time. The  material was collected in two localities of the Madrid administrative region by  sampling the host plant Centaurea ornata Willd. from galls of the first  generation of Isocolus melikai on achenes. P. ochrocerus is also  newly recorded from the Iberian Peninsula. Comments on the separation of Idiomacromerus  papaveris from Idiomacromerus mayri (Wachtl, 1883) and its biology  are given. 
        Key words: Hymenoptera, Chalcidoidea, Cynipidae, Eupelmus, Idiomacromerus, Ormyrus, Pteromalus, Isocolus, Centaurea, Madrid, Spain. 
        
           
            
 
        157–158. NEMESTRINIDAE, VERMILEONIDAE, XYLOPHAGIDAE, BORBOROPSIDAE, CRYPTOCHETIDAE Y  XENASTEIIDAE: SEIS FAMILIAS DE DÍPTEROS NUEVAS PARA PORTUGAL (INSECTA: DIPTERA) 
        Miguel Carles-Tolrá 
        Resumen: Seis familias de dípteros (Nemestrinidae, Vermileonidae,  Xylophagidae, Borboropsidae, Cryptochetidae y Xenasteiidae) se citan por  primera vez de Portugal. 
          Palabras clave: Diptera, Nemestrinidae, Vermileonidae,  Xylophagidae, Borboropsidae, Cryptochetidae, Xenasteiidae, citas nuevas, Portugal. 
          Nemestrinidae, Vermileonidae, Xylophagidae,  Borboropsidae, Cryptochetidae and Xenasteiidae: six dipterous families new to  Portugal (Insecta: Diptera) 
          Abstract: Six dipterous families (Nemestrinidae, Vermileonidae,  Xylophagidae, Borboropsidae, Cryptochetidae and Xenasteiidae) are recorded from  Portugal for the first time. 
        Key words: Diptera, Nemestrinidae, Vermileonidae,  Xylophagidae, Borboropsidae, Cryptochetidae, Xenasteiidae, new records, Portugal. 
        
        159–180. CATÁLOGO FAUNÍSTICO DE LA FAMILIA DYTISCIDAE (COLEOPTERA: ADEPHAGA) EN  CUBA 
  Yoandri S. Megna & David Sánchez-Fernández 
        Resumen: Se realiza una recopilación actualizada de toda la  información taxonómica y corológica disponible sobre las especies cubanas de la  familia Dytiscidae. Para ello, se creó la base de datos DICU (DItíscidos de  CUba), que incluye datos procedentes de una exhaustiva recopilación  bibliográfica, de revisión de colecciones entomológicas y de muestreos propios  realizados entre los años 2000 y 2014. La base de datos cuenta con un total de  276 registros de 53 especies, lo que supone el 96,4% del total que se estima  para Cuba, y la mayor diversidad de las Antillas. En cada especie se aporta información  sobre su distribución (general y en Cuba), hábitat y biología, así como un mapa  actualizado mostrando su distribución conocida en Cuba. Estos resultados  posibilitarán la realización de futuros estudios sobre conservación de los  ditíscidos de Cuba. 
        Palabras clave: Coleoptera, Dytiscidae, composición taxonómica,  distribución, Cuba. 
        A checklist of the Dytiscidae (Coleoptera:  Adephaga) of Cuba 
          Abstract: An updated list is here presented of all the available  taxonomic and faunistic information on the Cuban species of the family  Dytiscidae. To this end, the database DICU (DItíscidos of Cuba) database was  created: it includes data from a comprehensive bibliographic compilation, a  review of several entomological collections and our own sampling, conducted  between 2000 and 2014. The database contains a total of 276 records of 53  species, representing 96.4% of the total estimated for Cuba, and the greatest  diversity in the Antilles. For each species, information on its (general and  Cuban) distribution, habitat and biology is provided, along with an updated map  showing its known distribution in Cuba. Our results will allow future studies  on conservation of these species in Cuba. 
        Key words: Coleoptera, Dytiscidae, taxonomic checklist,  distribution, Cuba. 
        
           
            
 
          
          181–186. P H O R O N: FORO ESPECIES EXÓTICAS INVASORAS 
          FENOLOGÍA Y ABUNDANCIA DE CINCO ESPECIES DE  PSILAS (HEMIPTERA, PSYLLOIDEA) EN ESPACIOS VERDES URBANOS DE LA CIUDAD DE  VALENCIA (ESPAÑA) 
          Eugenia Rodrigo, Iván García-Parra, Adrián  Sánchez-Domingo, 
          Salvador Bertomeu, Pilar Xamaní & Rafael Laborda 
        Resumen: Los psílidos (Hemiptera, Psylloidea) son un grupo de  pequeños insectos que se alimentan del floema de las plantas. Se estudiaron en  Valencia la fenología y abundancia de las psilas del ficus, albizia, tipuana,  árbol del amor y eucalipto desde febrero hasta septiembre de 2014, así como los  depredadores y parasitoides asociados. La presencia de todos los estadios de  desarrollo a la vez en el periodo de estudio dificultó la determinación del  número de generaciones anuales. Se analizó el número de insectos vivos por hoja  o brote, siendo la población de la psila del árbol del amor la primera en  aumentar (marzo) y en desaparecer de los árboles (julio). Las psilas de la  albizia, tipuana y eucalipto estuvieron presentes en los árboles desde abril  hasta agosto-septiembre. La psila del ficus fue abundante en los brotes desde  febrero a junio, disminuyendo fuertemente la población en julio y agosto y  volviéndose a recuperar en septiembre. Los enemigos naturales asociados a las  psilas fueron el depredador Anthocoris  nemoralis y los himenópteros Prionomitus mitratus y Psyllaephagus bliteus, parasitoides  de la psila del ficus y del eucalipto, respectivamente. 
        Palabras clave: Hemiptera, Psylloidea, albizia, árbol del amor,  eucalipto, ficus, tipuana, control biológico, Valencia, España. 
        Phenology and abundance of five species of  psyllids (Hemiptera, Psylloidea) in urban green areas in the city of Valencia (Spain) 
          Abstract: Psyllids (Hemiptera, Psylloidea) comprise a group of  small, phloem-feeding bugs. The phenology and abundance of five species of  psyllids (Ficus psyllid, Albizia psyllid, tipu psyllid,  Juda’s tree psyllid and redgum lerp psyllid) were studied from February to  September 2014 in the city of Valencia. During the study period, all stages of  development were present at the same time, which made it difficult to determine  the number of generations of each species. The evolution in the number of live  insects on leaves or shoots was analysed, showing that Juda’s tree psyllid  population was was the first to appear (March) and disappear (July) from trees. Albizia, tipu and red gum lerp psyllids were present  from April to August-September. The Ficus psyllid population was  abundant on shoots from February to June, and its populations drastically  decreased in July-August, but increased again in September. Predators and  parasitoids associated with psyllids were Anthocoris nemoralis (a predator of psyllid species) and Prionomitus mitratus and Psyllaephagus bliteus (parasitoids  of Ficus and red gum lerp psyllids, respectively). 
        Key words: Hemiptera, Psylloidea, Albizia, Judas tree, eucalyptus, Ficus, Tipuana, biological control, Valencia, Spain. 
        
           
            
         
         187–203. HOVERFLIES (DIPTERA, SYRPHIDAE) NEW TO THE FAUNA OF MAINLAND PORTUGAL, WITH  UN UPDATED HOVERFLY CHECKLIST 
          André van Eck 
        Abstract: Some species and genera of hoverflies (Diptera,  Syrphidae) new to the fauna of mainland Portugal are presented. The annotated  hoverfly checklist originally published by Van Eck (2011) is updated to take  account of these records together with recent taxonomic and nomenclatural  changes. The number of species known from mainland Portugal increases by 28 to  a total of 195 species. Two of these species are new to the European continent.  In addition, new records are listed for the species selected for further details  by Van Eck (2011). 
        Key words: Diptera, Syrphidae, faunistics, annotated  checklist, Portugal. 
        Nuevos sírfidos (Diptera, Syrphidae) de  Portugal continental 
          Resumen: Se presentan especies y géneros de sírfidos (Diptera,  Syrphidae) nuevos para la fauna de Portugal peninsular. Se actualiza el listado  de sírfidos de Van Eck (2011) y se presenta aquí también la última versión.  Esta incluye algunos cambios taxonómicos y nomenclaturales. El número de  especies conocidas para Portugal peninsular aumenta en 28, elevándose a 195  especies. Dos de estas especies son nuevas para el continente europeo. Además,  se dan nuevos registros de una selección de especies, según la selección hecha  en Van Eck (2011). 
        Palabras clave: Diptera, Syrphidae, faunística, lista comentada,  Portugal. 
        Novos sirfídeos (Diptera, Syrphidae) para a  fauna de Portugal continental 
          Resumo: Apresentam-se espécies e géneros de sirfídeos (Diptera,  Syrphidae) novos para a fauna de Portugal continental. A checklist anotada dos  sirfídeos de Van Eck (2011) é actualizada e a sua última versão é também aqui  disponibilizada. Incluem-se algumas alterações a nível da taxonomia e  nomenclatura. O número de espécies conhecidas de Portugal continental sofre um acréscimo  em 28 espécies, para um total de 195. Duas destas espécies são novas para o  continente Europeu. Adicionalmente, novos registos de um conjunto de espécies é  dado, de acordo com a selecção feita em Van Eck (2011). 
        Palavras chave: Diptera, Syrphidae, faunística, lista comentada,  Portugal. 
        
         204–206. NUEVOS REGISTROS DE LA TRIBU NEMATOPODINI (HEMIPTERA: HETEROPTERA:  COREIDAE) PARA PERÚ 
  Gino Juárez & Uzbekia González 
        Resumen: Se presentan dos nuevos registros de la tribu  Nematopodini de Perú: Piezogaster  obscuratus (Montandon, 1899), citado  previamente solo de Ecuador, y Papeocoris vittatus Brailovsky,  2013, endemismo peruano conocido exclusivamente de su localidad típica (Región  Lambayeque). Las dos especies fueron registradas, respectivamente, en bosque  seco ecuatorial y bosque de neblina, dos importantes zonas ecológicas de la  Región Piura. 
          Palabras clave: Hemiptera, Heteroptera, Coreidae, Papeocoris, Piezogaster, bosque de neblina, bosque seco ecuatorial,  distribución, Perú, Región Piura. 
          New records of Nematopodini (Hemiptera:  Heteroptera: Coreidae) from Peru 
          Abstract: Two new records of Tribu Nematopodini from Peru are  presented: Piezogaster  obscuratus (Montandon, 1899), previously  recorded only from Ecuador, and Papeocoris vittatus Brailovsky,  2013, endemic to Peru and known only from the type locality (Lambayeque  region). The two species were found, respectively, in equatorial dry forest and  cloud forest, two important ecological areas of the Piura region. 
        Key words: Hemiptera, Heteroptera, Coreidae, Papeocoris, Piezogaster, cloud forest, equatorial dry forest,  distribution, Peru, Piura region. 
        
           
            
 
        207–211. DESCRIPCIÓN DEL HUEVO Y ESTADIOS LARVARIOS DE ELPHINSTONIA BAZAE (FABIANO,  1993) (LEPIDOPTERA: PIERIDAE) 
          Miguel Ginés Muñoz Sariot 
        Resumen: Por primera vez se describen e ilustran con detalle el  huevo y estadios larvarios de Elphinstonia bazae (Fabiano,  1993). El huevo es alargado, con forma de barril, con 17 costillas  longitudinales y estrías transversales. La especie presenta cinco estadios larvarios.  En el desarrollo larvario se observan grupos de sedas largas, unas negras  con punta ahorquillada, que son las únicas observadas  en el primer estadio. En el resto de estadios este tipo de sedas se alternan  con otras sedas transparentes de distinta longitud y de punta dentada. Todas  las sedas son glandulares, segregando por la punta líquido, lo que sugiere que  juegan un papel defensivo. 
        Palabras clave: Lepidoptera, Pieridae, Elphinstonia, bazae, huevo, larva. 
        Description of the ova and larval stages of Elphinstonia  bazae (Fabiano, 1993) (Lepidoptera: Pieridae) 
          Abstract: For the first time the ova and larval stages of Elphinstonia bazae (Fabiano, 1993) are described and illustrated in  detail. The egg is elongated, barrel shaped, with 17 longitudinal ribs and  transverse grooves. The species has five larval stages. Throughout the larval  development we found groups of long setae, some black with forked tips and only  observed in the first stage. In other stages such setae alternate with other  transparent setae of various lengths. All setae have a glandular tip that oozes  a liquid substance, which suggests they play a defensive role. 
        Key words: Lepidoptera, Pieridae, Elphinstonia bazae, egg, larva. 
          
         
          
         213–218. PRINCIPALES PLAGAS ENTOMOLÓGICAS DE HEBESTIGMA CUBENSE (FABACEAE) EN  DOS LOCALIDADES DE CUBA OCCIDENTAL 
  Luis F. de Armas, Rayner Núñez Águila, Ileana Fernández  García, Marta M. Hidalgo-Gato & Nereida Mestre Novoa 
        Resumen: Los principales defoliadores del Frijolillo, Hebestigma cubense (Fabaceae), en dos localidades del occidente  cubano fueron las larvas de los lepidópteros Chioides marmorosa (Herrich-Schäffer, 1865) (Lepidoptera: Hesperiidae) y de  un pirálido (Lepidoptera: Pyralidae) indeterminado, así como los adultos del  coleóptero Cryptocephalus  vinulus Suffrian, 1858  (Coleoptera: Chrysomelidae) y la hormiga cortadora de hojas, Acromyrmex octospinosus (Reich, 1793) (Hymenoptera: Formicidae). Otros  insectos de los órdenes Diptera, Coleoptera, Hemiptera, Lepidoptera y  Orthoptera también se alimentan regularmente de sus hojas. Para la mayoría de  estos insectos, H. cubense constituye una nueva planta hospedera. 
        Palabras clave: Coleoptera, Diptera, Hemiptera, Lepidoptera,  Orthoptera, Attini, plaga forestal, Cuba. 
        The most important insect pest of Hebestigma  cubense (Fabaceae) at two localities in western Cuba 
          Abstract: The main insects that feed on leaves of the False Locust  Tree, Hebestigma cubense (Fabaceae), in two localities of western Cuba are  the skipper Chioides marmorosa (Herrich-Schäffer, 1865) (Lepidoptera:  Hesperiidae) and an unidentified pyralid (Lepidoptera: Pyralidae) moth, as well  as the adults of the leaf beetle Cryptocephalus vinulus Suffrian,  1858 (Coleoptera: Chrysomelidae) and the leaf-cutter ant Acromyrmex octospinosus (Reich, 1793) (Hymenoptera: Formicidae). Other  insects of the orders Diptera, Coleoptera, Hemiptera, Lepidoptera and  Orthoptera also regularly feed on the leaves of this tree. For most of these insects, H. cubense represents a new host-plant. 
        Key words: Coleoptera, Diptera, Hemiptera, Lepidoptera,  Orthoptera, Attini, forest pest, Cuba. 
        
           
            
 
        219–226. PRIMEROS DATOS DE RECLUTAMIENTO DE HIMENÓPTEROS PARASITOIDES AUTÓCTONOS  PARA DRYOCOSMUS KURIPHILUS YASUMATSU (HYMENOPTERA: CYNIPIDAE) EN  CATALUÑA (PENÍNSULA IBÉRICA) 
  Joan Lluís Jara-Chiquito, Jorge Heras & Juli  Pujade-Villar 
        Resumen: Se ha estudiado el complejo parasitoide autóctono objeto  de reclutamiento por parte de la nueva plaga exótica invasora avispilla del  castaño, Dryocosmus  kuriphilus Yasumatsu, 1951  (Hymenoptera: Cynipidae), para el año 2014 en Cataluña. Se han colectado en  total 4.111 agallas de cinco zonas de castaño, de las que se han obtenido 2.988  ejemplares de avispilla y 521 ejemplares de parasitoides pertenecientes a 14  especies de 5 familias de Chalcidoidea. Una de las especies, Mesopolobus lichtensteini (Mayr, 1903) se cita por primera vez como  asociada a Dryocosmus. Se ha comparado la composición del complejo parasitoide  colectado en Cataluña con el descrito con anterioridad en otras zonas de  Europa. 
        Palabras clave: Hymenoptera, Cynipidae, Dryocosmus kuriphilus, Chalcidoidea, parasitoides, Castanea sativa, Cataluña, Península Ibérica. 
        First data on the recruitment of native  parasitoid wasps by Dryocosmus kuriphilus Yasumatsu (Hymenoptera:  Cynipidae) in Catalonia (Iberian Peninsula) 
          Abstract: Research was carried out in 2014 in Catalonia on the  recruitment of a native parasitoid complex by the new exotic invasive species Dryocosmus kuriphilus Yasumatsu, 1951 (Hymenoptera: Cynipidae), also  known as the Asian Chestnut Gall Wasp (ACGW). A total of 4,111 galls were  collected from five chestnut tree sites, resulting in the rearing of 2,988 ACGW  adults and 521 parasitoid specimens of 14 species belonging to 5 Chalcidoidea  families. One of these species, Mesopolobus lichtensteini (Mayr, 1903), is recorded on the ACGW for the first time. The composition  of the parasitoid complex collected in Catalonia has been compared with that  reported before from other sites in Europe. 
        Key words: Hymenoptera, Cynipidae, Dryocosmus kuriphilus, Chalcidoidea, parasitoids, Castanea sativa, Catalonia, Iberian Peninsula. 
        
           
            
         
        227–232. CATÁLOGO COROLÓGICO DE LOS MELOIDAE GYLLENHAL, 1810 (COLEOPTERA,  TENEBRIONOIDEA) DE LA PROVINCIA DE HUELVA (SUROESTE DE ANDALUCÍA, ESPAÑA) 
          Juan José López-Pérez 
         Resumen: Se presenta el catálogo corológico de los Meloidae de la  provincia de Huelva (España). Se confirma presencia en Andalucía de Lytta (Lytta) vesicatoria (Linnaeus, 1758), en base a material del norte de  la provincia, aportando tres nuevas citas para Huelva. El trabajo se completa  con los mapas de distribución de todas las especies presentes en esta provincia  y una lámina de especies, contribuyendo así al conocimiento de la  coleopterofauna andaluza y la de la Península Ibérica. 
        Palabras clave: Coleoptera, Meloidae, nuevos registros, Insecol,  España, Andalucía, Huelva. 
        A chorological catalogue of the Meloidae  Gyllenhal, 1810 (Coleoptera, Tenebrionoidea) of Huelva province (south-western Andalusia,  Spain) 
          Abstract: A chorological catalogue of the Meloidae of Huelva  province (Spain) is presented. The presence in Andalusia of Lytta (Lytta) vesicatoria (Linnaeus, 1758) is confirmed, based on material  from the north of the province, with three new records from Huelva. The  catalogue is complemented with the distribution maps of all the province’s  species and a plate illustrating the species, thus contributing to the  knowledge of the Andalusian beetle fauna and that of the Iberian Peninsula. 
        Key words: Coleoptera, Meloidae, new records, Insecol,  Spain, Andalusia, Huelva. 
         
          
          
233–236. PRESENCIA DE PANSTRONGYLUS CHINAI (DEL PONTE, 1929) EN VENEZUELA,  CON NOTAS ACLARATORIAS SOBRE SU SINONIMIA CON PANSTRONGYLUS TURPIALI (HETEROPTERA:  REDUVIIDAE, TRIATOMINAE) 
J. M. Ayala L. 
        Resumen: Se discute la presencia de Panstrongylus chinai (Del Ponte, 1929) en Venezuela. Se invalida la  sinonimia establecida por Lent en 1997 de Panstrongylus turpiali Valderrama, Lizano, Cabello & Valera, 1996 con P. chinai (Del Ponte, 1929), y se propone una nueva sinonimia de P. turpiali con P. geniculatus. Este hecho no altera la  presencia de P. chinai (Del Ponte, 1929) en Venezuela. 
        Palabras clave: Hemiptera, Heteroptera, Reduviidae, Triatominae, Panstrongylus chinai, P. geniculatus, P. turpiali, nueva sinonimia, Venezuela. 
        Presence of Panstrongylus chinai (Del  Ponte, 1929) in Venezuela, with notes on its synonymy with Panstrongylus  turpiali (Heteroptera: Reduviidae, Triatominae) 
          Abstract: The presence of Panstrongylus chinai (Del  Ponte, 1929) in Venezuela is discussed. The synonymy established by Lent in 1997,  of Panstrongylus  turpiali Valderrama, Lizano,  Cabello & Valera, 1996 and P. chinai (Del Ponte, 1929) is  invalidated and a new synonymy, of P. turpiali with P. geniculatus is proposed. This fact does not alter the  presence of P. chinai in Venezuela. 
        Key words: Hemiptera, Heteroptera, Reduviidae, Triatominae, Panstrongylus chinai, P. geniculatus, P. turpiali, new synonymy, Venezuela. 
        
         237–245. RITMO DE ACTIVIDAD DEL CANGREJO SABANERO NEOSTRENGERIA MACROPA (MILNE-EDWARDS,  1853) EN EL EMBALSE DE SAN RAFAEL, LA CALERA, COLOMBIA (CRUSTACEA: DECAPODA:  PSEUDOTHELPHUSIDAE) 
  Julián Yessid Arias-Pineda, Jose Saul Martin, Daniel  Chipatecua, Alexander Garcia & Emilio Realpe 
        Resumen: Se dan a conocer notas sobre la actividad horaria diurna  y nocturna del cangrejo sabanero Neostrengeria macropa (Milne-Edwards,  1853), en el embalse de San Rafael (La Calera, Cundinamarca, Colombia), en el  periodo de marzo a agosto de 2015. Los resultados obtenidos muestran que la  mayor actividad del cangrejo ocurre en las horas de la noche (7:00 a 12:00 pm)  y está relacionada principalmente con la búsqueda de alimento. Además se  muestran algunas notas biológicas tomadas durante el estudio de campo. Los  datos obtenidos se analizaron mediante el programa R, calculando un histograma  circular de frecuencias. Los estudios sobre comportamiento de decápodos son  escasos, y mucho más en la familia Pseudothelphusidae; nuestros resultados contribuyen  al conocimiento de la biología y ecología de Neostrengeria macropa y abren el camino a dilucidar el papel de los cangrejos  de esta familia en los ecosistemas de montaña andinos. 
        Palabras clave: Decapoda, Pseudothelphusidae, agua dulce, ritmo  de actividad, comportamiento, Colombia. 
        Activity pattern of the savannah crab Neostrengeria  macropa (Milne-Edwards, 1853) at the San Rafael reservoir, La Calera, Colombia  (Crustacea: Decapoda: Pseudothelphusidae) 
          Resumen: A study was carried out on the hour-by-hour diurnal and  nocturnal activities of the savannah crab Neostrengeria macropa (Milne-Edwards, 1853) at the San Rafael reservoir (La  Calera, Cundinamarca, Colombia) from March to August 2015. The results indicate  that the crab’s main activity peak takes place at night (7:00 to 12:00 pm) and  is mostly connected with the search for food. Some additional biological  information was collected and is also ncluded. The results were analysed with  the R program, and a circular frequency histogram was generated. Behaviour  studies on the Decapoda are rare, especially on the Pseudothelphusidae; our  results contribute to the knowledge of the biology and ecology of Neostrengeria macropa and pave the way for an understanding of the role  the crabs of this family play in Andean mountain ecosystems. 
        Key words: Decapoda, Pseudothelphusidae, fresh water,  activity pattern, behaviour, Colombia. 
        
           
            
 
        247–253. EFFECT OF TRAP COLOUR AND TRAP HEIGHT ABOVE THE GROUND ON PHEROMONE MASS-TRAPPING  OF THE RED PALM WEEVIL RHYNCHOPHORUS FERRUGINEUS (COLEOPTERA:  DRYOPHTHORIDAE) IN DATE PALM GROVES IN ABU DHABI, U.A.E. 
  Ahmad Hussen Al-Saoud, Raúl Yusta & Victor Sarto i  Monteys 
        Abstract: The Red Palm Weevil (RPW) Rhynchophorus ferrugineus (Olivier) is one of the most destructive insect  pests of palm trees in the Old World. In the United Arab Emirates it appeared  in 1985, attacking date palms. Mass-trapping with male aggregation pheromone  traps was used in date palm plantations in Abu Dhabi, U.A.E., from November  2008 through to July 2009. The goal was to see what combination of trap  colour/height was best at collecting the weevils. 
          Five palm plots and 40 traps (8 per plot) were used in  the trials. Traps were either red or white, placed at ground level, 0.5 m, 1.0  m and 1.5 m. 5,478 weevils were collected. Red traps attracted more weevils  (61.34%, 3,360 captures) than white ones (38.66%, 2,118 captures). The Wilcoxon  statistical test showed significant differences in the number of captures  grouped by trap colour in all cases. Male/female ratio for captures was  reported to be 1/ 2.12. Trap height showed no statistical significance (except for  red traps placed at heights of 0.5 m and 1.5 m), therefore no specific height  could be determined as the best option for either red or white traps. 
          Key words: Coleoptera, Dryophthoridae, Rhynchophorus ferrugineus, Phoenix  dactylifera, pest control,  mass-trapping, pheromone traps, Abu Dhabi. 
          Efecto del color de las trampas y su altura  respecto al suelo en el trampeo masivo con feromonas del picudo rojo Rhynchophorus  ferrugineus (Coleoptera: Dryophthoridae) en palmerales de Abu Dhabi, E.A.U 
          Resumen: El picudo rojo Rhynchophorus ferrugineus (Olivier) es una de las plagas de insecto más destructivas para las  palmeras del Viejo Mundo. En los Emiratos Árabes Unidos apareció en 1985  atacando palmeras datileras. Se realizó trampeo masivo en plantaciones de  palmera datilera de Abu Dhabi, E.A.U., con trampas de feromonas de agregación  masculinas, de noviembre de 2008 a julio de 2009. El objetivo era ver qué  combinación de color/altura de trampa era la ideal para colectar los gorgojos. Se  colocaron 40 trampas en cinco parcelas (8 por parcela). Las trampas eran rojas  o blancas, y se situaron al nivel del suelo, a 0,5 m, 1,0 m y 1,5 m de altura.  Se recogieron 5478 gorgojos. Las trampas rojas atrajeron más ejemplares  (61,34%, 3360 capturas) que las blancas (38,66%, 2118 capturas). El test  estadístico de Wilcoxon mostró diferencias significativas, en todos los casos,  en el número de capturas según el color de las trampas. La ratio macho/hembra  resultó ser de 1/ 2.12. La altura de las trampas respecto al suelo no resultó  estadísticamente significativa (exceptuando las trampas rojassituadas a 0,5 m y  1,5 m), y por lo tanto no se pudo estimar una altura óptima para ninguno de los  dos colores de trampa. 
          Palabras clave: Coleoptera, Dryophthoridae, Rhynchophorus ferrugineus, Phoenix  dactylifera, control de plagas,  trampeo masivo, trampas de feromonas, Abu Dhabi. 
          
         
          
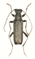
        254. Presencia de Phoracantha recurva Newman, 1840 
        en las Islas Canarias (Coleoptera, Cerambycidae) 
        Roberto Valle Llarena 
        Resumen: Se registra por primera vez la presencia de Phoracantha recurva Newman, 1840 en el archipiélago canario, a partir de 
          material de la isla de Tenerife (España). 
          Palabras clave: Coleoptera, Cerambycidae, Phoracantha recurva, primeros datos, Tenerife, Canarias, España. 
          Presence of Phoracantha recurva Newman, 1840 in the Canary Islands (Coleoptera, Cerambycidae) 
          Abstract: The presence of Phoracantha recurva Newman, 1840 is reported for the first time from the Canary Islands, based on material 
          from the island of Tenerife (Spain). 
          Key words: Coleoptera, Cerambycidae, Phoracantha recurva, first data, Tenerife, Canary Islands, Spain. 
         
          
          
          
          255–256. Primer registro de Sinoxylon anale Lesne, 1897 para Perú  (Coleoptera: Bostrichidae) 
        Gino Juárez & Uzbekia  González 
        Resumen. Se presenta el primer registro para Perú de Sinoxylon anale Lesne, 1897 (Coleoptera: Bostrichidae). La  especie fue registrada en bosque seco ecuatorial, importante zona ecológica de  la Región Piura. 
          Palabras clave: Coleoptera, Bostrichidae, Sinoxylon anale, distribución, bosque seco, Región Piura, Perú. 
          First record of Sinoxylon anale Lesne,  1897 from Peru (Coleoptera: Bostrichidae) 
          Abstract. The first record of Sinoxylon anale Lesne, 1855 (Coleoptera: Bostrichidae) from Peru is presented. The species  was found in equatorial dry forest, an important ecological area of the Piura  region. 
        Key words: Coleoptera, Bostrichidae, Sinoxylon anale, distribution, dry forest, Piura region, Peru. 
        
         257–260. Alphasida  (Glabrasida) lassallei Ferrer, 1983, un raro endemismo de Sierra Morena (España). Aportaciones al  conocimiento de su distribución y ecología (Coleoptera, Tenebrionidae) 
  Rafael Obregón, Julio Ferrer  & Javier López-Tirado 
        Resumen: Alphasida (Glabrasida) lassallei Ferrer, 1983 (Coleoptera, Tenebrionidae) es un  endemismo exclusivo de Sierra Morena, descrito de Almadén de la Plata  (Sevilla). Aquí se cita la especie por primera vez para la provincia de  Badajoz, en el municipio de Fuente del Arco. Los muestreos sistemáticos  realizados durante la primavera de 2016 en diferentes hábitats representativos  de esta Sierra mostraron una preferencia de la especie por hábitats dominados  por el matorral (jaral o retamar), donde la cobertura arbórea es escasa o nula. 
          La densidad poblacional en los hábitats de preferencia es  alta, alcanzando un máximo de 4,6 ejemplares capturados por trampa durante un  periodo de 15 días. El máximo fenológico coincide con la primera quincena de  abril, con una marcada protandria en la que los imagos machos comienzan su  actividad días antes que las hembras. La especie aparece acompañada de otros tenebriónidos  interesantes: Asida hispalensis Escalera, 1906 y A. candidoi Escalera, 1912. Los depredadores de este Asidini  en el entorno son el zorro, la garduña, el carábido Carabus lusitanicus latus Dejean, 1826 y los arácnidos Steatoda paykulliana (Walckenaer, 1806) y Buthus ibericus Lourenço & Vachon, 2004. 
          Palabras clave: Coleoptera, Tenebrionidae, Asidini, Alphasida lassallei, distribución, ecología, sur de España. 
        Alphasida (Glabrasida) lassallei Ferrer, 1983, a rare endemic fromSierra  Morena (Spain): a contribution to the knowledge of its distribution and ecology  (Coleoptera, Tenebrionidae) 
          Abstract: Alphasida (Glabrasida) lassallei Ferrer, 1983 is a rare  species of Asidini, previously known only from Almadén de la Plata, in Sierra  Morena, Seville province. The species is here recorded for the first time from  Badajoz province, based on material found in the municipality of Fuente del  Arco. Systematic prospection of this area, in the spring of 2016, indicated a  habitat preference for low bush vegetation (Cistus albidus or Retama sphaerocarpa) with a practically total absence of trees. The  maximum population density occurred in the first two weeks of April. The males  initiated their activity before the females (protandry). The species occurred  together with other interesting Asidini: Asida hispalensis Escalera, 1906 and A. candidoi Escalera, 1912. It was preyed upon by foxes,  beech martens, the beetle Carabus  lusitanicus latus Dejean, 1826, the false  widow spider Steatoda paykulliana (Walckenaer, 1806) and  the scorpion Buthus ibericus Lourenço & Vachon, 2004. 
        Key words: Coleoptera, Tenebrionidae, Asidini, Alphasida lassallei, distribution, ecology, southern Spain. 
         
          
         261–262. Primera cita de Boyeria irene (Fonscolombe, 1838) (Odonata:  Aeshnidae) para la provincia de Toledo (Castilla-La Mancha, España) 
        Jose Mañani-Pérez, Francisco J.  Cabrero-Sañudo, Diego G. Tapetado, Jose F. Gómez & Alfonso  Villalobos-Moreno 
        Resumen: Se presenta la primera cita de Boyeria irene (Fonscolombe, 1838) de la provincia de Toledo.  Con ella se contribuye al conocimiento sobre los odonatos de Toledo, la  provincia del territorio peninsular que cuenta con menos citas y especies de  odonatos registradas. 
        Palabras clave: Odonata, Aeshnidae, Boyeria irene,Península Ibérica, Toledo. 
        First record of Boyeria irene (Fonscolombe,  1838) (Odonata: Aeshnidae) from Toledo province (Castilla-La Mancha, Spain) 
          Abstract: The first record of Boyeria irene (Fonscolombe, 1838) from Toledo province is presented. This represents a  contribution to the knowledge of the Odonata from Toledo, the province of  peninsular Spain with the lowest number of records and species of Odonata. 
        Key words: Odonata, Aeshnidae, Boyeria irene, Iberian Peninsula, Toledo. 
        
                   263–266. Nuevos registros de distribución de doce especies de Cerambycidae  (Coleoptera) en Perú 
          Gino Juárez & Uzbekia González 
        Resumen: Se presentan nuevos datos distribucionales de doce  especies de la familia Cerambycidae conocidos previamente de Perú: Prionacalus cacicus White, 1845, Achryson lineolatum Erichson, 1847, Neoclytus unicolor (Laporte  & Gory, 1836), Eburia pilosa (Erichson, 1834), Eburia rufobrunnea Perroud, 1855, Neoeburia turuna Galileo & Martins, 2006, Asynapteron inca (Martins, 1962), Heterachthes pallidipennis (Thomson, 1865), Obrium circumflexum Martins & Galileo, 2006, Ischionodonta torquata (Chevrolat, 1859), Nesozineus probolus Galileo & Martins, 1996 y Nesozineus peruanus Galileo & Martins, 2007. Las siguientes  especies extienden su rango de distribución conocido hacia el extremo norte del  país (regiones de Tumbes y Piura): A. neolineatum, N. unicolor, E. pilosa, N. turuna, A.  inca, H. pallidipennis, O. circumflexum, I. torquata, N. peruanus y N. probolus. Se presentan además nuevos registros de plantas  hospedadoras para algunas de las especies citadas. 
        Palabras clave: Coleoptera, Cerambycidae, Achryson, Neoclytus, Eburia, Neoeburia, Asynapteron, Heterachthes, Obrium, Ischionodonta, Nesozineus, distribución, Perú. 
        New distribution records of twelve species  of Cerambycidae (Coleoptera) in Peru 
          Abstract: New distributional data are presented of twelve species  of the family Cerambycidae already known from Peru: Prionacalus cacicus White, 1845, Achryson lineolatum Erichson, 1847, Neoclytus unicolor (Laporte  & Gory, 1836), Eburia pilosa (Erichson, 1834), Eburia rufobrunnea Perroud, 1855, Neoeburia turuna Galileo & Martins, 2006, Asynapteron inca (Martins, 1962), Heterachthes pallidipennis (Thomson, 1865), Obrium circunflexum Martins & Galileo, 2006, Ischionodonta torquata (Chevrolat, 1859), Nesozineus probolus Galileo & Martins, 1996 and N. peruanus Galileo & Martins, 2007. The following  species extend their known distribution range to the extreme north of the  country (Tumbes and Piura regions): A. neolineatum, N. unicolor, E. pilosa, N. turuna, A.  inca, H. pallidipennis, O. circumflexum, I. torquata, N. peruanus and N. probolus. Additionally, new records of host plants for some  of these species are presented. 
        Key words: Coleoptera, Cerambycidae, Achryson, Neoclytus, Eburia, Neoeburia, Asynapteron, Heterachthes, Obrium, Ischionodonta, Nesozineus, distribution, Peru. 
         
          
        267–268. Nueva localidad de Saga pedo (Pallas, 1771) en el noreste de la  Península Ibérica (Orthoptera: Tettigoniidae) 
  Roger Pascual, Jaume Solé &  Guillermo García 
         Resumen: Se comunica una nueva localidad del tetigónido depredador Saga pedo (Pallas, 1771) en el sur de Cataluña, región  estratégica de conexión entre las poblaciones del sur de Francia y las del  centro de la Península Ibérica. 
        Palabras clave: Orthoptera, Tettigoniidae, Saga pedo, Montsant, Cataluña, España. 
        A new locality for Saga pedo (Pallas,  1771) in north-eastern Spain (Orthoptera: Tettigoniidae) 
          Abstract: A new locality for the predator katydid Saga pedo (Pallas, 1771) is reported from southern Catalonia, a  strategic región which connects the known populations of southern France with  those in the centre of the Iberian Peninsula. 
        Key words: Orthoptera, Tettigoniidae, Saga pedo, Montsant, Catalonia, Spain. 
        
          
          269–270. Primera cita de Telmatometra whitei Bergroth, 1908 (Heteroptera:  Gerridae) para Nicaragua 
          Juan Rueda & Francesc  Mesquita-Joanes 
        Resumen: Durante el mes de enero de 2016, en ocasión de un curso  de especialización en “Evaluación de la calidad ecológica del agua mediante el  uso de macroinvertebrados”, se registró por primera vez para Nicaragua Telmatometra whitei Bergroth, 1908. Dos hembras ápteras fueron  recolectadas en el río Los Aposentos, en un tramo que circula por el Jardín  Botánico Ambiental de la Universidad Nacional Autónoma de Nicaragua  (UNAN-León). Se aporta por primera vez información sobre las características  físico-químicas de las aguas en las que vive la especie. 
        Palabras clave: Heteroptera, Gerridae, Telmatometra whitei, América Central, Nicaragua. 
        First record of Telmatometra whitei Bergroth,  1905 (Heteroptera: Gerridae) from Nicaragua 
          Abstract: In January 2016, during a course on water quality  assessment using macroinvertebrates, we found, for the first time for Nicaragua,  some individuals of Telmatometra whitei Bergroth, 1908. Two apterous females were  collected in the Los Aposentos river, in a stretch running through the  Environmental Botanical Garden of the Universidad Nacional Autónoma de  Nicaragua (UNANLeón). Information is given here, for the first time, on the  physical and chemical characteristics of the water where T. whitei lives. 
        Key words: Heteroptera, Gerridae, Telmatometra whitei, Central America, Nicaragua. 
         
          
          
          271–272. Primeros registros de Asemum tenuicorne Kraatz, 1879 y Glaphyra  marmottani (Brisout de Barneville, 1863) para Navarra (España) (Coleoptera:  Cerambycidae) 
          Felipe Calvo Sánchez 
        Resumen: Se aportan los primeros registros de Asemum tenuicorne Kraatz, 1879 y Glaphyra marmottani (Brisout de Barneville, 1863) para Navarra. 
          Palabras clave: Coleoptera, Cerambycidae, Asemum tenuicorne, Glaphyra marmottani,  España, Navarra. 
          First records of Asemum tenuicorne Kraatz,  1879 and Glaphyra marmottani (Brisout de Barneville, 1863) from Navarra (Spain)  (Coleoptera: Cerambycidae) 
          Abstract: The first records of Asemum tenuicorne Kraatz, 1879 and Glaphyra marmottani (Brisout de Barneville, 1863) from Navarra  (Spain) are provided. 
        Key words: Coleoptera, Cerambycidae, Asemum tenuicorne, Glaphyra marmottani, Spain,  Navarra. 
         
          
         273–274. Frotamiento del milpiés Eurhinocricus fissus (Spirobolida: Rhinocricidae)  por parte del zanate mexicano Quiscalus mexicanus (Passeriformes:  Icteridae): registro de un caso en México 
        Fabio Germán Cupul-Magaña 
        Resumen: Se presenta el primer registro del comportamiento de  frotación (“formicación” o “anting”) del zanate mexicano Quiscalus mexicanus con el milpiés Eurhinocricus fissus. El ave se frotó al milpiés contra las alas (en el lado  interno de las plumas secundarias). El frotamiento activo dañó y mató al  milpiés. 
          Palabras clave: Spirobolida, Rhinocricidae, defensa química,  formicación, glándulas repugnatorias, ozadenas, México. 
          Rubbing of the millipede Eurhinocricus  fissus (Spirobolida: Rhinocricidae) by the great–tailed grackle Quiscalus  mexicanus (Passeriformes: Icteridae): a case report from Mexico 
          Abstract: The first record of the Great–tailed grackle Quiscalus mexicanus anting with a millipede Eurhinocricus fissus is presented. The bird rubbed the millipede  against its wings (on the internal side of the secondary feathers). The anting  damaged and killed the millipede. 
        Key words: Spirobolida, Rhinocricidae, chemical defence,  anting, repugnatorial glands, ozadenes, Mexico. 
         
          
         275–279. Nuevas contribuciones al conocimiento de la fauna de cerambícidos (Coleoptera:  Cerambycidae) de Extremadura (España) 
        Emilio Echevarría León, José Manuel  Echevarría Mayo & Ángel Blázquez Caselles 
        Resumen: Se amplía la fauna conocida de cerambícidos de  Extremadura con nueve especies registradas por primera vez del norte de la  provincia de Cáceres: Grammoptera  abdominalis (Stephens, 1831), Rhagium inquisitor (Linnaeus, 1758), Arophalus syriacus (Reitter, 1895), Poecillium (Phymatoderus) pusillum (Fabricius, 1787), Pyrrihidium sanguineum (Linnaeus, 1758), Penichroa fasciata (Stephens, 1831), Trichoferus pallidus (Olivier, 1790), Acanthocinus aedilis (Linnaeus, 1758) y Pogonocherus fasciculatus (DeGeer, 1775). Se aporta también un registro de Icosium tomentosum Lucas, 1854 procedente de Badajoz, y se añaden  además nuevos datos para otras 23 especies poco documentadas hasta la fecha en  la región. El catálogo de los cerambícidos extremeños se eleva así hasta las  107 especies. 
        Palabras clave: Coleoptera, Cerambycidae, Península Ibérica,  Extremadura. 
        New contributions to the knowledge of the  longhorn beetle fauna (Coleoptera: Cerambycidae) of Extremadura (Spain) 
          Abstract: The list of longhorn beetles of Extremadura, Spain, is  extended to include nine species found in northern Cáceres province for the  first time: Grammoptera  abdominalis (Stephens, 1831), Rhagium inquisitor (Linnaeus, 1758), Arophalus syriacus (Reitter, 1895), Poecillium (Phymatoderus) pusillum (Fabricius, 1787), Pyrrihidium sanguineum (Linnaeus, 1758), Penichroa fasciata (Stephens, 1831), Trichoferus pallidus (Olivier, 1790), Acanthocinus aedilis (Linnaeus, 1758) and Pogonocherus fasciculatus (De-Geer, 1775). A single record from Badajoz is  also provided for Icosium tomentosum Lucas, 1854, as well as novel data of 23 other species  rarely reported from the region. The catalogue of the family Cerambycidae of  Extremadura reaches, with the new data, 107 species. 
        Key words: Coleoptera, Cerambycidae, Iberian Peninsula,  Extremadura. 
        
           
            
 
        281–282. Nola confusalis (Herrich-Schäffer, 1847), Pseudoips  prasinana (Linnaeus, 1758) y Nycteola  columbana (Turner, 1925),  Nolidae (Lepidoptera: Noctuoidea) nuevos para la fauna de Asturias (España) 
        Juan José Guerrero, Rosa María Rubio, Manuel  Garre & Antonio S. Ortiz 
        Resumen: Se aportan al catálogo lepidopterológico de Asturias  datos sobre cuatro especies de la familia Nolidae (Noctuoidea). Los taxones que  se citan por primera vez en el área de estudio son Nola confusalis (Herrich-Schäffer, 1847), Pseudoips prasinana (Linnaeus, 1758) y Nycteola columbana (Turner, 1925), además de confirmar la presencia  de Bena bicolorana (Fuessly, 1775). 
        Palabras clave: Insecta, Lepidoptera, Nolidae, nuevas citas, España, Asturias. 
        Nola confusalis (Herrich-Schäffer, 1847), Pseudoips  prasinana (Linnaeus, 1758) y Nycteola columbana (Turner, 1925), 
          Nolidae (Lepidoptera: Noctuoidea) new  records for Lepidopteran checklist of Asturias (España) 
          Abstract: Nola confusalis (Herrich-Schäffer, 1847), Pseudoips prasinana (Linnaeus, 1758) and Nycteola columbana (Turner, 1925) species belonging to the family  Nolidae are reported to the Lepidopteran checklist of Asturias while Bena bicolorana (Fuessly, 1775) is confirmed in the study area. 
        Key words: Insecta, Lepidoptera, Nolidae, new records, Spain, Asturias. 
         
          
         283–287. Nueva aportación al conocimiento de los ortópteros (Insecta: Orthoptera)  del 
          Parque Nacional de Monfragüe y Zona  Periférica de Protección (Cáceres, España) 
        David Llucià-Pomares & Daniel Fernández-Ortín 
        Resumen: Se aportan nuevos datos sobre la fauna de ortópteros del  Parque Nacional de Monfragüe y Zona Periférica de Protección (Cáceres, España),  a partir del descubrimiento de otras dos especies en esta área protegida: Sphingonotus nodulosus Llucià-Pomares, 2013, y Platystolus martinezii (Bolívar, 1873). A éstas debe añadirse Paramogoplistes ortini Llucià-Pomares, 2015, especie descrita  recientemente a partir de material procedente de Monfragüe y previamente  identificado como cf. Mogoplistes brunneus Audinet-Serville, 1838.  Con la inclusión de un nuevo punto de muestreo, Pinar de la Bazagona, se  incorpora y describe un nuevo complejo ambiental, el pinar psamófilo, no  estudiado hasta ahora, concretándose su particular ortopterocenosis. 
          Palabras clave: Orthoptera, Ephippigerinae, Oedipodinae, Platystolus martinezii, Sphingonotus nodulosus,  nuevos registros, faunística, ecología, España, Cáceres, Parque Nacional de  Monfragüe. 
        A new contribution to the knowledge of the Orthoptera  (Insecta: Orthoptera) of Monfragüe National Park and its buffer zone (Cáceres,  Spain) 
          Abstract: After the discovery in the Monfragüe area of a further  two species [Sphingonotus  nodulosus Llucià-Pomares, 2013 and Platystolus martinezii (Bolívar, 1873)], new data are presented on the  Orthoptera fauna of Monfragüe National Park and its Protected Buffer Zone.  Additionally, the information on Paramogoplistes ortini Llucià-Pomares,  2015 is reviewed. This specie has been recently described based on type  material from Monfragüe previously identified as cf. Mogoplistes brunneus Audinet-Serville, 1838. With the addition of a  new sampling point, Pinar de la Bazagona, a new environmental system not  previously is taken into consideration: the psammophilous pine forest. The new  system is described, and its particular Orthoptera fauna is analysed. 
        Key words: Orthoptera, Ephippigerinae, Oedipodinae, Platystolus martinezii, Sphingonotus nodulosus, new  records, faunistic, ecology, Spain, Cáceres, Monfragüe National Park. 
         
          
        288. Fe de Erratas 
          Revisión del género Leptoderis Billberg, 1820 y comentarios sobre el origen, composición, 
          anatomía y necrofagia de la tribu Elenophorini (Coleoptera, Tenebrionidae). 
          Julio Ferrer
         
          
          
         291–292. Primera cita de Sympetrum sanguineum (Müller, 1764) (Odonata:  Libellulidae) para la provincia de Valencia (Comunidad Valenciana, este de  España) 
          Jesús M. Evangelio Pinach 
        Resumen: Se aporta la primera cita de Sympetrum sanguineum (Müller, 1764) para la provincia de Valencia  (Comunidad Valenciana, este de España). 
          Palabras clave: Odonata, Libellulidae, Sympetrum sanguineum, península ibérica, Comunidad Valenciana,  Valencia. 
          First record of Sympetrum sanguineum (Müller,  1764) (Odonata: Libellulidae) from Valencia province (Valencia administrative region,  eastern Spain) 
          Abstract: the first record of Sympetrum sanguineum (Müller, 1764) from Valencia province (Comunidad  Valenciana, eastern Spain) is reported. 
        Key words: Odonata, Libellulidae, Sympetrum sanguineum, Iberian Peninsula, Valencia administrative  region, Valencia. 
          
         
          
        293–294. Nuevas citas y revisión de la distribución de Arethusana arethusa ([Denis  y Schiffermüller], 1775) en Asturias (España) (Lepidoptera: Nymphalidae) 
          José González Fernández 
        Resumen: Se dan a conocer 47 nuevas citas de Arethusana arethusa en Asturias (España), que amplían en 33 nuevos  cuadrados UTM de 10x10 km su distribución geográfica en esa Comunidad Autónoma,  pasando de los 20 de donde se conocía su presencia a un total de 53 cuadrados,  lo que supone un notable incremento sobre lo conocido hasta el momento, y  demuestra que está mucho más ampliamente distribuida de lo que se pensaba. Se  revisa, asimismo, su distribución. 
        Palabras clave: Lepidoptera, Nymphalidae, Arethusana arethusa, Asturias, España. 
         
          
         295–296. Primera cita ibérica del mirmecófilo Myrmetes paykulli Kanaar, 1979 
          (Coleoptera: Histeridae) con un nuevo  hospedador para la especie 
          Amonio David Cuesta-Segura1 & Federico  García García2 
        Resumen: Myrmetes paykulli es una especie de histérido mirmecófilo conocida  en España por un único ejemplar del Valle de Arán (provincia de Lérida), cara  norte de los Pirineos. Se aporta la primera cita ibérica, de la provincia de  Burgos, y se menciona como huésped por primera vez a Formica dusmeti, un endemismo ibérico. 
          Palabras clave: Coleoptera, Histeridae, Myrmetes, mirmecófilo, Formica dusmeti, península Ibérica,  España. 
          First Iberian record of the myrmecophile Myrmetes  paykulli Kanaar, 1979 (Coleoptera: Histeridae), with a new host for the species. 
          Abstract: Myrmetes paykulli is a myrmecophilous histerid species known in  Spain for a single individual from the Aran valley (Lérida province), north  side of the Pyrenees. The first Iberian record, from Burgos province, is  provided, and Formica dusmeti, an Iberian endemic, is mentioned as its host  for the first time. 
        Key words: Coleoptera, Histeridae, Myrmetes, myrmecophilous, Formica dusmeti, Iberian Peninsula,  Spain. 
         
          
        297–298. Ampliación de la distribución conocida de Dellia viridissima Perez-Gelabert  & Otte, 2012 (Orthoptera: Acrididae: Copiocerinae) y notas sobre la  historia natural de Dellia Stål, 1878 en República Dominicana 
          Daniel E. Perez-Gelabert 
        Resumen: El saltamontes Dellia viridissima Perez-Gelabert  & Otte, 2012 se cita de la porción occidental de la Sierra de Bahoruco (República  Dominicana), con lo que se amplía unos 35 km hacia el oeste el rango de  distribución conocida  de esta especie. Se incluyen también algunas  notas de historia natural sobre plantas hospederas de Dellia en República Dominicana. 
        Palabras clave: Orthoptera, Acrididae, Copiocerinae, saltamontes, Dellia, República Dominicana, Hispaniola, Antillas Mayores. 
        Additions to the known distribution of the  grasshopper Dellia viridissima Perez-Gelabert & Otte, 2012  (Orthoptera: Acrididae: Copiocerinae), with some notes on the natural history  of Dellia Stål, 1878 in the Dominican Republic 
          Abstract: The grasshopper Dellia viridissima Perez-Gelabert  & Otte, 2012 is recorded from the western portion of Sierra de Bahoruco (Dominican  Republic), thus extending some 35 km to the West the known distribution range  of this species. Some natural history notes on the host plants of Dellia in the Dominican Republic are also included. 
        Key words: Orthoptera, Acrididae, Copiocerinae,  grasshoppers, Dellia, Dominican Republic, Hispaniola, Greater  Antilles. 
          
         
          
          
          299–300. Nuevos datos de distribución de Lygaeinae Schilling, 1829 en Perú  (Hemiptera: Heteroptera: Lygaeidae) 
          Gino Juárez1, Eduardo I. Faúndez  &  Uzbekia González 
        Resumen: Se presentan nuevos datos de distribución en Perú de dos  especies de Lygaeinae: Lygaeus peruvianus Brailovsky, 1978 y Oncopeltus cingulifer Stal, 1868. El rango de distribución de ambas  especies se amplía hacia el extremo noroeste del país (Regiones de Tumbes y  Piura). 
          Palabras clave: Lygaeus, Oncopeltus, distribución, Región Piura, Región Tumbes,  Perú. 
        New distributional data of Lygaeinae  Schilling, 1829 from Peru (Hemiptera: Heteroptera: Lygaeidae 
          Abstract: New distribution data from Peru of two species of  Lygaeinae are presented: Lygaeus  peruvianus Brailovsky, 1978 and Oncopeltus cingulifer Stal, 1868. The range of distribution of both  species is extended to extreme northwest of the country (Tumbes and Piura  Regions). 
        Key words: Lygaeus, Oncopeltus, distribution, Piura Region, Tumbes Region,  Peru. 
         
          
         301–302. Ampliación de la distribución conocida del anisóptero Oxygastra curtisii (Dale 1834) (Odonata: Corduliidae) en la Península Ibérica: nueva especie para  Cantabria 
        Jorge Garzón Gutiérrez1 & Bartholomeus  Abraham van Hoof2 
        Resumen: Se presenta la primera cita del anisóptero amenazado Oxygastra curtisii (Dale, 1834) (Odonata: Corduliidae) en Cantabria (norte  de España), a partir de especímenes encontrados en dos cuadrículas UTM de  100km2. De esta manera el número de especies de la odonatofauna cántabra se  eleva a un total de 45. Se discute brevemente su distribución peninsular y  otras citas de zonas cercanas. 
          Palabras clave: Odonata, Corduliidae, Oxygastra curtisii, distribución, especie amenazada, Península  Ibérica, Cantabria. 
          Extension of the known distribution of the  anisopteran Oxygastra curtisii (Dale, 1834) (Odonata: Corduliidae) in  the Iberian Peninsula: first record from Cantabria. 
          Abstract: A new record of the endangered dragonfly Oxygastra curtisii (Dale, 1834) (Odonata: Corduliidae) is given,  based on specimens from two 100km2 squares of the UTM grid situated in  Cantabria (northern Spain). The number of Odonata species known to occur in  Cantabria is raised to 45, as this constitutes the first record of the species  from the region. Also, the Iberian distribution of the dragonfly is briefly  discussed, focusing on nearby populations. 
        Key words: Odonata, Corduliidae, Oxygastra curtisii, distribution, endangered specie, Iberian  Peninsula, Cantabria. 
        
           
            
 
         303–304. Reporte de un caso teratológico en Pelidnota polita Latreille, 1812 (Coleoptera:  Scarabaeidae: Rutelinae) en Colombia 
            Carlos Taboada-Verona, Eduardo I. Faúndez  & Oscar, Sierra-Serrano 
        Resumen. Se describe un caso teratológico correspondiente a una  trematoelitría y anomalía cromática en el élitro derecho de un ejemplar de Pelidnota polita Latreillle, 1812, proveniente de Colombia,  Departamento de Sucre. 
          Palabras clave: Teratología, Trematoelitría, Anomalía cromática,  Scarabaeidae, Colombia. 
          Report of a teratological case in Pelidnota  polita Latreille, 1812 (Coleoptera: Scarabaeidae: Rutelinae) from Colombia 
          Abstract: A teratological case is described in a Pelidnota polita Latreillle, 1812 specimen from Colombia, Sucre  Department. The case belongs to a trematoelitry plus a chromatic anomaly,  unilateral in the right elytron. 
        Key words: Teratology, Trematoelitry, Chromatic anomaly,  Scarabaeidae, Colombia. 
          
         
          
        306–310. APORTACIÓN AL CONOCIMIENTO DE LAS FAMILIA NOTODONTIDAE Y EREBIDAE  (LEPIDOPTERA: NOCTUOIDEA) DE ASTURIAS (ESPAÑA) 
  Antonio S. Ortiz, Rosa María Rubio, Manuel Garre &  Juan José Guerrero 
        Resumen: Se aportan al catálogo lepidopterológico de Asturias  nuevos datos de 44 especies pertenecientes a las familias Notodontidae y  Erebidae (Noctuoidea). Los taxones que se citan por primera vez en el área de  estudio son los notodóntidos Cerura  ibérica (Templado & Ortiz,  1966) y Ptilodon capucina (Linnaeus, 1758), los erébidos Catephia alchymista (Denis & Schiffermüller, 1775), Phytometra viridaria (Clerck, 1759), Euclidia glyphica (Linnaeus, 1758), Euclidia mi (Clerck, 1759) y Minucia lunaris (Denis & Schiffermüller, 1775), el limántrido Lymantria monacha (Linnaeus, 1758), y los árctidos Eilema griseola (Hübner, 1803), Eilema uniola (Rambur, 1866), Eilema lutarella (Linnaeus, 1758), Eilema caniola (Hübner, 1808), Eilema pygmaeola (Doubleday, 1847), Watsonarctia deserta (Bartel, 1902) y Artimelia latreillei (Godart, 1823). También destacan los endemismos Hyphoraia dejeani (Godart, 1822), Setina cantabrica de Freina & Witt, 1985 y Chelis cantabrica Macià et al., 2013. 
        Palabras clave: Insecta, Lepidoptera, Notodontidae, Erebidae, nuevos datos, España, Asturias. 
        Contribution to the knowledge of the  families Notodontidae and Erebidae (Lepidoptera: Noctuoidea) from Asturias  (Spain) 
          Abstract: Forty-four species belonging to the families Notodontidae  and Erebidae are reported to the Lepidopteran checklist of Asturias adding new  records as notodontids Cerura iberica (Templado & Ortiz, 1966) and Ptilodon capucina (Linnaeus, 1758), erebids as Catephia alchymista (Denis & Schiffermüller, 1775), Phytometra viridaria (Clerck, 1759), Euclidia glyphica (Linnaeus, 1758), Euclidia mi (Clerck, 1759) and Minucia lunaris (Denis & Schiffermüller, 1775), lymantrid as Lymantria monacha (Linnaeus, 1758), and arctids moths Eilema griseola (Hübner, 1803), Eilema uniola (Rambur, 1866), Eilema lutarella (Linnaeus, 1758), Eilema caniola (Hübner, 1808), Eilema pygmaeola (Doubleday, 1847), Watsonarctia deserta (Bartel, 1902) and Artimelia latreillei (Godart, 1823). Also, the Iberian endemisms Hyphoraia dejeani (Godart, 1822), Setina cantabrica de Freina & Witt, 1985 and Chelis cantabrica Macià et al., 2013 are highlighted. 
        Key words: Insecta, Lepidoptera, Notodontidae, Erebidae, new records, Spain, Asturias. 
        
           
            
 
         311–317. TRANSFERENCIA DE NIDOS DE MELIPONA FAVOSA ORBIGNYI GUERIN, 1844 (HYMENOPTERA:  APIDAE: MELIPONINI) A CAJAS-COLMENAS Y USOS DE SU MIEL, DESDE EL CONOCIMIENTO  DEL PUEBLO KICHWA DE LA AMAZONÍA DE ECUADOR 
  Iván Jácome-Negrete & Lida Guarderas Flores 
        Resumen: En Ecuador, el conocimiento etnoentomológico publicado  sobre las abejas del género Melipona es aún muy incipiente, especialmente  para la región amazónica. El objetivo de este estudio es reportar el uso de la  miel y evaluar un método de transferencia de colonias de la abeja sara lapucsi Melipona favosa orbignyi a cajas-colmenas, desde el conocimiento del  Pueblo amazónico Kichwa de Kawsak Sacha. La miel de esta especie, según  entrevistas realizadas a 38 personas, sirve para el tratamiento de diversas infecciones  y enfermedades de los ojos, tracto respiratorio y digestivo y es cosechada en  dos épocas anuales de mayor floración de árboles forrajeados por las abejas. El  proceso de transferencia de nidos realizado permitió inicialmente definir que  esta especie se adapta a cajas-colmenas, con 41 colonias adaptadas, de las 45  inicialmente transferidas, y una producción promedio de miel por colonia de  117,8 cm³ obtenida a los once meses de inicio de esta experiencia. Se concluye  que la especie se adapta fácilmente a cajas-colmenas y que su miel tiene un  alto valor para la salud familiar kichwa. 
        Palabras clave: Hymenoptera, Apidae, Meliponini, Melipona, etnoentomología, Pastaza, Ecuador. 
        Transfer of nests of Melipona favosa  orbignyi Guerin, 1844 (Hymenoptera: Apidae: Meliponini) to hive-boxes and  uses of their honey, according to the knowledge of the Kichwa People of  Ecuador’s Amazon region 
          Abstract: In Ecuador, the ethno-entomological knowledge published  on stingless bees of the genus Melipona is limited, especially for  the Amazon region. The aim of this study is to report the use of honey and  evaluate a transfer method of sara lapucsi Melipona favosa orbignyi colonies to box-hives, based on the knowledge of  the Amazonian Kichwa People. According to interviews with 38 people, the honey  is used to treat various infections and diseases of the eyes and the  respiratory and digestive tracts. The honey is harvested in two annual periods  of greatest flowering of trees foraged by bees. Results indicate that this  species adapts well to boxhives, with 41 colonies adapted, out of the 45  initially transferred, and an average honey production per colony of 117.8 cm³  obtained after eleven months. It is concluded that the species easily adapts to  box-hives and that its honey has a high value for the Kichwa family’s health. 
        Key words: Hymenoptera, Apidae, Meliponini, Melipona, ethno-entomology, Pastaza, Ecuador. 
        
           
            
 
        319–320. Biblioteca Entomológica: Una  obra monumental 
            Catálogo  sistemático y sinonímico de los Lepidoptera de la Península Ibérica, de Ceuta,  de Melilla y de las Islas Azores, Baleares, Madeira y Salvajes 
          A. Vives Moreno 
          
           
          
        321–349. LOS ARTRÓPODOS EN LA OBRA DE ARISTOCLES PODROS (PLATÓN) 
          Víctor J. Monserrat 
        Resumen: Se citan las 81 referencias artropodianas que menciona  Platón en sus obras. La abeja, con sus referentes (zángano, aguijón, colmena,  panal, enjambre) y sus derivados (miel y cera), y la cigarra son los insectos  más mencionados, bien citados directamente o asociados a sus propiedades, a  metáforas, a la elocuencia, a la poesía o a las musas que inspiran a los  poetas. Otros artrópodos, como las avispas, las hormigas, los cangrejos, las  arañas o los escorpiones son citados en sus obras, al margen de otros elementos  directa- o indirectamente citados que están vinculados a los artrópodos, como  son la púrpura, la sarna, los piojos, la malaria, la peste, etc. En base a  estos datos, se anotan algunos comentarios sobre la mentalidad y creencias que  el Mundo Griego tenía de estos animales y de estos elementos que nos  transportan a la concepción con la que los griegos veían las cosas hace 2500  años. La obra de Platón aportó su parte al origen de lo que hoy día llamamos  Occidente, en general, y de la futura entomología, en particular. 
          Palabras clave: Arthropoda, entomología cultural, literatura  clásica, Platón, historia griega. 
          Arthropods in Plato's work 
          Abstract: In this contribution we quote the 81 arthropodian  references Plato mentioned in his works. The honeybee, with its referents (drone,  sting, bee hive, honeycomb, swarm) and its derivatives (honey and wax), and the  cicada are the most frequently mentioned insects, either quoted directly or  associated with their properties, with metaphors, with eloquence, with poetry  or with the muses that inspire poets. Other arthropods, such as wasps, ants,  crabs, spiders or scorpions are cited in his works, along with other elements,  mentioned directly or indirectly, that are linked to arthropods, such as  purple, scabies, lice, malaria, the plague, etc. Based on these data, some  comments are made on the mentality and beliefs that the Greek World had on  these animals and elements, opening a window to the mindset through which the  Greeks saw things 2500 years ago. Plato’s work played its part in the origin of  what we now call the West, in general, and of entomology, in particular. 
        Key words: Arthropoda, cultural entomology, classical literature,  Plato, Greek history. 
          
         
          
         351-375. LOS ARTRÓPODOS EN LAS MANIFESTACIONES CULTURALES, ARTÍSTICAS Y POPULARES DE  LA CIUDAD DE LUANG PRABANG (LAOS) 
        Víctor J. Monserrat 
        Resumen: Sobre la base del Budismo y de su filosofía y escritos,  se comentan algunos elementos relacionados con los artrópodos en esta religión  y que, consecuentemente, aparecen en las manifestaciones artísticas de una  ciudad tan bella, mística y espiritual como es Luang Prabang (Laos),  especialmente en su preciosa arquitectura, sus mosaicos, sus esculturas y sus  pinturas, siendo las abejas/panales, las mariposas, los grillos, las moscas,  los cangrejos y los escorpiones los artrópodos más representados. En base a  esta forma de pensar y sentir, se comentan algunos elementos entomológicos  relacionados con las tradiciones, costumbres, gastronomía y manifestaciones  populares y artesanales de esta región del sur de Asia. 
        Palabras clave: Arthropoda, etnoentomología, budismo, arte entomológico,  Laos, Luang Prabang. 
        Arthropods in the cultural, artistic and  popular events of Luang Prabang city (Laos) 
          Abstract: On the basis of Buddhism and its philosophy and writings,  comments are made on some elements which are connected to arthropods in this  religion and consequently appear in the artistic manifestations of the  beautiful, mystical and spiritual city of Luang Prabang (Laos), especially in  its beautiful architecture, mosaics, sculptures and paintings, with bees /  hives, butterflies, crickets, flies, crabs and scorpions as the most frequently  represented arthropods. In the context of this way of thinking and feeling, some  entomological elements relating to the traditions, customs, cuisine, folklore  and crafts of this region of South Asia are discussed. 
        Key words: Arthropoda, ethno-entomology, Buddhism,  entomological art, Laos, Luang Prabang. 
         
          
         376–378. El TOP 10 y TOP 20 de la web S.E.A. y del proyecto IDE@ 
          Antonio Melic 
        Resumen: Se presentan la relación de los 10 documentos más  visitados (Top 10), de entre los publicados por la Sociedad Entomológica  Aragonesa (S.E.A.) de su página web durante el periodo 2011-2015, indicándose  el número de descargas en cada caso. Igualmente se presentan los 20 manuales de  órdenes taxonómicos más visitados de la Revista IDE@-SEA en el periodo del  último año. 
        Palabras clave: Sociedad Entomológica Aragonesa, descargas,  página web, Revista IDE@-SEA. 
               |